Titel Logo
Wathlinger RegionsEcho
Ausgabe 7/2024
Amtliche Bekanntmachungen
Zurück zur vorigen Seite
Zurück zur ersten Seite der aktuellen Ausgabe

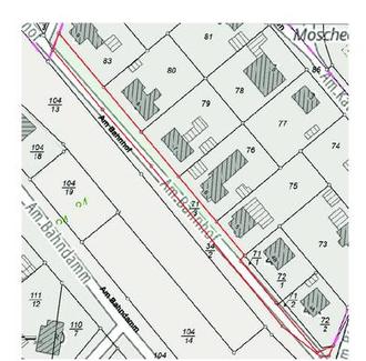
Widmung Am Bahnhof

Gemeinde Nienhagen —  Nienhagen, 20.06.2024

Der Bürgermeister

Amtliche Bekanntmachung

Durch Beschluss des Rates der Gemeinde Nienhagen vom 18.06.2024 wird gemäß § 6 des Niedersächsischen Straßengesetzes (NStrG) in der z. Zt. geltenden Fassung das nachfolgend aufgeführte Flurstück in Nienhagen mit sofortiger Wirkung dem öffentlichen Verkehr gewidmet:

Das Flurstück 71/3, Flur 11, Gemarkung Nienhagen (Seitenstreifen der Straße „Am Bahnhof“) wird dem öffentlichen Verkehr gewidmet.

Das Flurstück befindet sich im Eigentum der Gemeinde Nienhagen. Träger der Straßenbaulast ist die Gemeinde Nienhagen.

Rechtsbehelfsbelehrung:

Gegen diesen Widmungsbeschluss kann innerhalb eines Monats nach Bekanntgabe Klage erhoben werden. Die Klage ist schriftlich oder mündlich zur Niederschrift des Urkundsbeamten der Geschäftsstelle beim

Verwaltungsgericht Lüneburg, Postfach 29 41, 21319 Lüneburg (Besuchsadresse: Adolph-Kolping-Straße 16, 21337 Lüneburg) zu erheben.

Die Schriftform kann durch die elektronische Form ersetzt werden. In diesem Fall ist die Klage mit einer qualifizierten elektronischen Signatur nach dem Signaturgesetz zu versehen und an die E-Mail-Adresse gbk.vg-

lg@justiz.niedersachsen.de zu richten. Bitte beachten Sie hierbei die besonderen technischen Rahmenbedingungen, die auf den Internetseiten des Verwaltungsgerichts Lüneburg (www.verwaltungsgericht-lueneburg.niedersachsen.de) zum elektronischen Rechtsverkehr aufgeführt sind.

gez. Jörg Makel
Bürgermeister