Titel Logo
"tip" Heidenroder Nachrichten
Ausgabe 7/2026
Mitteilungen aus dem Rathaus
Zurück zur vorigen Seite
Zurück zur ersten Seite der aktuellen Ausgabe

Städtebauliche Entwicklung in Heidenrod

Aufstellung eines Bebauungsplanes zur Schaffung der notwendigen bauplanungsrechtlichen Voraussetzungen für die Entstehung neuer Wohnbaugrundstücke im Bereich „Ackerbacher Weg“ im Ortsteil Laufenselden

hier: Öffentliche Bekanntmachung Aufstellungsbeschluss für die Erarbeitung eines Bebauungsplanes und die gleichzeitige frühzeitige Beteiligung der Bürgerinnen und Bürger.

Gemäß § 2 ff. Baugesetzbuch (BauGB) wird öffentlich bekannt gemacht, dass die Gemeinde Heidenrod beabsichtigt, im Ortsteil Laufenselden ein Neubaugebiet zur Schaffung neuer Wohnbaugrundstücke zu entwickeln. Zur Schaffung der notwendigen bauplanungsrechtlichen Voraussetzungen wird ein Bebauungsplan für den Bereich „Ackerbacher Weg“ erarbeitet.

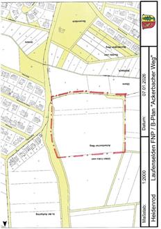
Der Geltungsbereich, für den die Gemeindevertretung in ihrer Sitzung am 30.01.2026 einen Aufstellungsbeschluss gefasst hat, umfasst die Grundstücke in der Gemarkung Laufenselden wie folgt:

Flur

Flurstück

Bezeichnung Lage

Größe

28

32

Mitten links vom Ackerbacher Weg (teilweise)

2.542 m²

42

143/1

Obere Wöllbach

821 m²

28

20

Auf der oberen Wöllbach

(teilweise)

1.455 m²

28

27

Unten links vom Ackerbacher Weg

5.759 m²

28

28

Unten links vom Ackerbacher Weg

2.084 m²

28

29

Unten links vom Ackerbacher Weg

16.851 m²

Der Geltungsbereich ist auf dem abgebildeten Ausschnitt aus der Liegenschaftskarte (nicht maßstäblich) dargestellt.

Gemäß § 3 ff BauGB wird allen Bürgerinnen und Bürgern die Möglichkeit gegeben, sich über die allgemeinen Ziele und Zwecke der Planung und sich wesentlich unterscheidende Lösungen, die für die Neugestaltung und Entwicklung des Gebietes in Betracht kommen und die voraussichtlichen Auswirkungen der Planungen zu informieren.

Die Unterlagen des Aufstellungsbeschlusses inkl. Anlagen sind auf der Homepage der Gemeinde Heidenrod unter Bauen & Wohnen, Bauleitplanung Flächennutzungs- & Bebauungspläne in Bearbeitung, Ortsteil Laufenselden eingestellt und auch über das zentrale Internetportal des Landes Hessen unter https://bauleitplanung.hessen.de/bebauungsplaene-in-hessen-a-z/g-i einzusehen.

Zudem erhalten hiermit alle Bürgerinnen und Bürger die Gelegenheit, gemäß § 3 (1) BauGB, die vorhandenen Unterlagen in der Zeit vom

16. Februar 2026 bis zum 16. März 2026

im Bauamt der Gemeinde Heidenrod, Rathausstraße 9, 65321 Heidenrod-Laufenselden, Zimmer 203, Herrn Zindel, während der nachstehend aufgeführten Dienstzeiten

Montag

08.00 - 12.00 Uhr

Mittwoch

09.00 - 12.00 Uhr u. 14.00 - 18.30 Uhr

Freitag

07.00 - 12.00 Uhr

sowie nach telefonischer Vereinbarung

einzusehen.

Der Gemeindevorstand der Gemeinde Heidenrod lädt zu einer

Informationsveranstaltung

gemäß § 3 (1) BauGB für

Mittwoch, den 18.02.2026, um 18.00 Uhr

in das Sitzungszimmer Bauamt im Rathaus der Gemeinde Heidenrod,

Rathausstraße 9 in 65321 Heidenrod-Laufenselden

ein.

Im Rahmen der frühzeitigen Bürgerbeteiligung und der Informationsveranstaltung werden die beabsichtigte Planung und der Geltungsbereich, für den der Bebauungsplan erarbeitet werden soll, vorgestellt.

Alle Bürgerinnen und Bürger haben die Möglichkeit, während der vorgenannten Auslegungszeit und im Rahmen der Informationsveranstaltung Wünsche, Bedenken und Anregungen zur beabsichtigten Aufstellung des Bebauungsplanes vorzutragen. Sie sind mündlich zur Niederschrift oder schriftlich an den Gemeindevorstand der Gemeinde Heidenrod, Rathausstraße 9, 65321 Heidenrod-Laufenselden, zu richten.

Hinweis:

Die Veröffentlichung der Aufstellungsbeschlüsse für die Aufstellung des Bebauungsplanes und der Änderung, Ergänzung und Anpassung des seit 1997 gültigen Flächennutzungsplanes erfolgt zeitgleich. Auch die Informationsveranstaltung zu beiden Verfahren findet zeitgleich statt!

Heidenrod, 02.02.2026
Der Gemeindevorstand
der Gemeinde Heidenrod
Im Auftrag
gez.
(Zindel) Verwaltungsrat

Anlage: Ausschnitt Liegenschaftskarte