Titel Logo
Mitteilungsblatt der Gemeinde Hambühren
Ausgabe 8/2025
Amtliche Bekanntmachungen
Zurück zur vorigen Seite
Zurück zur ersten Seite der aktuellen Ausgabe

Amtliche Bekanntmachungen

Bekanntmachung Satzungsbeschluss gemäß § 10 Abs. 3 Baugesetzbuch

Der Rat der Gemeinde Hambühren hat in seiner Sitzung am 12.12.2024 den Bebauungsplan Nr. 50 "Mehrgenerationen-Projekt" als Satzung mit seiner Begründung und dem Umweltbericht beschlossen.

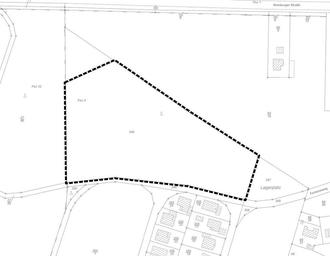
Die Lage und der Zuschnitt des Bebauungsplanes Nr. 50 sind der folgenden Planübersicht zu entnehmen:

Kartengrundlage: Liegenschaftskarte, Gemeinde Hambühren, Gemarkung Hambühren, Flur 4

Quelle: Auszug aus den Geobasisdaten der Nds. Vermessungs- und Katasterverwaltung, © 2023

Landesamt für Geoinformation und Landesvermessung Niedersachsen, Regionaldirektion Braunschweig-Wolfsburg, Katasteramt Celle

Die Aufstellung des Bebauungsplanes Nr. 50 “Mehrgenerationen-Projekt“ hat das Ziel, am nordwestlichen Siedlungsrand des OT Hambühren II ein Baugebiet auszuweisen, in dem mit einer Kindertagesstätte, Seniorenwohnen und einem Geschosswohnungsbau für „Jung und Alt“ ein Mehrgenerationen-Projekt umgesetzt werden soll.

Südlich an den Geltungsbereich grenzt anschließend an die Straße „Fontaneweg“ teilweise bereits Wohnbebauung an, teilweise wird diese zzt. durch den Bebauungsplan Nr. 45 „Wohngebiet westlich Neue Grenze“ vorbereitet. Mit dem Bebauungsplan Nr. 45 sind sowohl freistehende Einfamilienhäuser als auch im Übergang zu dem Bebauungsplan Nr. 50 Reihen- oder Mehrfamilienhäuser vorgesehen. Insgesamt kann auf diese Weise verschiedenen Wohn- und Betreuungsbedürfnissen nachgekommen werden. Die Bebauungspläne Nr. 45 und 50 setzen mit 2 Teilflächen ein Gesamtkonzept um.

Der Bebauungsplan kann einschließlich seiner Begründung gemäß § 10 Abs. 3 BauGB auf der Homepage der Gemeinde Hambühren unter https://www.hambuehren.de/wirtschaft-bauen/bauen-und-wohnen/bebauungsplaene/ eingesehen werden.

Zusätzlich kann der Bebauungsplan einschließlich seiner Begründung im Rathaus, Zimmer 30, Versonstraße 7, 29313 Hambühren, während der Servicezeiten der Verwaltung eingesehen werden.

Servicezeiten:

Montag

08.00 Uhr - 12.00 Uhr und 14.00 Uhr - 16.00 Uhr

Dienstag

08.00 Uhr - 12.00 Uhr

Mittwoch

07.30 Uhr - 12.00 Uhr

Donnerstag

14.00 Uhr - 18.00 Uhr

Freitag:

08.00 Uhr - 12.00 Uhr

Nach telefonischer Vereinbarung (Tel: 05084/601-230) können die Unterlagen auch außerhalb dieser Zeiten eingesehen werden.

Hinweis:

I. Nach § 215 Abs. 1 BauGB werden unbeachtlich

1. eine nach § 214 Abs. 1 Satz 1 Nr. 1 bis 3 BauGB beachtliche Verletzung der dort bezeichneten Verfahrens- und Formvorschriften,

2. eine unter Berücksichtigung des § 214 Abs. 2 BauGB beachtliche Verletzung der Vorschriften über das Verhältnis des Bebauungsplanes und des Flächennutzungsplanes, und

3. nach § 214 Abs. 3 Satz 2 BauGB beachtliche Mängel im Abwägungsvorgang, wenn sie nicht innerhalb eines Jahres seit dieser Bekanntmachung schriftlich gegenüber der Gemeinde Hambühren. unter Darlegung des die Verletzung begründenden Sachverhaltes geltend gemacht worden sind.

II. Entschädigungsberechtigte können gemäß § 44 Abs. 3 Satz 1 BauGB Entschädigung verlangen, wenn die in den §§ 39 und 42 BauGB bezeichneten Vermögensnachteile eingetreten sind. Der Entschädigungsberechtigte kann die Fälligkeit des Anspruchs gemäß § 44 Abs. 3 Satz 2 BauGB dadurch herbeiführen, dass er die Leistung der Entschädigung schriftlich bei der Gemeinde Hambühren. beantragt. Ein Entschädigungsanspruch erlischt gemäß § 44 Abs. 4 BauGB, wenn nicht innerhalb von drei Jahren nach Ablauf des Kalenderjahres, in dem die in § 44 Absatz 3 Satz 1 BauGB bezeichneten Vermögensnachteile eingetreten sind, die Fälligkeit des Anspruchs herbeigeführt wird.

Außerdem kann gemäß § 10 Niedersächsisches Kommunalverfassungsgesetz (NKomVG) eine Verletzung von Verfahrens- und Formvorschriften nach der Gemeindeordnung beim Zustandekommen der Satzung nicht mehr geltend gemacht werden, wenn sie nicht schriftlich innerhalb eines Jahres seit Bekanntmachung der Satzung gegenüber der Gemeinde Hambühren unter Bezeichnung der verletzten Vorschrift und der Tatsache, die den Mangel angibt, geltend gemacht worden ist.

Der Bebauungsplan tritt mit dieser Bekanntmachung in Kraft.

Hambühren, den 31.03.2025
Gemeinde Hambühren
Der Bürgermeister
gez.
Carsten Kranz

Die Veröffentlichung ist im Amtsblatt Nr. 26 vom 01.04.2025 erfolgt.

Mit dem Tage der Veröffentlichung im Amtsblatt Nr. 26 für den Landkreis Celle am 01.04.2025 unter: https://www.landkreis-celle.de/Ausschreibungen-Amtsblatt-Amtliche-Bekanntmachungen-und-Kreisrecht/Amtsblatt/ wurde der Bebauungsplan rechtsverbindlich.