Titel Logo
"tip" Heidenroder Nachrichten
Ausgabe 45/2025
Mitteilungen aus dem Rathaus
Zurück zur vorigen Seite
Zurück zur ersten Seite der aktuellen Ausgabe

Amtl. Bekanntmachung Aufstellungsbeschluss B-Plan Verbrauchermarkt Schönauer Straße

Städtebauliche Entwicklung in Heidenrod, Ortsteil Laufenselden; Sondergebietsbaufläche Verbrauchermarkt „Schönauer Straße“; Erarbeitung eines Bebauungsplanes

hier: Öffentliche Bekanntmachung des Aufstellungsbeschlusses für die Erarbeitung eines Bebauungsplanes und die frühzeitige Beteiligung der Bürgerinnen und Bürger.

Gemäß § 2 ff. Baugesetzbuch (BauGB) wird öffentlich bekannt gemacht, dass die Gemeinde Heidenrod beabsichtigt, im Ortsteil Laufenselden ein Sondergebiet zur Ansiedlung eines Verbrauchermarktes zu entwickeln. Zur Schaffung der notwendigen bauplanungsrechtlichen Voraussetzungen wird ein Bebauungsplan Sondergebiet „Verbrauchermarkt Schönauer Straße“ erarbeitet.

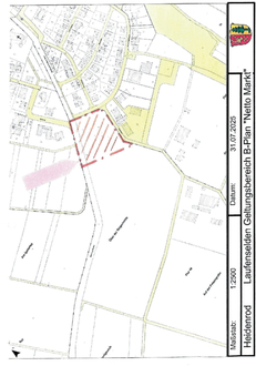
Der Geltungsbereich, für den die Gemeindevertretung in ihrer Sitzung am 29.08.2025 (TOP I.5) einen Aufstellungsbeschluss gefasst hat, umfasst die Grundstücke in der Gemarkung Laufenselden wie folgt:

Der Geltungsbereich ist auf dem abgebildeten Ausschnitt aus der Liegenschaftskarte (nicht maßstäblich) dargestellt.

Gemäß § 3 ff BauGB wird allen Bürgerinnen und Bürgern die Möglichkeit gegeben, sich über die allgemeinen Ziele und Zwecke der Planung und sich wesentlich unterscheidender Lösungen, für die die Neugestaltung und Entwicklung des Gebietes in Betracht kommen, und die voraussichtlichen Auswirkungen der Planungen, zu informieren.

Alle Bürgerinnen und Bürger und Betroffene erhalten hiermit die Gelegenheit, sich gemäß § 3 BauGB zu informieren. Die Unterlagen können in der Zeit vom

10. November 2025 bis 10. Dezember 2025

im Bauamt der Gemeinde Heidenrod, Rathausstraße 9, 65321 Heidenrod-Laufenselden, Zimmer 203, Herrn Zindel, während der nachstehend aufgeführten Dienstzeiten

Montag

08.00 - 12.00 Uhr

Mittwoch

09.00 - 12.00 Uhr u. 14.00 - 18.30 Uhr

Freitag

07.00 - 12.00 Uhr

sowie nach telefonischer Vereinbarung

eingesehen werden.

Die Unterlagen des Aufstellungsbeschlusses inkl. Anlagen sind auch auf der Homepage der Gemeinde unter https://www.heidenrod.de/laufende-verfahren/ eingestellt.

Die Unterlagen sind ferner über das Internetportal des Landes Hessens unter https://bauleitplanung.hessen.de/ einzusehen. Das zentrale Internetportal Bauleitplanung Hessen ermöglicht den Zugang zu Bauleitplänen und ergänzenden Informationen der Städte und Kommunen.

Der Gemeindevorstand der Gemeinde Heidenrod lädt zu einer

Informationsveranstaltung

gemäß § 3 (1) BauGB für

Dienstag, den 11.11.2025, um 19.30 Uhr

in das Sitzungszimmer Bauamt im Rathaus der Gemeinde Heidenrod, Rathausstraße 9 in 65321 Heidenrod-Laufenselden

ein.

Im Rahmen der frühzeitigen Bürgerbeteiligung und der Bürgerversammlung wird die beabsichtigte Planung und der Geltungsbereich, für den der Bebauungsplan erarbeitet werden soll, vorgestellt.

Alle Bürgerinnen und Bürger haben die Möglichkeit, während der vor genannten Auslegungszeit und im Rahmen der Bürgerversammlung Wünsche, Bedenken und Anregungen zur beabsichtigten Aufstellung des Bebauungsplanes vorzutragen. Sie sind mündlich zur Niederschrift oder schriftlich an den Gemeindevorstand der Gemeinde Heidenrod, Rathausstraße 9, 65321 Heidenrod-Laufenselden, zu richten.

Heidenrod, 24.10.2025
Der Gemeindevorstand
der Gemeinde Heidenrod
Im Auftrag
gez. (Zindel) Verwaltungsrat

Anlage: Liegenschaftskarte