Titel Logo
Palling
Ausgabe 4/2026
Amtliche Bekanntmachungen
Zurück zur vorigen Seite
Zurück zur ersten Seite der aktuellen Ausgabe

Amtliche Bekanntmachungen

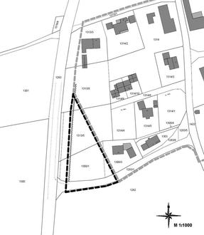
Geltungsbereich

Vollzug des Baugesetzbuches (BauGB)

Aufstellung Einbeziehungssatzung „Ranham" im Verfahren nach § 13 BauGB;

I.

Änderung Aufstellungsbeschluss

II.

Billigung Entwurf

III.

Beteiligung der Öffentlichkeit nach § 3 Abs. 2 BauGB

IV.

Beteiligung Behörden und sonstige Träger öffentlicher Belange nach § 4 Abs. 2 BauGB

Der Gemeinderat Palling hat in seiner Sitzung vom 09.07.2025 die Aufstellung zur 2. Änderung-Erweiterung der Entwicklungssatzung „Ranham" beschlossen. Mit Beschluss vom 26.02.2026 wurde die Änderung der Aufstellung zur Einbeziehungssatzung „Ranham" für den Bereich der Fl.-Nrn. 1283/1T, 1300/1T, 1300/3T, 1313/5T und 1313/9T Gemarkung Freutsmoos im Verfahren nach § 13 BauGB beschlossen. Mit der Änderung des ursprünglichen Aufstellungsbeschlusses vom 09.07.2025, wurde das Verfahren auf eine „Einbeziehungssatzung" geändert, sodass jetzt die geänderte Bezeichnung Einbeziehungssatzung „Ranham" lautet.

Mit der Aufstellung der Einbeziehungssatzung (EBS) soll die Auslagerung des Betriebes aus den Privaträumen des Eigentümers und somit einer maßvollen Entwicklung des bestehenden Betriebes ermöglicht werden. In diesem Rahmen soll auf dem Grundstück der Fl.-Nr. 1300/1T Gem. Freutsmoos eine Lagerhalle mit zwei Büroräumen, Montageplätzen und einer Einliegerwohnung im ersten Stock ermöglicht werden. Die Räume im Eigenheim des Betriebsinhabers reichen für die Aufträge und der maßvollen Erweiterung des Betriebes nicht mehr aus.

Für die Planerstellung wurde das Architekturbüro Dipl.-Ing. (FH) Ute Weiler-Heyers in Trostberg beauftragt.

Der Gemeinderat Palling hat in seiner Sitzung vom 26.02.2026 den vom Architekturbüro Weiler-Heyers, Trostberg, gefertigten Entwurf mit Begründung zur Einbeziehungssatzung „Ranham" in der Fassung vom 18.02.2026 gebilligt.

Die Verwaltung wurde beauftragt, für das vorgenannte Bauleitplanverfahren die Veröffentlichung im Internet und Amts- und Mitteilungsblatt Palling aktuell gem. § 3 Abs. 2 BauGB durchzuführen. Weiter ist die Beteiligung der Behörden und sonstiger Träger öffentlicher Belange gem. § 4 Abs. 2 BauGB durchzuführen.

Der Änderungsbereich umfasst die Fl.-Nrn. 1283/1T, 1300/1T, 1300/3T, 1313/5T und 1313/9T Gemarkung Freutmoos.

 

 

 

Der Entwurf der Einbeziehungssatzung „Ranham", bestehend aus Plan mit Textteil und Begründung, werden gem. § 3 Abs. 2 BauGB in der Zeit

vom 07.04.2026 bis einschließlich 07.05.2026

im Amts- und Mitteilungsblatt Palling aktuell sowie im Internet veröffentlicht und sind auf der Homepage der Gemeinde https://palling.de/rathaus-service/aktuelles-aus-dem-rathaus/bauleitplanung unter der Rubrik Rathaus & Service > Aktuellen > Bauleitplanung einsehbar.

Umweltschützende Belange:

Durch die Aufstellung der Einbeziehungssatzung wird eine maßvolle Erweiterung zur bestehenden Entwicklungssatzung Ranham ermöglicht. Die Aufstellung wird daher im einfachen Verfahren gemäß § 13 BauGB aufgestellt. Im einfachen Verfahren wird von einer Umweltprüfung nach § 2 Abs. 4 BauGB und von einem Umweltbericht nach § 2a BauGB abgesehen.

Die im Geltungsbereich dieser Satzung durch Bauvorhaben ausgelösten Eingriffe in Natur und Landschaft werden nicht auf der Ebene der Einbeziehungssatzung, sondern im Rahmen des nachfolgenden Baugenehmigungsverfahrens abgearbeitet und geregelt.

Aufgrund der geplanten Nutzung und der dann im Baugenehmigungsverfahren getroffenen Festsetzungen ist davon auszugehen, dass keine wesentlichen Auswirkungen auf die Schutzgüter Mensch, Boden, Wasser, Tiere und Pflanzen, Luft und Klima, Landschaft, Kulturgüter und sonstige Sachgüter sowie Wechselwirkungen zwischen den genannten Schutzgütern zu erwarten sind. Außerdem bestehen keine Anhaltspunkte für eine Beeinträchtigung von Fauna, Flora, Habitat oder Vogelschutzgebiete.

Es wird auf folgendes hingewiesen:

1.

Stellungnahmen können während der Dauer der Veröffentlichungsfrist abgegeben werden.

2.

Stellungnahmen sollen elektronisch übermittelt werden (helmut.heigermoser@palling.bayern.de), können bei Bedarf aber auch auf anderem Weg abgegeben werden.

3.

Nicht fristgerecht abgegebene Stellungnahmen können bei der Beschlussfassung über den Bebauungsplan unberücksichtigt bleiben.

4.

Neben der Veröffentlichung im Internet werden die im Internet veröffentlichen Unterlagen während der Veröffentlichungsfrist auch in Papierform im Rathaus der Gemeinde Palling, Bräuanger 1, 83349 Palling, Obergeschoss (Büro Bauamt) während der üblichen Zeiten des Publikumsverkehrs ausgelegt.

Der Inhalt der Bekanntmachung ist auch auf der Homepage der Gemeinde Palling https://palling.de/rathaus-service/aktuelles-aus-dem-rathaus/bauleitplanung unter der Rubrik Rathaus & Service > Aktuelles > Bauleitplanung eingestellt.

Datenschutz:

Die Verarbeitung personenbezogener Daten erfolgt auf der Grundlage der Art. 6 Abs. 1 Buchst. e DSGVO i.V.m. § 3 BauGB und dem BayDSG. Sofern Sie Ihre Stellungnahme ohne Absenderangaben abgeben, erhalten Sie keine Mitteilung über das Ergebnis der Prüfung. Weitere Informationen entnehmen Sie bitte dem Formblatt „Datenschutzrechtliche Informationspflichten im Bauleitplanverfahren" das ebenfalls öffentlich ausliegt.

Palling, den 13.03.2026/He

Franz Ostermaier
Erster Bürgermeister