Titel Logo
Palling
Ausgabe 10/2025
Amtliche Bekanntmachungen
Zurück zur vorigen Seite
Zurück zur ersten Seite der aktuellen Ausgabe

Amtliche Bekanntmachungen

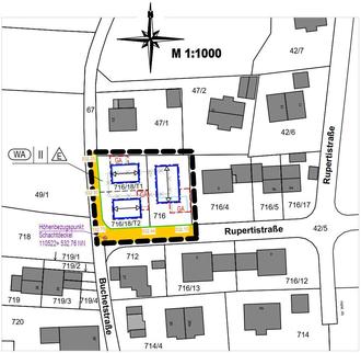
Geltungsbereich Änderung

Aufstellung 11. Änderung Bebauungsplan „Palling-Südwest“ im Verfahren nach § 13 a BauGB;

I. Aufstellungsbeschluss mit Änderungsbeschluss
II. Beauftragung Planung
III. Billigung Entwurf
IV. Beteiligung der Öffentlichkeit nach § 3 Abs. 2 BauGB
V. Beteiligung der Behörden und sonstige Träger öffentlicher Belange nach § 4 Abs. 2 BauGB

Der Gemeinderat Palling hat in seiner Sitzung vom 28.11.2024 und 05.06.2025 die Aufstellung zur 11. Änderung des Bebauungsplanes „Palling-Südwest“ für den Bereich der Fl.-Nrn. 716 und 716/18 Gemarkung Palling im Verfahren nach § 13 a BauGB beschlossen.

Der Auftrag zur Erstellung der Planunterlagen wurde an das Architektur-Büro Arch. Dipl.-Ing. (FH) Ute Weiler-Heyers in Trostberg erteilt.

Der Gemeinderat der Gemeinde Palling hat in seiner Sitzung vom 18.09.2025 den Entwurf zur 11. Änderung des Bebauungsplanes „Palling-Südwest“ in der Fassung v. 25.08.2025 gebilligt. Die Verwaltung wurde beauftragt, für das vorgenannte Bauleitplanverfahren die Veröffentlichung im Internet und Amts- und Mitteilungsblatt Palling aktuell gem. § 3 Abs. 2 BauGB durchzuführen. Weiter ist die Beteiligung der Behörden und sonstiger Träger öffentlicher Belange gem. § 4 Abs. 2 BauGB durchzuführen.

Der Geltungsbereich des Bebauungsplanes wird wie folgt begrenzt:

Mit der Änderung soll nach neu geschafften Grundstückszuschnitten eine neue angepasste Bebauung ermöglicht werden. Derzeit ist ein ehem. Landwirtschaftliches Wohnhaus mit ehem. Stall-/Scheunenanbau auf beiden Grundstücken errichtet. Auf der neugebildeten Fl.-Nr. 716/18 Gem. Palling, soll nochmals eine Grundstücksteilung erfolgen, sodass nach Teilabriss des Bestandes zwei Wohngebäude (Einfamilienhäuser mit Doppelgarage/Stellplatz) errichtet werden können. Auf der verbleibenden Fl.-Nr. 716 Gem. Palling, soll dann später ebenfalls die Errichtung eines Einfamilienhauses mit Doppelgarage/Stellplatz ermöglicht werden. Aufgrund des bestehenden Bebauungsplanes wäre eine vorgenannte Errichtung der drei Wohngebäude nicht möglich.

Der Änderungsbereich umfasst die Fl.-Nrn. 716 und 716/18 Gemarkung Palling.

Der Entwurf des Bebauungsplanes der 11. Änderung, bestehend aus Plan mit Textteil und Begründung werden gem. § 3 Abs. 2 BauGB in der Zeit

vom 06.10.2025 bis einschließlich 06.11.2025

im Amts- und Mitteilungsblatt Palling aktuell sowie im Internet veröffentlicht und sind auf der Homepage der Gemeinde https://palling.de/rathaus-service/aktuelles-aus-dem-rathaus/bauleitplanung unter der Rubrik Rathaus & Service > Aktuelles > Bauleitplanung einsehbar.

Umweltschützende Belange

Durch die Änderung des Bebauungsplanes wird eine Nachverdichtung im Innenbereich ermöglicht. Die Bebauungsänderung wird daher im beschleunigten Verfahren gemäß § 13 a BauGB aufgestellt. Im beschleunigten Verfahren wird von einer Umweltprüfung nach § 2 Abs. 4 BauGB und von einem Umweltbericht nach § 2a BauGB abgesehen.

Biotope oder wertvolle Landschaftsbestandteile werden durch die Änderung des Bebauungsplanes nicht berührt. Eingriffe im Sinne des § 1a Abs. 3 Satz 5 gelten als vor der planerischen Entscheidung erfolgt oder zulässig. Es besteht daher kein Ausgleichsbedarf.

Aufgrund der geplanten Nutzung und den getroffenen Festsetzungen ist davon auszugehen, dass keine wesentlichen Auswirkungen auf die Schutzgüter Mensch, Boden, Wasser, Tiere und Pflanzen, Luft und Klima, Landschaft, Kulturgüter und sonstige Sachgüter sowie Wechselwirkung zwischen den genannten Schutzgütern zu erwarten sind. Außerdem bestehen keine Anhaltspunkte für eine Beeinträchtigung von Fauna, Flora, Habitat oder Vogelschutzgebieten.

Es wird auf folgendes hingewiesen:

1.

Stellungnahmen können während der Dauer der Veröffentlichungsfrist abgegeben werden.

2.

Stellungnahmen sollen elektronisch übermittelt werden (helmut.heigermoser@palling.bayern.de), können bei Bedarf aber auch auf anderem Weg abgegeben werden.

3.

Nicht fristgerecht abgegebene Stellungnahmen können bei der Beschlussfassung über den Bebauungsplan unberücksichtigt bleiben.

4.

Neben der Veröffentlichung im Internet werden die im Internet veröffentlichen Unterlagen während der Veröffentlichungsfrist auch in Papierform im Rathaus der Gemeinde Palling, Bräuanger 1, 83349 Palling, Obergeschoss (Büro Bauamt) während der üblichen Zeiten des Publikumsverkehrs ausgelegt.

Der Inhalt der Bekanntmachung ist auch auf der Homepage der Gemeinde Palling https://palling.de/rathaus-service/aktuelles-aus-dem-rathaus/bauleitplanung unter der Rubrik Rathaus & Service > Aktuelles > Bauleitplanung eingestellt.

Datenschutz:

Die Verarbeitung personenbezogener Daten erfolgt auf der Grundlage der Art. 6 Abs. 1 Buchst. e DSGVO i.V.m. § 3 BauGB und dem BayDSG. Sofern Sie Ihre Stellungnahme ohne Absenderangaben abgeben, erhalten Sie keine Mitteilung über das Ergebnis der Prüfung. Weitere Informationen entnehmen Sie bitte dem Formblatt „Datenschutzrechtliche Informationspflichten im Bauleitplanverfahren“ das ebenfalls öffentlich ausliegt.

Palling, den 22.09.2025/He
Franz Ostermaier
Erster Bürgermeister