Titel Logo
Mitteilungsblatt für die Gemeinde Hünfelden
Ausgabe 24/2023
Amtliche Mitteilungen
Zurück zur vorigen Seite
Zurück zur ersten Seite der aktuellen Ausgabe

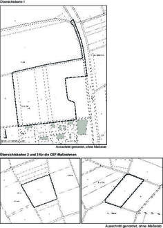
Bauleitplanung der Gemeinde Hünfelden, Ortsteil Kirberg

Ausschnitt genordet, ohne Maßstab Übersichtskarten 2 und 3 für die CEF-Maßnahmen

Bekanntmachung der FNP-Genehmigung gemäß § 6 Abs. 5 Baugesetzbuch

Bauleitplanung der Gemeinde Hünfelden, Ortsteil Kirberg

Änderung des Flächennutzungsplanes im Bereich des Bebauungsplanes „Gewerbegebiet B 417“ - 3. Bauabschnitt

Gemäß § 6 BauGB (Baugesetzbuch) wurde dem Regierungspräsidium in Gießen die von der Gemeindevertretung der Gemeinde Hünfelden am 06.10.2022 festgestellte Änderung des Flächennutzungsplanes im Ortsteil Kirberg im Bereich des Bebauungsplanes „Gewerbegebiet B 417“ mit Schreiben vom 17.02.2023, eingegangen beim Regierungspräsidium Gießen am 20.02.2023, zur Genehmigung vorgelegt.

Das Regierungspräsidium Gießen hat die Änderung des Flächennutzungsplanes geprüft und mit Schreiben vom 24.04.2023, Az.: RPGI-31-61a0100/75-2014/11 genehmigt.

Der Geltungsbereich des Gewerbegebietes ist der nachfolgenden Übersichtskarte 1 zu entnehmen. Auf den Übersichtskarten 2 und 3 werden die artenschutzrechtlichen CEF-Maßnahmen dargestellt.

Die Erteilung der Genehmigung wird hiermit gemäß § 6 Abs. 5 Satz 1 BauGB bekannt gemacht, die Änderung des Flächennutzungsplanes wird mit dieser Bekanntmachung wirksam.

Jedermann kann die genehmigte Änderung des Flächennutzungsplanes und die Begründung sowie den Umweltbericht dazu ab dem Tag der Bekanntmachung im Rathaus der Gemeindeverwaltung Hünfelden, Le-Thillay-Platz, 65597 Hünfelden-Kirberg, Bauamt, 1. Stock rechts, Zimmer 1.11, während der allg. Dienststunden sowie nach Vereinbarung einsehen. Über den Inhalt wird auf Verlangen Auskunft erteilt (§ 6 Abs.5 Satz 2 BauGB).

Gemäß § 6a Abs.1 BauGB wird der Änderung des Flächennutzungsplanes eine zusammenfassende Erklärung beigefügt, aus der die Art und Weise hervorgeht, wie die Umweltbelange und die Ergebnisse der Öffentlichkeits- und Behördenbeteiligung in dem Flächennutzungsplan berücksichtigt wurden, und aus welchen Gründen der Plan in der Abwägung mit den geprüften, in Betracht kommenden anderweitigen Planungsmöglichkeiten gewählt wurde. Gemäß § 6a Abs. 2 BauGB kann die Änderung des Flächennutzungsplanes mit Begründung und zusammenfassender Erklärung ergänzend auf der Homepage der Gemeinde Hünfelden über folgenden Link https://huenfelden.de/rathausverwaltung/fachbereich-iii-bauen-und-wohnen/aktuelle-offenlagen-bauleitplanung-ua.html eingesehen und heruntergeladen werden. Gleichzeitig kann der Plan über das zentrale Internetportal des Landes Hessen (www.bauleitplanung.hessen.de) eingesehen und heruntergeladen werden.

Gemäß § 215 Abs. 2 BauGB wird darauf hingewiesen, dass eine nach § 214 Abs. 1 Satz 1 Nr. 1 bis 3 BauGB beachtliche Verletzung der dort bezeichneten Verfahrens- und Formvorschriften, eine unter Berücksichtigung des § 214 Abs. 2 BauGB beachtliche Verletzung der Vorschriften über das Verhältnis des Bebauungsplanes und des Flächennutzungsplanes und nach § 214 Abs.3 Satz 2 BauGB beachtliche Mängel des Abwägungsvorgangs gemäß § 215 Abs. 1 BauGB unbeachtlich werden, wenn sie nicht innerhalb von einem Jahr seit dieser Bekanntmachung schriftlich gegenüber der Gemeinde unter Darlegung des die Verletzung begründenden Sachverhalts geltend gemacht worden sind.

Übersichtskarte 1