Aufgrund des Beschlusses des Ortsgemeinderates der Ortsgemeinde Hochstetten-Dhaun vom 18.01.2023, werden folgende Straßen gemäß § 36 des Landesstraßengesetzes für das Land Rheinland-Pfalz (LStrG) vom 01.08.1977 (GVBl. 1977, S. 273), in der derzeit gültigen Fassung, i. V. m. § 3 Nr. 3a LStrG i. V. m. § 1 Abs. 2 LStrG, als Gemeindestraßen für den öffentlichen Verkehr gewidmet:
| Flurstück | ||||||
| Name Gemarkung | Flur | Zähler | Nenner | Lagebezeichnung | Bemerkungen | |
| Hochstetten | 1 | 349 | 1 | Im Ameisacker | ||
| Hochstetten | 1 | 893 | Im Ameisacker | |||
| Hochstetten | 1 | 894 | Im Ameisacker | |||
| Hochstetten | 1 | 905 | 2 | Im Ameisacker | ||
| Hochstetten | 1 | 930 | Im Ameisacker | |||
| Hochstetten | 1 | 969 | Im Ameisacker/ Im Scheiberling | |||
| Hochstetten | 1 | 304 | 19 | Alte Straße | ||
| Hochstetten | 1 | 320 | 3 | tlw. | Alte Straße | Anlage 1 |
| Hochstetten | 3 | 83 | 14 | Alte Straße | ||
| Hochstetten | 1 | 304 | 20 | Im Weilborn | ||
| Hochstetten | 3 | 1132 | Im Weilborn | |||
| Hochstetten | 1 | 445 | 12 | Hellbergblick | ||
| Hochstetten | 3 | 1081 | Hellbergblick | |||
| Hochstetten | 3 | 1083 | Hellbergblick | |||
| Hochstetten | 1 | 440 | 7 | Sonnenhof | ||
| Hochstetten | 1 | 1092 | Sonnenhof | |||
| Hochstetten | 3 | 1131 | Am Wäldchen | |||
| Hochstetten | 3 | 1069 | Waldweg | |||
| Hochstetten | 3 | 1101 | Waldweg | |||
| Hochstetten | 1 | 440 | 5 | tlw. | Waldweg | Anlage 2 |
| Hochstetten | 3 | 1062 | Im Backesgarten | |||
| Hochstetten | 7 | 909 | Bachwiese | |||
| Hochstetten | 7 | 924 | tlw. | Friedhofsweg | Anlage 3 | |
| Hochstetten | 7 | 210 | 2 | Im Nagelberg | ||
| Hochstetten | 7 | 247 | 8 | Im Nagelberg | ||
| Hochstetten | 3 | 258 | 12 | Hermann-Besemüller-Straße | ||
| Hochstetten | 7 | 190 | 6 | Kirchpfad | ||
| Hochstetten | 7 | 237 | 1 | Kirchpfad | ||
| Hochstetten | 3 | 218 | 5 | Kirchpfad | ||
| Hochstetten | 3 | 258 | 3 | Kirchpfad | ||
| Hochstetten | 3 | 258 | 10 | Kirchpfad | ||
| Hochstetten | 3 | 213 | 14 | Albert-Pfeiffer-Straße | ||
| Hochstetten | 3 | 281 | 44 | Albert-Pfeiffer-Straße | ||
| Hochstetten | 3 | 284 | 12 | Albert-Pfeiffer-Straße | ||
| Hochstetten | 3 | 287 | 15 | Albert-Pfeiffer-Straße | ||
| Hochstetten | 3 | 144 | 23 | An der Röhr | ||
| Hochstetten | 3 | 146 | 19 | An der Röhr | ||
| Hochstetten | 3 | 147 | 16 | An der Röhr | ||
| Hochstetten | 3 | 305 | 15 | Flötzweg | ||
| Hochstetten | 3 | 280 | 17 | Bergstraße | ||
| Hochstetten | 3 | 274 | 21 | Im Steingrund | ||
| Hochstetten | 3 | 274 | 22 | Im Steingrund | ||
| Hochstetten | 3 | 274 | 13 | Im Steingrund | ||
| Hochstetten | 3 | 134 | 8 | Brunnengasse | ||
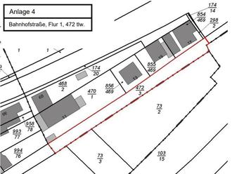
| Hochstetten | 1 | 472 | 3 | tlw. | Bahnhofstraße | Anlage 4 |
| Hochstetten | 3 | 73 | 9 | Bahnhofstraße | ||
| Hochstetten | 3 | 84 | 19 | Bahnhofstraße | ||
| Hochstetten | 3 | 93 | 2 | Bahnhofstraße | ||
| Hochstetten | 3 | 93 | 5 | Bahnhofstraße | ||
| Hochstetten | 3 | 93 | 6 | Bahnhofstraße | ||
| Hochstetten | 3 | 93 | 9 | Bahnhofstraße | ||
| Hochstetten | 3 | 109 | 1 | Bahnhofstraße | ||
| Hochstetten | 3 | 121 | 5 | Bahnhofstraße | ||
| Hochstetten | 3 | 983 | 109 | Bahnhofstraße |
Die in den Anlagen 1 bis 4 rot markierten Flächen sind die Teilflächen des in der jeweiligen Zeile genannten Flurstückes (Nenner/Zähler), die gewidmet werden. Das entsprechende Flurstück wird somit entsprechend der Darstellung in der jeweiligen Anlage nur teilweise („tlw.“) gewidmet. Die Strichstärke der Umrandungslinie ist unerheblich und Unterschiede technisch bedingt.
Die Verfügung (einschließlich Anlagen 1-3) sowie die Lagepläne, auf denen die Lage der einzelnen Flächen dargestellt ist, liegen für einen Monat nach Bekanntgabe während der Dienststunden, montags bis mittwochs von 09:00 Uhr bis 12:30 Uhr und 14:00 Uhr bis 16:00 Uhr, donnerstags von 09:00 Uhr bis 12:00 Uhr und 14:00 Uhr bis 18:00 Uhr und freitags von 09:00 Uhr bis 12:00 Uhr, im, Dienstgebäude Kirchstraße 3, 55606 Kirn, 2. Obergeschoss, im Raum 3.20 zur Einsichtnahme aus. Die Bekanntmachung ergeht im Namen und im Auftrag der Ortsgemeinde Hochstetten-Dhaun.
Die Verfügung gilt am Tag nach ihrer öffentlichen Bekanntmachung als bekannt gegeben.
Rechtsbehelfsbelehrung
Gegen diese Widmungsverfügung kann innerhalb eines Monats nach Bekanntgabe Widerspruch erhoben werden. Der Widerspruch ist bei der Verbandsgemeindeverwaltung Kirner Land, Bahnhofstraße 31, 55606 Kirn, oder im Dienstgebäude Kirchstraße 3, 55606 Kirn, einzulegen. Der Widerspruch kann schriftlich oder zur Niederschrift oder durch E-Mail mit qualifizierter elektronischer Signatur an verwaltung@kirner-land.de erhoben werden.
Verbandsgemeindeverwaltung Kirner Land
Kirn, 14. Februar 2023
Thomas Jung
Bürgermeister