Titel Logo
Hünstetter Nachrichten - Mitteilungsblatt für die Gemeinde Hünstetten
Ausgabe 30/2022
Aus dem Rathaus
Zurück zur vorigen Seite
Zurück zur ersten Seite der aktuellen Ausgabe

Bauleitplanung der Gemeinde Hünstetten

Amtliche Bekanntmachung

Aufstellung einer 1. Änderung des Bebauungsplanes für den Bereich „Nördlich Lausberg“ im Ortsteil Kesselbach mit paralleler Flächennutzungsplanänderung 02/2019

Hier: Satzungsbeschluss und Bekanntmachung des Inkrafttretens gemäß § 10 Baugesetzbuch (BauGB)

Die Gemeindevertretung der Gemeinde Hünstetten hat in ihrer Sitzung am 19.05.2022 aufgrund des § 10 Abs. 1 Baugesetzbuch (BauGB) sowie der §§ 5 und 51 Hessische Gemeindeordnung (HGO) die 1. Änderung des Bebauungsplanes für den Bereich „Nördlich Lausberg“ im Ortsteil Kesselbach als Satzung beschlossen und der Begründung zugestimmt. Zugleich wurden örtliche Bauvorschriften nach § 91 Abs. 1 Hessische Bauordnung (HBO) als Satzung beschlossen, die gemäß § 9 Abs. 4 BauGB in Verbindung mit § 91 Abs. 3 HBO als Festsetzungen in den Bebauungsplan aufgenommen wurden.

Die Genehmigung der Flächennutzungsplanänderung für diesen Bereich wurde am 26.03.2022 bekannt gemacht.

Der Bebauungsplan wurde aus dem gültigen Flächennutzungsplan entwickelt und der Beschluss des Bebauungsplanes wird hiermit gemäß § 10 Abs. 3 BauGB bekannt gemacht. Mit dieser Bekanntmachung, die an die Stelle der sonst für Satzungen vorgeschriebenen Veröffentlichung tritt, tritt der Bebauungsplan in Kraft.

Der am 19.05.2022 als Satzung beschlossene Bebauungsplan nebst Begründung, Umweltbericht als gesonderter Teil der Begründung und zusammenfassender Erklärung über die Art und Weise wie die Umweltbelange und die Ergebnisse der Öffentlichkeits- und Behördenbeteiligung in dem Bebauungsplan berücksichtigt wurden, und über die Gründe, aus denen der Plan nach Abwägung mit den geprüften, in Betracht kommenden anderweitigen Planungsmöglichkeiten gewählt wurde (§ 10a Abs. 1 BauGB), wird ab sofort während der allgemeinen Dienststunden im Rathaus der Gemeinde Hünstetten, Im Lagersboden 5, 65510 Hünstetten-Wallbach, Obergeschoss, Zimmer 23 zu jedermanns Einsicht bereitgehalten. Über den Inhalt wird auf Verlangen Auskunft gegeben.

Die Dienststunden der Gemeindeverwaltung sind:

Montag bis Freitag von 08:00 - 12:00 Uhr,

Mittwoch zusätzlich von 14:00 - 19:00 Uhr.

Samstags und sonntags bestehen keine Dienststunden der Gemeindeverwaltung Hünstetten.

Kontaktdaten sind:

Telefon: (06126) 9955-23

E-Mail: leonard.foehr@huenstetten.de

Gemäß § 10a Abs. 2 BauGB wird der Bebauungsplan auf der Internetseite der Gemeinde Hünstetten

(https://www.huenstetten.de/buergerservice/bauleitplanung-bebauungsplaene/) eingestellt und über das zentrale Internetportal des Landes Hessen (https://bauleitplanung.hessen.de) zugänglich gemacht.

Es wird gemäß § 215 Abs. 2 BauGB darauf hingewiesen, dass

  1. eine nach § 214 Abs. 1 Satz 1 Nr. 1 bis 3 BauGB beachtliche Verletzung der dort bezeichneten Verfahrens- und Formvorschriften,
  2. eine unter Berücksichtigung des § 214 Abs. 2 BauGB beachtliche Verletzung der Vorschriften über das Verhältnis des Bebauungsplans und des Flächennutzungsplans und
  3. nach § 214 Abs. 3 Satz 2 BauGB beachtliche Mängel des Abwägungsvorgangs

unbeachtlich werden, wenn sie nicht innerhalb eines Jahres seit Bekanntmachung des Flächennutzungsplans oder der Satzung schriftlich gegenüber der Gemeinde unter Darlegung des die Verletzung begründenden Sachverhalts geltend gemacht worden sind.

Es wird ferner gemäß § 44 Abs. 5 BauGB darauf hingewiesen, dass nach § 44 Abs. 3 Satz 1 BauGB der Entschädigungsberechtigte Entschädigung verlangen kann, wenn die in den §§ 39 bis 42 BauGB (Vertrauensschaden, Entschädigung in Geld oder durch Übernahme, Entschädigung bei Begründung von Geh-, Fahr- und Leitungsrechten und bei Bindungen für Bepflanzungen, Entschädigung bei Änderung oder Aufhebung einer zulässigen Nutzung) bezeichneten Vermögensnachteile eingetreten sind. Nach § 44 Abs. 3 Satz 2 BauGB kann der Entschädigungsberechtigte die Fälligkeit des Anspruchs dadurch herbeiführen, dass er die Leistung der Entschädigung schriftlich bei dem Entschädigungspflichtigen beantragt. Gemäß § 44 Abs. 4 BauGB erlischt ein Entschädigungsanspruch, wenn nicht innerhalb von drei Jahren nach Ablauf des Kalenderjahres, in dem die in § 44 Abs. 3 Satz 1 BauGB bezeichneten Vermögensnachteile eingetreten sind, die Fälligkeit des Anspruchs herbeigeführt wird.

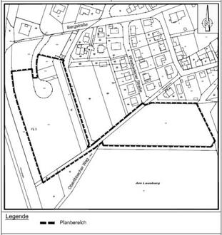
1. Plangebietsabgrenzung für die 1. Änderung des Bebauungsplanes für den Bereich „Nördlich Lausberg“ im Ortsteil Kesselbach (ohne Maßstab):

Die Lage der Abgrenzung hat keine Rechtsverbindlichkeit und kennzeichnet nur die Lage des Planungsbereiches.

2. Übersichtsplan zur 1. Änderung des Bebauungsplanes für den Bereich „Nördlich Lausberg“ im Ortsteil Kesselbach (ohne Maßstab):

Die Lage der Abgrenzung hat keine Rechtsverbindlichkeit und kennzeichnet nur die Lage des Planungsbereiches.

Es wird bestätigt, dass der Inhalt dieser Satzung mit dem/den hierzu ergangenen Beschluss/Beschlüssen der Gemeindevertretung übereinstimmt und dass die für die Rechtswirksamkeit maßgebenden Verfahrensvorschriften eingehalten wurden.

Mit dieser Bekanntmachung tritt die 1. Änderung des Bebauungsplanes für den Bereich „Nördlich Lausberg“ im Ortsteil Kesselbach in Kraft.

Hünstetten, den 26. Juli 2022 — Jan Kraus
Der Gemeindevorstand — Bürgermeister
der Gemeinde Hünstetten —