Titel Logo
Mitteilungsblatt für die Gemeinde Hünfelden
Ausgabe 24/2023
Amtliche Mitteilungen
Zurück zur vorigen Seite
Zurück zur ersten Seite der aktuellen Ausgabe

Bebauungsplan Gemeinde Hünfelden

Bauleitplanung der Gemeinde Hünfelden, Ortsteil Kirberg

Bebauungsplan „Gewerbegebiet B 417“ - 3. Bauabschnitt

Die Gemeindevertretung der Gemeinde Hünfelden hat am 06.10.2022 den Bebauungsplan „Gewerbegebiet B 417“ im Ortsteil Kirberg gemäß § 10 Abs. 1 BauGB (Baugesetzbuch) i.V.m. § 5 HGO (Hessische Gemeindeordnung) und i.V.m. § 9 Abs. 4 BauGB i.V.m. § 91 HBO (Hessische Bauordnung) sowie § 37 Abs. 4 HWG (Hessisches Wassergesetz) als Satzung beschlossen und die Begründung mit Umweltbericht hierzu gebilligt.

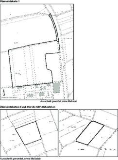
Der Geltungsbereich des Gewerbegebietes ist der nachfolgenden Übersichtskarte 1 zu entnehmen. Auf den Übersichtskarten 2 und 3 werden die artenschutzrechtlichen CEF-Maßnahmen dargestellt.

Der Bebauungsplan ist gemäß § 8 Abs. 2 BauGB aus dem am 24.04.2023 vom Regierungspräsidium Gießen genehmigten Flächennutzungsplan entwickelt.

Gemäß § 10 Abs. 3 Satz 4 BauGB tritt der Bebauungsplan mit integrierter Orts- und Gestaltungssatzung und wasserrechtlichen Festsetzungen mit dieser Bekanntmachung in Kraft.

Der Bebauungsplan und die Begründung inkl. Umweltbericht hierzu kann im Rathaus der Gemeindeverwaltung Hünfelden, Le-Thillay-Platz, 65597 Hünfelden-Kirberg, Bauamt, 1. Stock rechts, Zimmer 1.11, während der allgemeinen Dienststunden sowie nach Vereinbarung eingesehen werden (§ 10 Abs. 3 Satz 3 BauGB). Über den Inhalt wird auf Verlangen Auskunft erteilt (§ 10 Abs.3 Satz 2 BauGB).

Gemäß § 10a Abs. 2 BauGB kann der rechtskräftige Bebauungsplan mit Begründung, Umweltbericht und zusammenfassender Erklärung ergänzend auf der Homepage der Gemeinde Hünfelden über folgenden Link https://huenfelden.de/rathausverwaltung/fachbereich-iii-bauen-und-wohnen/aktuelle-offenlagen-bauleitplanung-ua.html eingesehen und heruntergeladen werden. Gleichzeitig kann der Plan über das zentrale Internetportal des Landes Hessen (www.bauleitplanung.hessen.de) eingesehen und heruntergeladen werden.

Gemäß § 10a Abs. 1 BauGB wird dem Bebauungsplan eine zusammenfassende Erklärung beigefügt, aus der die Art und Weise hervorgeht, wie die Umweltbelange und die Ergebnisse der Öffentlichkeits- und Behördenbeteiligung in dem Bebauungsplan berücksichtigt wurden, und aus welchen Gründen der Plan nach Abwägung mit den geprüften in Betracht kommenden anderweitigen Planungsmöglichkeiten gewählt wurde.

Gemäß § 215 Abs. 2 BauGB wird darauf hingewiesen, dass eine nach § 214 Abs. 1 Satz 1 Nr. 1 bis 3 BauGB beachtliche Verletzung der dort bezeichneten Verfahrens- und Formvorschriften, eine unter Berücksichtigung des § 214 Abs. 2 BauGB beachtliche Verletzung der Vorschriften über das Verhältnis des Bebauungsplanes und des Flächennutzungsplanes und nach § 214 Abs. 3 Satz 2 BauGB beachtliche Mängel des Abwägungsvorgangs gemäß § 215 Abs. 1 BauGB unbeachtlich werden, wenn sie nicht innerhalb von einem Jahr seit dieser Bekanntmachung schriftlich gegenüber der Gemeinde unter Darlegung des die Verletzung begründenden Sachverhalts geltend gemacht worden sind.

Auf die Vorschriften der §§ 44 Abs. 3 Satz 1 und 2 sowie Abs. 4 BauGB über die fristgemäße Geltend-machung etwaiger Entschädigungsansprüche für Eingriffe in eine bisher zulässige Nutzung durch diesen Bebauungsplan und über das Erlöschen von Entschädigungsansprüchen wird hingewiesen.