Titel Logo
Adenauer Nachrichten
Ausgabe 51/2024
Öffentliche Bekanntmachungen
Zurück zur vorigen Seite
Zurück zur ersten Seite der aktuellen Ausgabe

Bekanntmachung

Hiermit wird die Satzung zur Erhebung von wiederkehrenden Beiträgen für den Ausbau von Verkehrsanlagen (Ausbaubeitragssatzung wiederkehrende Beiträge) der Ortsgemeinde Dümpelfeld vom 09.12.2024 öffentlich bekannt gemacht.

Hinweis:

Nach § 24 Abs. 6 der Gemeindeordnung Rheinland-Pfalz (GemO) vom 31.01.1994 (GVBl. S. 153), gelten Satzungen, die unter Verletzung von Verfahrens- oder Formvorschriften der Gemeindeordnung Rheinland-Pfalz zustande gekommen sind, ein Jahr nach der Bekanntmachung als von Anfang an gültig. Dies gilt nicht, wenn

1.

die Bestimmungen über die Öffentlichkeit der Sitzung, die Genehmigung, die Ausfertigung oder die Bekanntmachung der Satzung verletzt worden sind, oder

2.

vor Ablauf der in Satz 1 genannten Frist die Aufsichtsbehörde den Beschluss beanstandet oder jemand die Verletzung der Verfahrens- oder Formvorschriften gegenüber der Verbandsgemeindeverwaltung unter Bezeichnung des Sachverhalts, der die Verletzung begründen soll, schriftlich geltend gemacht hat.

Hat jemand eine Verletzung nach Satz 2 Nr. 2 geltend gemacht, so kann auch nach Ablauf der in Satz 1 genannten Frist jedermann diese Verletzung geltend machen.

Verbandsgemeindeverwaltung Adenau
53518 Adenau, den 20.12.2024
Guido Nisius
Bürgermeister

Satzung

zur Erhebung von wiederkehrenden Beiträgen für den

Ausbau von Verkehrsanlagen (Ausbaubeitragssatzung wiederkehrende Beiträge)

der Ortsgemeinde Dümpelfeld vom 09.12.2024

Der Ortsgemeinderat Dümpelfeld aufgrund des § 24 der Gemeindeordnung (GemO) und der §§ 2 Abs. 1, 7, 10 und 10 a des Kommunalabgabengesetzes (KAG) folgende Satzung beschlossen, die hiermit bekannt gemacht wird:

§ 1

Erhebung von Ausbaubeiträgen

(1)

Die Ortsgemeinde Dümpelfeld erhebt wiederkehrende Beiträge für die Herstellung und den Ausbau von Verkehrsanlagen nach den Bestimmungen des KAG und dieser Satzung.

(2)

Ausbaubeiträge werden für alle Maßnahmen an Verkehrsanlagen, die der Erneuerung, der Erweiterung, dem Umbau oder der Verbesserung dienen, erhoben.

1.

"Erneuerung" ist die Wiederherstellung einer vorhandenen, ganz oder teilweise unbrauchbaren, abgenutzten oder schadhaften Anlage in einen dem regelmäßigen Verkehrsbedürfnis genügenden Zustand,

2.

"Erweiterung" ist jede flächenmäßige Vergrößerung einer fertiggestellten Anlage oder deren Ergänzung durch weitere Teile,

3.

"Umbau" ist jede nachhaltige technische Veränderung an der Verkehrsanlage,

4.

"Verbesserung" sind alle Maßnahmen zur Hebung der Funktion, der Änderung der Verkehrsbedeutung i.S. der Hervorhebung des Anliegervorteiles sowie der Beschaffenheit und Leistungsfähigkeit einer Anlage.

(3)

Die Bestimmungen dieser Satzung gelten auch für die Herstellung von Verkehrsanlagen, die nicht nach dem Baugesetzbuch (BauGB) beitragsfähig ist.

(4)

Die Bestimmungen dieser Satzung gelten nicht, soweit Kostenerstattungsbeträge nach §§ 135 a-c BauGB zu erheben sind.

(5)

Ausbaubeiträge nach dieser Satzung werden nicht erhoben, wenn die Kosten der Beitragserhebung außer Verhältnis zu dem zu erwartenden Beitragsaufkommen stehen.

§ 2

Beitragsfähige Verkehrsanlagen

(1)

Beitragsfähig ist der Aufwand für die öffentlichen Straßen, Wege und Plätze sowie selbstständige Parkflächen und Grünanlagen sowie für selbstständige Fuß- und Radwege.

(2)

Nicht beitragsfähig ist der Aufwand für Brückenbauwerke, Tunnels und Unterführungen mit den dazugehörigen Rampen, mit Ausnahme des Aufwands für Fahrbahndecke und Fußwegbelags.

§ 3

Ermittlungsgebiete

(1)

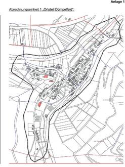
Sämtliche zum Anbau bestimmte Verkehrsanlagen folgender Gebiete bilden jeweils einheitliche öffentliche Einrichtungen (Abrechnungseinheiten), wie sie sich aus dem als Anlage 1 beigefügten Plan ergeben:

1.

Die Abrechnungseinheit 1 wird gebildet vom Ortsteil Dümpelfeld

2.

Die Abrechnungseinheit 2 wird gebildet vom Ortsteil Niederadenau

3.

Die Abrechnungseinheit 3 wird gebildet vom Ortsteil Lückenbach

Die Begründung für die Ausgestaltung der einheitlichen öffentlichen Einrichtungen ist dieser Satzung als Anlage 2 beigefügt.

(2)

Der beitragsfähige Aufwand wird für die die Abrechnungseinheit bildenden Verkehrsanlagen nach den jährlichen Investitionsaufwendungen in der Abrechnungseinheit nach Abs. 1 ermittelt.

§ 4

Gegenstand der Beitragspflicht

Der Beitragspflicht unterliegen alle baulich, gewerblich, industriell oder in ähnlicher Weise nutzbaren Grundstücke, die die rechtliche und tatsächliche Möglichkeit einer Zufahrt oder eines Zugangs zu einer in der Abrechnungseinheit gelegenen Verkehrsanlage haben.

§ 5

Gemeindeanteil

Der Gemeindeanteil beträgt

in der Abrechnungseinheit 1 „Ortsteil Dümpelfeld“

35 %

in der Abrechnungseinheit 2 „Ortsteil Niederadenau“

35 %

in der Abrechnungseinheit 3 „Ortsteil Lückenbach“

35 %

§ 6

Beitragsmaßstab

(1)

Maßstab ist die Grundstücksfläche mit Zuschlägen für Vollgeschosse. Der Zuschlag je Vollgeschoss beträgt 10 v.H. Vollgeschosse im Sinne dieser Regelung sind Vollgeschosse im Sinne der Landesbauordnung.

(2)

Als Grundstücksfläche nach Abs. 1 gilt:

1.

In beplanten Gebieten die überplante Grundstücksfläche. Ist das Grundstück nur teilweise überplant und ist der unbeplante Grundstücksteil dem Innenbereich nach § 34 BauGB zuzuordnen, gilt als Grundstücksfläche die Fläche des Buchgrundstücks; Nr. 2 ist ggf. entsprechend anzuwenden.

2.

Liegen Grundstücke innerhalb eines im Zusammenhang bebauten Ortsteiles (§ 34 BauGB), sind zu berücksichtigen:

a)

bei Grundstücken, die an eine Verkehrsanlage angrenzen, die Fläche von dieser bis zu einer Tiefe von 35 m.

b)

bei Grundstücken, die nicht an eine Verkehrsanlage angrenzen, mit dieser aber durch einen eigenen Weg oder durch einen Zugang verbunden sind (Hinterliegergrundstück), die Fläche von der zu der Verkehrsanlage hin liegenden Grundstücksseite bis zu einer Tiefe von 35 m.

c)

Grundstücksteile, die ausschließlich eine wegemäßige Verbindung darstellen, bleiben bei der Bestimmung der Grundstückstiefe nach a) und b) unberücksichtigt.

d)

Sind die jenseits der nach a) und b) angeordneten Tiefenbegrenzungslinie liegenden Grundstücksteile aufgrund der Umgebungsbebauung baulich oder in ähnlicher Weise selbständig nutzbar (Hinterbebauung in zweiter Baureihe), wird die Fläche bis zu einer Tiefe von 70 m zugrunde gelegt.

Sind die hinteren Grundstücksteile nicht in diesem Sinne selbständig nutzbar und geht die tatsächliche bauliche, gewerbliche, industrielle oder ähnliche Nutzung der innerhalb der Tiefenbegrenzung liegenden Grundstücksteile über die tiefenmäßige Begrenzung nach a) und b) hinaus, so verschiebt sich die Tiefenbegrenzungslinie zur hinteren Grenze der tatsächlichen Nutzung.

Wird ein Grundstück jenseits der in Satz 1 angeordneten erhöhten Tiefenbegrenzungslinie tatsächlich baulich, gewerblich, industriell oder ähnlich genutzt, so verschiebt sich die Tiefenbegrenzungslinie zur hinteren Grenze der tatsächlichen Nutzung.

3.

Bei Grundstücken, für die im Bebauungsplan die Nutzung als Spielplatz, Sportplatz, Freibad, Festplatz, Campingplatz, Dauerkleingarten oder Friedhof festgesetzt ist, die Fläche des im Geltungsbereich des Bebauungsplanes liegenden Grundstückes oder Grundstücksteiles vervielfacht mit 0,5. Bei Grundstücken, die innerhalb eines im Zusammenhang bebauten Ortsteiles (§ 34 BauGB) tatsächlich so genutzt werden, die Fläche des Grundstücks – gegebenenfalls unter Berücksichtigung der nach Nr. 2 angeordneten Tiefenbegrenzung – vervielfacht mit 0,5.

(3)

Für die Zahl der Vollgeschosse nach Abs. 1 gilt:

1.

Für beplante Grundstücke wird die im Bebauungsplan festgesetzte zulässige Zahl der Vollgeschosse zugrundegelegt.

2.

Bei Grundstücken, für die im Bebauungsplan nicht die Zahl der Vollgeschosse, sondern eine Baumassenzahl festgesetzt ist, gilt die durch 3,5 geteilte höchstzulässige Baumassenzahl. Ist auch eine Baumassenzahl nicht festgesetzt, dafür aber die Höhe der baulichen Anlagen in Form der Trauf- oder Firsthöhe, so gilt die durch 3 geteilte höchstzulässige Trauf- oder Firsthöhe. Sind beide Höhen festgesetzt, so gilt die höchstzulässige Traufhöhe. Soweit der Bebauungsplan keine Festsetzungen trifft, gilt als Traufhöhe der Schnittpunkt der Außenseite der Dachhaut mit der seitlichen Außenwand. Die Höhe ist in der Gebäudemitte zu messen. Bruchzahlen werden auf volle Zahlen auf- oder abgerundet.

3.

Soweit kein Bebauungsplan besteht, gilt

a)

die Zahl der auf den Grundstücken der näheren Umgebung überwiegend vorhandenen Vollgeschosse; ist ein Grundstück bereits bebaut und ist die dabei tatsächlich verwirklichte Vollgeschosszahl höher als die in der näheren Umgebung, so ist die tatsächlich verwirklichte Vollgeschosszahl zugrunde zu legen.

b)

bei Grundstücken, die mit einer Kirche bebaut sind, die Zahl von zwei Vollgeschossen. Dies gilt für Türme, die nicht Wohnzwecken, gewerblichen oder industriellen Zwecken oder einer freiberuflichen Nutzung dienen, entsprechend.

4.

Ist nach den Nummern 1 – 3 eine Vollgeschosszahl nicht feststellbar, so ist die tatsächlich vorhandene Traufhöhe geteilt durch 3 anzusetzen, wobei Bruchzahlen auf ganze Zahlen auf- und abzurunden sind. Als Traufhöhe gilt der Schnittpunkt der Außenseite der Dachhaut mit der seitlichen Außenwand. Die Höhe ist in der Gebäudemitte zu messen.

5.

Bei Grundstücken, für die im Bebauungsplan eine sonstige Nutzung festgesetzt ist oder die außerhalb von Bebauungsplangebieten tatsächlich so genutzt werden (z.B. Spiel-, Sport-, Fest- und Campingplätze, Freibäder, Friedhöfe), wird bei vorhandener Bebauung die tatsächliche Zahl der Vollgeschosse angesetzt, in jedem Fall mindestens jedoch ein Vollgeschoss.

6.

Bei Grundstücken, auf denen nur Garagen oder Stellplätze errichtet werden dürfen, gilt die festgesetzte Zahl der Geschosse oder, soweit keine Festsetzung erfolgt ist, die tatsächliche Zahl der Garagen- oder Stellplatzgeschosse, mindestens jedoch ein Vollgeschoss.

7.

Bei Grundstücken, die im Geltungsbereich von Satzungen nach § 34 Abs. 4 BauGB liegen, werden zur Ermittlung der Beitragsflächen die Vorschriften entsprechend angewandt, wie sie bestehen für

a)

Grundstücke in Bebauungsplangebieten, wenn in der Satzung Bestimmungen über das zulässige Nutzungsmaß getroffen sind,

b)

unbeplanten Grundstücke, wenn die Satzung keine Bestimmungen über das zulässige Nutzungsmaß enthält.

8.

Die Zahl der tatsächlich vorhandenen oder sich durch Umrechnung ergebenden Vollgeschosse gilt, wenn sie höher ist als die Zahl der Vollgeschosse nach den vorstehenden Regelungen.

9.

Sind auf einem Grundstück mehrere Gebäude mit unterschiedlicher Zahl von Vollgeschossen zulässig oder vorhanden, gilt die bei der überwiegenden Baumasse vorhandene Zahl.

(4)

Für Grundstücke in Kern-, Gewerbe- und Industriegebieten wird die nach den vorstehenden Regelungen ermittelte und gewichtete Grundstücksfläche um 20 v.H. erhöht. Dies gilt entsprechend für ausschließlich gewerblich, industriell oder in ähnlicher Weise genutzte Grundstücke in sonstigen Baugebieten. Bei teilweise gewerblich, industriell oder in ähnlicher Weise genutzten Grundstücken (gemischt genutzte Grundstücke) in sonstigen Baugebieten erhöhen sich die Maßstabsdaten um 10 v.H.

§ 7

Eckgrundstücke und durchlaufende Grundstücke

(1)

Grundstücke, die sowohl von einer nach § 13 dieser Satzung verschonten Verkehrsanlage erschlossen sind als auch von einer oder mehreren weiteren Verkehrsanlage(n) der Abrechnungseinheit erschlossen sind, werden nur mit 50 % ihrer gewichteten Grundstücksfläche angesetzt.

(2)

Kommt für eine oder mehrere der Verkehrsanlagen nach Abs. 1 die Tiefenbegrenzung nach § 6 Abs. 2 dieser Satzung zur Anwendung, gilt die Regelung des Abs. 1 nur für die sich überschneidenden Grundstücksteile.

§ 8

Entstehung des Beitragsanspruches

Der Beitragsanspruch entsteht mit Ablauf des 31. Dezember für das abgelaufene Jahr.

§ 9

Vorausleistungen

(1)

Ab Beginn des Erhebungszeitraumes können von der Gemeinde Vorausleistungen auf wiederkehrende Beiträge erhoben werden.

(2)

Die Vorausleistungen werden nach der voraussichtlichen Beitragshöhe für das laufende Jahr bemessen.

§ 10

Ablösung des Ausbaubeitrages

Die Ablösung wiederkehrender Beiträge kann jederzeit für einen Zeitraum von bis zu 10 Jahren vereinbart werden. Der Ablösung wird unter Berücksichtigung der zu erwartenden Kostenentwicklung die abgezinste voraussichtliche Beitragsschuld zugrunde gelegt.

§ 11

Beitragsschuldner

(1)

Beitragsschuldner ist, wer im Zeitpunkt der Bekanntgabe des Beitragsbescheides Eigentümer oder dinglich Nutzungsberechtigter des Grundstückes ist.

(2)

Mehrere Beitragsschuldner sind Gesamtschuldner.

§ 12

Veranlagung und Fälligkeit

(1)

Die wiederkehrenden Beiträge und die Vorausleistungen darauf werden durch schriftlichen Bescheid festgesetzt und drei Monate nach Bekanntgabe des Beitragsbescheides fällig.

(2)

Der Beitragsbescheid enthält:

1.

die Bezeichnung des Beitrages,

2.

den Namen des Beitragsschuldners,

3.

die Bezeichnung des Grundstückes,

4.

den zu zahlenden Betrag,

5.

die Berechnung des zu zahlenden Betrages unter Mitteilung der beitragsfähigen Kosten, des Gemeindeanteils und der Berechnungsgrundlagen nach dieser Satzung,

6.

die Festsetzung des Fälligkeitstermins,

7.

die Eröffnung, dass der Beitrag als öffentliche Last auf dem Grundstück ruht, und

8.

eine Rechtsbehelfsbelehrung.

(3)

Die Grundlagen für die Festsetzung wiederkehrender Beiträge können durch besonderen Bescheid (Feststellungsbescheid) festgestellt werden.

§ 13

Übergangs- bzw. Verschonungsregelung

(1) Gemäß § 10a Abs. 6 KAG wird festgelegt, dass Grundstücke, für die in der Vergangenheit einmalige Ausbaubeiträge nach dem KAG oder Erschließungsbeiträge nach dem BauGB gezahlt wurden, vorbehaltlich § 7 Abs. 1 und 2 dieser Satzung, verschont werden. Die Verschonungsdauer wird anhand des Umfangs der einmaligen Belastung wie folgt festgelegt:

Beitragssatz

Dauer der Verschonung

0,01 € - 1,00 € pro qm gewichtete Grundstücksfläche

1 Jahr

1,01 € - 2,00 € pro qm gewichtete Grundstücksfläche

2 Jahre

2,01 € - 3,00 € pro qm gewichtete Grundstücksfläche

3 Jahre

3,01 € - 4,00 € pro qm gewichtete Grundstücksfläche

4 Jahre

4,01 € - 5,00 € pro qm gewichtete Grundstücksfläche

5 Jahre

5,01 € - 6,00 € pro qm gewichtete Grundstücksfläche

6 Jahre

6,01 € - 7,00 € pro qm gewichtete Grundstücksfläche

7 Jahre

7,01 € - 8,00 € pro qm gewichtete Grundstücksfläche

8 Jahre

8,01 € - 9,00 € pro qm gewichtete Grundstücksfläche

9 Jahre

9,01 € - 10,00 € pro qm gewichtete Grundstücksfläche

10 Jahre

10,01 € -11,00 € pro qm gewichtete Grundstücksfläche

11 Jahre

11,01 € - 12,00 € pro qm gewichtete Grundstücksfläche

12 Jahre

12,01 € - 13,00 € pro qm gewichtete Grundstücksfläche

13 Jahre

13,01 € - 14,00 € pro qm gewichtete Grundstücksfläche

14 Jahre

14,01 € - 15,00 € pro qm gewichtete Grundstücksfläche

15 Jahre

15,01 € - 16,00 € pro qm gewichtete Grundstücksfläche

16 Jahre

16,01 € - 17,00 € pro qm gewichtete Grundstücksfläche

17 Jahre

17,01 € - 18,00 € pro qm gewichtete Grundstücksfläche

18 Jahre

18,01 € - 19,00 € pro qm gewichtete Grundstücksfläche

19 Jahre

Ab 19,01 € pro qm gewichtete Grundstücksfläche

20 Jahre

Die Übergangsregelung beginnt jeweils zu dem Zeitpunkt, in dem die sachlichen Beitragspflichten für die Erschließungsbeiträge nach dem BauGB bzw. für die Ausbaubeiträge nach dem KAG entstanden sind.

(2) Erfolgte die Herstellung der Verkehrsanlage aufgrund von Verträgen (insbes. Erschließungsverträge), so wird gem. § 10 a Abs. 6 Satz 1 KAG die Verschonungsdauer auf 20 Jahre festgesetzt. Die Übergangsregelung gilt ab dem Zeitpunkt, in dem Prüfung der Abrechnung der vertraglichen Leistung und die Widmung der Verkehrsanlage erfolgt sind.

§ 14

Öffentliche Last

Der wiederkehrende Straßenausbaubeitrag liegt als öffentliche Last auf dem Grundstück.

§ 15

In-Kraft-Treten

Diese Satzung tritt zum 01.01.2025 in Kraft. Gleichzeitig tritt die Satzung der Ortsgemeinde Dümpelfeld über die Erhebung einmaliger Beiträge für öffentliche Verkehrsanlagen vom 07.05.1996 außer Kraft.

Soweit Beitragsansprüche nach vorhergehenden Satzungen entstanden sind, bleiben diese hiervon unberührt und es gelten insoweit für diese die bisherigen Regelungen weiter.

Dümpelfeld, den 09.12.2024
gez. -Siegel-
Robert Reuter
-Ortsbürgermeister-

Anlage 2

Begründung

der Festlegung der Abrechnungseinheiten der Ortsgemeinde Dümpelfeld gem. § 10a Abs. 1 KAG i. V. m. § 3 Abs.1 der Satzung zur Erhebung von wiederkehrenden Beiträgen für den Bau von Verkehrsanlagen in der Ortsgemeinde Dümpelfeld (Ausbaubeitragssatzung wiederkehrender Beitrag)

1. Allgemeines

Nach § 10a KAG erheben die Gemeinden für den Ausbau öffentlicher und zum Anbau bestimmter Straßen, Wege und Plätze (Verkehrsanlagen) wiederkehrende Beiträge. Als Grundlage für die Erhebung wiederkehrender Beiträge werden von den Gemeinden durch Satzung einheitliche öffentliche Einrichtungen festgelegt, die durch das Zusammenfassen mehrerer, in einem abgrenzbaren und räumlich zusammenhängenden Gebietsteil liegender Verkehrsanlagen des Gemeindegebietes gebildet werden.

Die Bildung einer einheitlichen öffentlichen Einrichtung durch Zusammenfassen aller Verkehrsanlagen einer Gemeinde kann erfolgen, wenn diese aufgrund des zusammenhängenden Gemeindegebietes in ihrer Gesamtheit den einzelnen Grundstücken die Anbindung an das inner- und überörtliche Straßennetz vermitteln. Von einem zusammenhängendem Gemeindegebiet in diesem Sinn kann nicht gesprochen werden, wenn Außenbereichsflächen von nicht nur unbedeutenden Umfang zwischen den bebauten Gebieten liegen. Die Entscheidung über die Ausgestaltung der einheitlichen öffentlichen Einrichtungen trifft die Gemeinde unter Beachtung der örtlichen Gegebenheiten.

Unter Beachtung der vorgenannten Vorgaben werden gemäß § 10a Kommunalabgabengesetz für Rheinland-Pfalz in Verbindung mit § 3 der Satzung die zum Anbau bestimmten Verkehrsanlagen in der Ortsgemeinde in folgende Abrechnungseinheiten aufgeteilt:

2. Abrechnungseinheiten

Abrechnungseinheit 1 – Ortsteil Dümpelfeld

Abrechnungseinheit 2 – Ortsteil Niederadenau

Abrechnungseinheit 3 – Ortsteil Lückenbach

3. Begründung

Begründung zur Aufteilung des Gemeindegebiets gem. § 3 Abs.1:

Die Ortsgemeinde Dümpelfeld besteht aus den Ortsteilen Dümpelfeld, Niederadenau und Lückenbach. Diese drei Ortsteile liegen jeweils mehrere hundert Meter auseinander. Die Ortsteile sind lediglich durch nicht zum Anbau bestimmte, durch den Außenbereich führende, klassifizierte Straßen miteinander verbunden. Durch diese deutlich räumlich tatsächliche Trennung liegt eine hinreichende Abgrenzbarkeit der drei Ortsteile vor. Insbesondere aufgrund dieser räumlichen Trennung scheidet ein Zusammenfassen aller Verkehrsanlagen innerhalb des Gemeindegebiets aus. Aus diesem Grunde ist eine Aufteilung in die vorgenannten Abrechnungseinheiten geboten.