Titel Logo
Mitteilungsblatt der Gemeinde
Ausgabe 13/2024
Amtliche Bekanntmachungen
Zurück zur vorigen Seite
Zurück zur ersten Seite der aktuellen Ausgabe

Bekanntmachung

Aufstellung des Bebauungsplanes Nr. 50 "Mehrgenerationen-Projekt" der Gemeinde Hambühren; Öffentlichkeitsbeteiligung gemäß § 3 Abs. (2) des Baugesetzbuches.

Der Verwaltungsausschuss der Gemeinde Hambühren hat am 11.06.2024 dem Entwurf einschließlich der Entwurfsbegründung des Bebauungsplanes Nr. 50 "Mehrgenerationen-Projekt" zugestimmt und die Beteiligung der Öffentlichkeit nach § 3 Abs. (2) BauGB veranlasst.

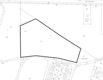
Die Lage und der Zuschnitt des Bebauungsplanes Nr. 50 sind der folgenden Planübersicht zu entnehmen:

Landesamt für Geoinformation und Landesvermessung Niedersachsen, Regionaldirektion Braunschweig-Wolfsburg, Katasteramt Celle

Kartengrundlage: Liegenschaftskarte, Gemeinde Hambühren, Gemarkung Hambühren, Flur 4

Quelle: Auszug aus den Geobasisdaten der Nds. Vermessungs- und Katasterverwaltung,

© 2023

Die Aufstellung des Bebauungsplanes Nr. 50 “Mehrgenerationen-Projekt“ hat das Ziel, am nordwestlichen Siedlungsrand des OT Hambühren II ein Baugebiet auszuweisen, in dem mit einer Kindertagesstätte, Seniorenwohnen und einem Geschosswohnungsbau für „Jung und Alt“ ein Mehrgenerationen-Projekt umgesetzt werden soll.

Südlich an den Geltungsbereich grenzt anschließend an die Straße „Fontaneweg“ teilweise bereits Wohnbebauung an, teilweise wird diese zzt. durch den Bebauungsplan Nr. 45 „Wohngebiet westlich Neue Grenze“ vorbereitet. Mit dem Bebauungsplan Nr. 45 sind sowohl freistehende Einfamilienhäuser als auch im Übergang zu dem Bebauungsplan Nr. 50 Reihen- oder Mehrfamilienhäuser vorgesehen. Insgesamt kann auf diese Weise verschiedenen Wohn- und Betreuungsbedürfnissen nachgekommen werden. Die Bebauungspläne Nr. 45 und 50 setzen mit 2 Teilflächen ein Gesamtkonzept um.

Die das Verfahren betreffenden Unterlagen (der Entwurf des Bebauungsplanes sowie die Begründung inkl. Umweltbericht) sind in der Zeit vom 24.06.2024 bis einschließlich 24.07.2024 auf der Homepage der Gemeinde Hambühren unter www.hambuehren.de/bekanntmachungen veröffentlicht.

Zusätzlich zur Veröffentlichung im Internet liegen die Planunterlagen im Foyer des Rathauses, Versonstraße 7, 29313 Hambühren, während der Öffnungszeiten der Verwaltung öffentlich aus.

Öffnungszeiten:

Montag

08.00 Uhr - 12.00 Uhr und 14.00 Uhr - 16.00 Uhr

Dienstag

08.00 Uhr - 12.00 Uhr

Mittwoch

07.30 Uhr - 12.00 Uhr

Donnerstag

14.00 Uhr - 18.00 Uhr

Freitag:

08.00 Uhr - 12.00 Uhr

Nach telefonischer Vereinbarung (Tel: 05084/601-230) können die Unterlagen auch außerhalb dieser Zeiten eingesehen werden.

Folgende Unterlagen mit umweltbezogenen Informationen sind verfügbar:

Begründung mit Umweltbericht und Anlagen (Gutachtliche Stellungnahme zum Wald, Karten Waldersatz- und Kompensationsflächen, Schalltechnisches Gutachten, Merkblatt Regenwasserbeseitigung auf Wohngrundstücken)

Umweltbezogene Stellungnahmen aus der frühzeitigen Beteiligung der Öffentlichkeit und der Behörden und sonstigen Träger öffentlicher Belange

Darin enthalten sind folgende umweltbezogene Informationen:

Umweltschutzziele aus übergeordneten Fachgesetzen und Fachplanungen

Beschreibung und Bewertung der Umweltauswirkungen bei Durchführung der Planung auf Schutzgebiete und die Schutzgüter Mensch (insbesondere in Hinblick auf Gesundheit/Schutzbedarf und Erholung), Arten- und Lebensgemeinschaften (einschließlich Darstellung und Beurteilung von Biotoptypen und Artenschutz, insbesondere in Bezug auf Brutvögel, Fledermäuse, Kriechtiere und Wirbellose), Berücksichtigung des Waldrechts, Fläche/Boden (einschließlich Funktionsverlust durch Versiegelung), Wasser, Klima/Luft, Landschafts- und Ortsbild, Kultur- und sonstige Sachgüter sowie Wechselwirkungen zwischen den Belangen und Eingriffsbilanzierung

Entwicklung der Umwelt bei Durchführung der Planung

Beschreibung von Maßnahmen zur Vermeidung, Verringerung und zum Ausgleich nachteiliger Umweltauswirkungen (einschließlich Kompensationsmaßnahmen)

Prüfung von Planungsalternativen

Während der Dauer der oben genannten Veröffentlichungsfrist können Stellungnahmen zu der Planung abgegeben werden. Die Stellungnahmen übermitteln Sie bitte elektronisch per E-Mail an: info@hambuehren.de

Bei Bedarf können die Stellungnahmen aber auch auf anderem Wege abgegeben werden (z.B. per Brief, Fax oder mündlich während der Dienststunden zur Niederschrift).

Nicht fristgerecht abgegebene Stellungnahmen können bei der Beschlussfassung über den Bebauungsplan unberücksichtigt bleiben (§ 3 Abs. 2 Satz 4 Halbsatz 2 Nr. 3 BauGB), sofern die Gemeinde deren Inhalt nicht kannte und nicht hätte kennen müssen und deren Inhalt für die Rechtmäßigkeit des Bebauungsplanes nicht von Bedeutung ist.

Mit der Abgabe von Stellungnahmen stimmen die Eingebenden der Verwendung ihrer persönlichen Daten im Bauleitplanverfahren zu. Die Stellungnahmen werden anonymisiert veröffentlicht.

Hambühren, den 18.06.2024
Gemeinde Hambühren
Der Bürgermeister
in Vertretung
gez. L.S.
Jürgensen