Titel Logo
Adenauer Nachrichten
Ausgabe 2/2025
Öffentliche Bekanntmachungen
Zurück zur vorigen Seite
Zurück zur ersten Seite der aktuellen Ausgabe

Satzung zur Aufstellung des Bebauungsplanes „Auf dem Domacker“

Bekanntmachung

I.

Der Ortsgemeinderat von Rodder hat am 18.12.2024 die nachfolgende Satzung beschlossen:

Satzung

zur Aufstellung

des Bebauungsplanes

„Auf dem Domacker“

der

Ortsgemeinde Rodder

vom

18.12.2024

Aufgrund

  • des Baugesetzbuches (BauGB) vom 03.11.2017 (BGBl. I S. 3634), zuletzt geändert durch Gesetz vom 20.12.2023 (BGBl. 2023 I Nr. 394),
  • der Verordnung über die bauliche Nutzung der Grundstücke (Baunutzungsverordnung - BauNVO) vom 21.11.2017 (BGBl. I S. 3786), zuletzt geändert durch Gesetz vom 03.07.2023 (BGBl. 2023 I Nr. 176),
  • der Verordnung über die Ausarbeitung der Bauleitpläne sowie über die Darstellung des Planinhalts (PlanzV) vom 18.12.1990 (BGBl. I 1991, S. 58), zuletzt geändert durch Gesetz vom 14.06.2021 (BGBl. I S. 1802),
  • des Gesetzes zum Schutz vor schädlichen Umwelteinwirkungen durch Luftverunreinigungen, Geräusche, Erschütterungen und ähnliche Vorgänge (Bundes-Immissionsschutzgesetz - BImSchG) vom 17.05.2013 (BGBl. I S. 1274), zuletzt geändert durch Gesetz vom 03.07.2024 (BGBl. 2024 I Nr. 225),
  • des Raumordnungsgesetzes (ROG) vom 22.12.2008 (BGBl. I S. 2986), zuletzt geändert durch Gesetz vom 22.03.2023 (BGBl. 2023 I Nr. 88),
  • des Bundesfernstraßengesetzes (FStrG) vom 28.06.2007 (BGBl. S. 1206), zuletzt geändert durch Gesetz vom 22.12.2023 (BGBl. 2023 I Nr. 409),
  • des Landesstraßengesetzes (LStrG) vom 01.08.1977 (GVBl. S. 273), zuletzt geändert durch Gesetz vom 07.12.2022 (GVBl. S. 413),
  • des Denkmalschutzgesetzes RP (DSchG) vom 23.03.1978 (GVBl. S. 159), zuletzt geändert durch Gesetz vom 28.09.2021 (GVBl. S. 543),
  • des Gesetzes über die Umweltverträglichkeitsprüfung (UVPG) vom 18.03.2021 (BGBl. I S. 540), zuletzt geändert durch Gesetz vom 23.10.2024 (BGBl. 2024 I Nr. 323),
  • der Landesbauordnung Rheinland-Pfalz (LBauO) vom 24.11.1998 (GVBl. S. 365), zuletzt geändert durch Gesetz vom 07.12.2022 (GVBl. S. 403),
  • des Landesnaturschutzgesetzes (LNatSchG) vom 06.10.2015 (GVBl. S. 283), zuletzt geändert durch Gesetz vom 26.06.2020 (GVBl. S. 287),
  • des Gesetzes über Naturschutz und Landschaftspflege (BNatSchG) vom 29.07.2009 (BGBl. I S. 2542), zuletzt geändert durch Gesetz vom 23.10.2024 (BGBl. 2024 I Nr. 323),
  • Bundesbodenschutzgesetz (BBodSchG) vom 17.03.1998 (BGBl. I S. 502), zuletzt geändert durch Gesetz vom 25.02.2021 (BGBl. I S. 306),
  • Landesbodenschutzgesetz (LBodSchG) vom 25.07.2005 (GVBl. S. 302), zuletzt geändert durch Gesetz vom 26.06.2020 (GVBl. S. 287)
  • des Wasserhaushaltsgesetztes (WHG) vom 31.07.2009 (BGBl. I S. 2585), zuletzt geändert durch Gesetz vom 22.12.2023 (BGBl. 2023 I Nr. 409),
  • des Landesplanungsgesetzes (LPlG) vom 10.04.2003 (GVBl. S. 41), zuletzt geändert durch Gesetz vom 06.10.2015 (GVBl. S.283),
  • des Landeswassergesetzes (LWG) vom 14.07.2015 (GVBl. S. 127), zuletzt geändert durch Gesetz vom 08.04.2022 (GVBl. S. 118) und
  • der Gemeindeordnung für Rheinland-Pfalz (GemO) vom 31.01.1994 (GVBl. S. 153), zuletzt geändert durch Gesetz vom 15.03.2023 (GVBl. S. 71),

jeweils in der zuletzt geltenden Fassung,

beschließt der Ortsgemeinderat die Aufstellung des Bebauungsplanes „Auf dem Domacker“ als Satzung und die Begründung hierzu. Der Bebauungsplan besteht aus einer Planurkunde, Textlichen Festsetzungen und einer Begründung einschließlich einem Umweltbericht sowie einer Ausnahmegenehmigung gem. § 30 (4) BNatSchG.

§ 1

Von dem Bebauungsplan werden die nachstehenden Grundstücke betroffen:

Gemarkung

Flur

Parzellen Nr.

Rodder

3

37

4

127 tlw.

§ 2

Bestandteil der Satzung sind die Planzeichnung und die textlichen Festsetzungen. Eine Begründung gemäß §§ 9 (8), 2a BauGB sowie die Ausnahmegenehmigung nach § 30 (4) BNatSchG sind beigefügt.

§ 3

Diese Satzung tritt am Tage ihrer öffentlichen Bekanntmachung gemäß § 10 (3) BauGB in Kraft.

II.

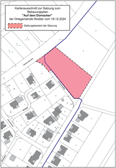
Die Abgrenzung des Bebauungsplanbereiches kann aus dem dieser Bekanntmachung beigefügten Kartenausschnitt entnommen werden.

III.

Der Bebauungsplan bestehend aus Planzeichnung nebst Textlichen Festsetzungen sowie einer Begründung mit Umweltbericht und einer Ausnahmegenehmigung nach § 30 (4) BNatSchG liegt ab sofort bei der Verbandsgemeindeverwaltung Adenau, Rathaus, Fachbereich 2 - Planen und Bauen, während der Dienststunden gemäß § 10 BauGB öffentlich aus. Jedermann kann die Bebauungsplanänderung in dieser Zeit einsehen und über den Inhalt Auskunft verlangen.

IV.

Auf die Bestimmungen des § 215 des Baugesetzbuches (BauGB) wird hingewiesen. Hiernach werden

- eine nach § 214 Abs. 1 Satz 1 Nr. 1 bis 3 beachtliche Verletzung der dort bezeichneten Verfahrens- und Formvorschriften,

- eine unter Berücksichtigung des § 214 Abs. 2 beachtliche Verletzung der Vorschriften über das Verhältnis des Bebauungsplanes und des Flächennutzungsplans und

- nach § 214 Abs. 3 Satz 2 beachtliche Mängel des Abwägungsvorgangs

unbeachtlich,

wenn sie nicht innerhalb eines Jahres seit Bekanntmachung des Flächennutzungsplanes oder der Satzung schriftlich gegenüber der Gemeinde unter Darlegung des die Verletzung begründenden Sachverhalts geltend gemacht worden sind. Dies gilt entsprechend, wenn Fehler nach § 214 Abs. 2a beachtlich sind.

Darüber hinaus wird auf die Bestimmungen des § 44 BauGB in der o. g. Fassung hingewiesen. Hiernach kann ein Entschädigungsberechtigter Entschädigung verlangen, wenn die in den §§ 39 bis 42 BauGB bezeichneten Vermögensnachteile eingetreten sind. Er kann die Fälligkeit des Anspruchs dadurch herbeiführen, dass er die Leistung der Entschädigung schriftlich bei dem Entschädigungspflichtigen beantragt. Ein Entschädigungsanspruch erlischt, wenn nicht innerhalb von drei Jahren nach Ablauf des Kalenderjahres, in dem die in den §§ 39 bis 42 BauGB bezeichneten Vermögensnachteile eingetreten sind, die Fälligkeit des Anspruchs herbeigeführt wird.

Außerdem wird auf § 24 Abs. 6 der Gemeindeordnung Rheinland-Pfalz vom 31.01.1994 in der derzeit geltenden Fassung hingewiesen. Nach dieser Bestimmung gelten Satzungen, die unter Verletzung von Verfahrens- oder Formvorschriften dieses Gesetzes oder auf Grund dieses Gesetzes zustande gekommen sind, ein Jahr nach der Bekanntmachung als von Anfang an gültig zustande gekommen.

Dies gilt nicht, wenn

1.

die Bestimmungen über die Öffentlichkeit der Sitzung, die Genehmigung, die Ausfertigung oder die Bekanntmachung der Satzung verletzt worden sind oder

2.

vor Ablauf der in Satz 1 genannten Frist die Aufsichtsbehörde den Beschluss beanstandet oder jemand die Verletzung der Verfahrens- oder Formvorschriften gegenüber der Gemeindeverwaltung unter Bezeichnung des Sachverhaltes, der die Verletzung begründen soll, schriftlich geltend macht.

Hat jemand eine Verletzung nach Satz 2 Nr. 2 geltend gemacht, so kann auch nach Ablauf der in Satz 1 genannten Frist jedermann diese Verletzung geltend machen.

V.

Mit dieser Bekanntmachung tritt der Bebauungsplan „Auf dem Domacker“ der Ortsgemeinde Rodder gemäß § 10 (3) BauGB in Kraft.

53520 Rodder, den 07.01.2025
Thomas Jüngling,
Ortsbürgermeister