Titel Logo
"tip" Heidenroder Nachrichten
Ausgabe 20/2023
Mitteilungen aus dem Rathaus
Zurück zur vorigen Seite
Zurück zur ersten Seite der aktuellen Ausgabe

Teiländerung des Flächennutzungsplans „Rechts vom Berndrother Weg“ im Ortsteil Heidenrod-Laufenselden

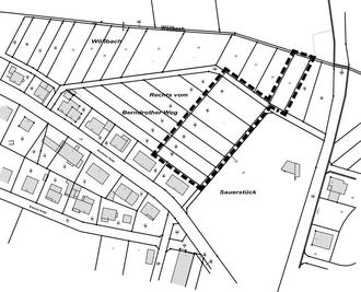
Abbildung 1: Lageplan mit Abgrenzung des räumlichen Geltungsbereiches der Teiländerung des FNP

Ausweisung einer Sonderbaufläche Pflegeheim

-Beteiligung der Öffentlichkeit gemäß § 3 Abs. 2 BauGB-

Die Gemeindevertretung der Gemeinde Heidenrod hat in ihrer öffentlichen Sitzung am 24.03.2023 beschlossen, die Teiländerung des Flächennutzungsplans „Rechts vom Berndrother Weg“ gem. § 3 Abs. 2 BauGB sowie die wesentlichen, bereits vorliegenden umweltbezogenen Stellungnahmen öffentlich auszulegen.

Planungsanlass / Ziele der Planung

Ein privater Vorhabenträger beabsichtigt die Errichtung eines Alten- und Pflegeheims in der Gemeinde Heidenrod, Ortsteil Laufenselden, im Bereich „Rechts vom Berndrother Weg“.

Für den Projektstandort liegt bisher kein Bebauungsplan vor. Der Flächennutzungsplan stellt bislang für den von der Planung betroffenen Bereich Dauergrünland (Wiesen und Weideflächen) dar.

Zur planungsrechtlichen Umsetzung ist die Teiländerung des Flächennutzungsplanes erforderlich.

Die Aufstellung des zugehörigen Bebauungsplanes „Rechts vom Berndrother Weg“ erfolgt durch die Gemeinde Heidenrod im Parallelverfahren.

Wesentliche Ziele und Zweck der Planung sind:

1.

Städtebaulich geordnete Nachverdichtung.

2.

Entwicklung von Pflegeinfrastruktur.

3.

Schaffung von Wohnangeboten für ältere / pflegebedürftige Menschen.

4.

Schaffung von Arbeitsplätzen.

Plangebiet

Das Plangebiet befindet sich am nordwestlichen Ortsrand von Laufenselden nördlich der Berndrother Straße, zwischen vorhandener Wohnbebauung, dem Friedhof Laufenselden sowie dem Wöllbach.

Der räumliche Geltungsbereich der Teiländerung des Flächennutzungsplanes umfasst eine Fläche von ca. 0,47 ha. Die Abgrenzung des räumlichen Geltungsbereichs ergibt sich aus dem nachfolgenden Lageplan.

Öffentliche Auslegung

Der Entwurf der Teiländerung des Flächennutzungsplanes mit der Begründung einschließlich Umweltbericht wird im Zeitraum vom Freitag, den 19.05.2023 bis Freitag, den 23.06.2023 im Bauamt der Gemeindeverwaltung Heidenrod, Rathausstraße 9, 65321 Heidenrod-Laufenselden, Zimmer 203, Hr. Zindel, während der allgemeinen Öffnungszeiten (Mo. 08:00 - 12:00 Uhr, Mi. 09:00 - 12:00 Uhr sowie 14:00 - 18:30 Uhr, Fr. 07:00 – 12:00 Uhr; sowie nach Vereinbarung unter Tel. Nr. +49 6120 - 7928 oder E-Mail: udo.zindel@heidenrod.de) zu jedermanns Einsicht bereitgehalten.

Während des o. g. Zeitraums kann sich die Öffentlichkeit vor Ort mündlich zur Niederschrift oder schriftlich zur Planung äußern.

Der Entwurf der Teiländerung des Flächennutzungsplanes ist auf unserer Homepage unter https://www.heidenrod.de/laufende-verfahren/ (gemäß § 4a Abs. 4 BauGB) eingestellt.

Neben dem Entwurf der Teiländerung des Flächennutzungsplans einschließlich der Begründung sind wesentliche, bereits vorliegende umweltbezogene Informationen verfügbar, die umweltbezogene Informationen enthalten:

  • Umweltbericht als gesonderter Teil der Begründung mit Ermittlung, Beschreibung und Bewertung der Umweltauswirkungen im Basisszenario, bei Nicht-Durchführung der Planung und bei Durchführung der Planung auf das Schutzgut Tiere/Pflanzen, Biotope und die biologische Vielfalt, auf das Schutzgut Fläche (Flächenverbrauch) und Boden, insbesondere im Hinblick auf die Inanspruchnahme von Wiesen- und Weideflächen, auf das Schutzgut Wasser, insbesondere im Hinblick auf Versickerung anfallenden Niederschlagswassers und die Entwässerungskonzeption zu, auf das Schutzgut Klima und Luft, auf das Schutzgut Orts- und Landschaftsbild sowie Erholung, das Schutzgut Mensch, insbesondere bezüglich der Auswirkungen auf den Menschen durch Geräusche und Luftschadstoffe, erneuerbare Energien, auf Abfälle und Wechselwirkungen zwischen den Belangen des Umweltschutzes und kumulative Wirkungen mit anderen Planungen, Eingriffs-/Ausgleichsbilanzierung, Benennung und Beschreibung von Maßnahmen zur Vermeidung, Verringerung und zum Ausgleich nachteiliger Auswirkungen und geplante Überwachungsmaßnahmen durch Eingriffe der Planung.

  • Landespflegerischer Fachbeitrag mit Biotoptypenkartierung, schutzgutbezogener Ermittlung und Bewertung der Umweltauswirkungen, Vorschlag von Maßnahmen zur Vermeidung, Minimierung und Ausgleich von Eingriffen, Eingriffs-/Ausgleichsbilanzierung sowie Vorschlag von landespflegerischen Festsetzungen in den Bebauungsplänen und ggf. externen Kompensationsmaßnahmen, artenschutzrechtlicher Betrachtung mit Vorschlag von Maßnahmen zur Vermeidung und zum Ausgleich von Eingriffen.

  • Abfalltechnische Baugrunduntersuchung zwecks abfalltechnischer Untersuchung/Einstufung des im Zuge der Erdarbeiten für die Neubaumaßnahme anfallenden Aushubmaterials.

  • Baugrund- und Gründungsuntersuchung mit Empfehlung zur Gründung.

Des Weiteren liegen wesentliche umweltbezogene Stellungnahmen der Öffentlichkeit, Behörden oder sonstigen Trägern öffentlicher Belange oder von Nachbargemeinden zu folgenden Themen vor:

  • der Öffentlichkeit insbesondere hinsichtlich zu Versiegelung und der Abführung anfallenden Oberflächenwassers, dem Standort des geplanten Vorhabens und der Verkehrsführung.

  • des Landesverbands der jüdischen Gemeinden in Hessen hinsichtlich eines eventuell vorhandenen und von der Planung betroffenen jüdischen Friedhofes,

  • des Landkreises Limburg-Weilburg, Amt für den ländlichen Raum, Umwelt, Veterinärwesen und Verbraucherschutz hinsichtlich des Bauleitplanverfahrens, naturschutzrechtlichen Ausgleichsmaßnahmen, Inanspruchnahme landwirtschaftlich genutzter Flächen.

  • des Rhein-Main-Verkehrsverbundes hinsichtlich ÖPNV und eines Mobilitätskonzeptes.

  • des Rheingau-Taunus-Kreises hinsichtlich eventueller artenschutzrechtlicher Belange hinsichtlich der Flurstücke 59/1 und 61, der Grundstücksentwässerung bezügliche Oberflächen- und Schmutzwasserentwässerung, der Verkehrsanbindung, der Löschwasserversorgung.

  • des Regierungspräsidiums Darmstadt hinsichtlich der Inanspruchnahme landwirtschaftlicher Flächen, der Bachaue des Wöllbaches, zum Bodenschutz (Baugrund und eventuelle abfallrechtliche Relevanz), zu Bauabfällen und deren Entsorgung, zum Immissionsschutz (Lärm), zur Luftreinhaltung sowie zu Kampfmitteln und Bergbau.

  • Des BUND hinsichtlich des eventuellen Kompensationsbedarfes für die mit Umsetzung der Planung verbundenen Eingriffe, der Funktion der Talaue sowie der Klimarelevanz des mit Umsetzung des Vorhabens verbundenen Eingriffs, dem Eingriff in die Landwirtschaft, die Landschaft sowie eventueller Eingriffe in die Biodiversität.

Gemäß § 3 Abs. 2 BauGB wird darauf hingewiesen, dass nicht fristgerecht abgegebene Stellungnahmen unter den Voraussetzungen des § 4a Abs. 6 BauGB bei der Beschlussfassung über die Flächennutzungsplanänderung unberücksichtigt bleiben können.

Gemäß § 3 Abs. 3 BauGB wird darauf hingewiesen, dass eine Vereinigung im Sinne des § 4 Abs. 3 S. 1 Nr. 2 des Umwelt-Rechtsbehelfsgesetzes in einem Rechtsbehelfsverfahren nach § 7 Abs. 2 des Umwelt-Rechtsbehelfsgesetzes gemäß § 7 Abs. 3 S. 1 des Umwelt-Rechtsbehelfsgesetzes mit allen Einwendungen ausgeschlossen ist, die im Rahmen der Auslegungsfrist nicht oder nicht rechtzeitig geltend gemacht wurden, aber hätten geltend gemacht werden können.

Die Verarbeitung personenbezogener Daten erfolgt auf Grundlage der Art 6 Abs. 1 Buchstabe e DSGVO i V. m. § 3 BauGB.

Des Weiteren wird darauf hingewiesen, dass die zum Bebauungsplanverfahren abgegebenen Stellungnahmen in öffentlicher Sitzung beraten werden und somit ggf. personenbezogene Daten, soweit diese für das Bauleitplanverfahren erforderlich sind, den Gremien der Gemeinde Heidenrod und mithin der Öffentlichkeit zur Verfügung gestellt werden.

Heidenrod, den 05.05.2023
Der Gemeindevorstand der Gemeinde Heidenrod
Diefenbach
Bürgermeister