Titel Logo
Wir in Radolfshausen
Ausgabe 7/2024
Rathaus aktuell
Zurück zur vorigen Seite
Zurück zur ersten Seite der aktuellen Ausgabe

Bekanntmachung Bauleitplanung der Samtgemeinde Radolfshausen

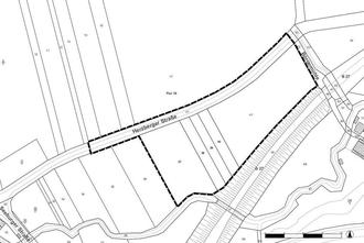
Änderungsbereich des Flächennutzungsplans

7. Änderung des Flächennutzungsplans „Neubau einer Feuerwehrtechnische Zentrale in Ebergötzen“

hier: Bekanntmachung der Beteiligung der Öffentlichkeit gemäß § 3 Abs. 2 Baugesetzbuch (BauGB)

Die Samtgemeinde Radolfshausen hat in ihrer Sitzung am 20.06.2024 beschlossen, den Entwurf (einschließlich Begründung) der 7. Änderung des Flächennutzungsplans „Neubau einer Feuerwehrtechnischen Zentrale“ in Ebergötzen zum Zwecke der Beteiligung der Öffentlichkeit (§ 3 Abs. 2 BauGB) für die Dauer eines Monates öffentlich auszulegen.

Anlass und Ziel der 7. Änderung des Flächennutzungsplans ist die Schaffung der planungsrechtlichen Voraussetzung zur Errichtung einer neuen Feuerwehrtechnischen Zentrale durch die Darstellung einer Gemeinbedarfsfläche „Feuerwehr“, da der Landkreis Göttingen auf der Fläche die Errichtung einer Feuerwehrtechnischen Zentrale (FTZ) plant. Die Fläche hat sich hierbei in vorlaufenden Untersuchungen aufgrund der zentralen Lage im neuen Landkreis Göttingen sowie des verkehrsgünstigen Anschlusses an zwei Bundesstraßen als gut geeignet für die Ansiedlung der neuen FTZ herauskristallisiert.

Der Änderungsbereich des Flächennutzungsplans liegt am nordöstlichen Ortsrand von Ebergötzen zwischen der B 27 und der Herzberger Straße. Der Änderungsbereich hat einen Umfang von rund 2,4 ha und erstreckt sich die Flurstücke 37, 38, 39, 40, 41 und 21 (Herzberger Straße, tlw.) der Flur 16, Gemarkung Ebergötzen. Der Änderungsbereich ist wie folgt abgegrenzt:

Der Entwurf der 7. Änderung des Flächennutzungsplans „Neubau einer Feuerwehrtechnischen Zentrale in Ebergötzen“ einschließlich Begründung und Umweltbericht sowie die wesentlichen, bereits vorliegenden umweltbezogenen Stellungnahmen liegen gemäß § 3 Abs. 2 BauGB in der Zeit

vom 04. Juli 2024 bis einschließlich 05. August 2024

im Rathaus der Samtgemeinde Radolfshausen, Vöhreweg 10, 37136 Ebergötzen, während der Öffnungszeiten:

Montag:

7.30 Uhr - 12.00 Uhr und 14.00 - 15.30 Uhr

Dienstag:

9.00 Uhr - 12.00 Uhr und 14.00 Uhr - 15.30 Uhr

Mittwoch:

9.00 Uhr - 12.00 Uhr

Donnerstag:

9.00 Uhr - 12.00 Uhr und 14.00 Uhr - 18.00 Uhr

Freitag:

7:30 Uhr - 12.00 Uhr

(Termine außerhalb dieser Zeiten sind nach Vereinbarung möglich)

zur Einsichtnahme öffentlich aus.

Während der Auslegungsfrist können Stellungnahmen schriftlich oder zur Niederschrift abgegeben werden. Nicht fristgerecht abgegebene Stellungnahmen können bei der Beschlussfassung über die Bauleitplanung unberücksichtigt bleiben. Vereinigungen im Sinne des § 4 Abs. 3 Satz 1 Nummer 2 des Umwelt-Rechtsbehelfsgesetzes sind in einem Rechtbehelfsverfahren nach § 7 Abs. 2 des Umwelt-Rechtsbehelfsgesetzes gemäß § 7 Abs. 3 Satz 1 des Umwelt-Rechtsbehelfsgesetzes mit allen Einwendungen ausgeschlossen, die sie im Rahmen der Auslegungsfrist nicht oder nicht rechtzeitig geltend gemacht haben, aber hätten geltend machen können.

Darüber hinaus werden gem. § 4a Abs. 4 BauGB die auszulegenden Unterlagen während des Auslegungszeitraumes auf der Homepage der Samtgemeinde Radolfshausen unter

www.radolfshausen.de/bauen-wirtschaft/bauverwaltung/bauleitplanung/flaechennutzungsplan/, veröffentlicht. Anregungen und Hinweise können auch per E-Mail an die Adresse rathaus@radolfshausen.de gerichtet werden.

Folgende Arten umweltbezogener Informationen liegen vor:

Schutzgüter und Umweltinformation (Art der Information)

Flora: Aussagen zu Struktur und Biotopausstattung sowie Biotopentwicklung (Umweltbericht, Fachgutachten „Flora-/Fauna-Bericht 2022“);

Fauna/Artenschutz: Aussagen zum Artenvorkommen, Information zu den von der Planung potentiell betroffenen Arten und zu möglichen Vermeidungs- und Ersatzmaßnahmen (Umweltbericht, Fachgutachten „Flora-/Fauna-Bericht 2022 inkl. Artenschutzrechtlicher Bewertung“);

Boden + Fläche: Aussage zur Ertragsfähigkeit und zur landwirtschaftlichen Bedeutung der Fläche, zur Funktion der Böden, zum Gebot des schonenden Umgangs mit Boden, zur Eingriffsminderung, zu alternativen Planungsflächen sowie zur Innenentwicklungsmöglichkeit, Information, dass kein Kampfmittelverdacht besteht (Begründung, Umweltbericht, Stellungnahmen);

Wasser: Aussagen zum angrenzenden Gewässerlauf der „Aue“ (Zustand) und zum gesetzlich geschützten Gewässerrandstreifen, Aussagen zu Auswirkungen der Planung auf den Wasserhaushalt (Begründung und Umweltbericht);

Klima + Luft: Aussage zu Kleinklima, Luft und Klimafunktion (Umweltbericht);

Mensch: Informationen zur schalltechnischen Belastung des Plangebiets durch die vorhandenen Straßen sowie hieraus resultierende Konflikte und Lösungsmöglichkeiten, Aussagen zu Lärmemissionen und -auswirkungen der Feuerwehrnutzung auf die angrenzende Siedlungslage Ebergötzens, Aussagen zum Planungsraum bzgl. der Erholungseignung (Schalltechnisches Fachgutachten, Begründung, Umweltbericht, Stellungnahme);

Orts- und Landschaftsbild: Aussagen zu Zustand und Auswirkungen auf das Orts- und Landschaftsbild (Umweltbericht);

Sach- und Kulturgüter: Hinweis zu Bodendenkmalen und archäologischen Funden (Umweltbericht);

Naturschutz/Eingriffs-Ausgleichsplanung: Informationen zum Eingriff sowie zu Vermeidungs- und Ausgleichsmaßnahmen (Umweltbericht).

Ebergötzen, 24.06.2024
gez. Arne Behre
Samtgemeindebürgermeister