Titel Logo
Gemeinde-Zeitung Waging a See
Ausgabe 3/2025
Amtsblatt der Verwaltungsgemeinschaft Waging a. See
Zurück zur vorigen Seite
Zurück zur ersten Seite der aktuellen Ausgabe
-

Amtsblatt 03/2025

Markt Waging a. See

Vollzug der Gemeindeordnung (GO);

Haushaltssatzung des Marktes Waging a. See für das Haushaltsjahr 2025  —  Nr. 14 /25

Vollzug der Eigenbetriebsverordnung (EBV);

Bekanntgabe des Jahresabschlusses 2022 der Gemeindewerke Waging a. See  —  Nr. 15 /25

Gemeinde Taching a. See

Vollzug des Baugesetzbuches (BauGB);

5. Änderung des Bebauungsplanes „Tengling-Südwest“ im Verfahren nach § 13 a BauGB  —  Nr. 16 /25

Gemeinde Wonneberg

Vollzug des Baugesetzbuches (BauGB);

Zweite Änderung des Bebauungsplanes „Plattenberg“ im Verfahren nach

§ 13 a BauGB  —  Nr. 17 /25


Nr. 14/25

Vollzug der Gemeindeordnung (GO);

Haushaltssatzung des Marktes Waging a. See für das Haushaltsjahr 2025

Haushaltssatzung des Marktes Waging a. See

(Landkreis Traunstein) für das Haushaltsjahr 2025

Aufgrund der Art. 63 ff. der Gemeindeordnung erlässt der Markt Waging folgende

Haushaltssatzung

§ 1

Der als Anlage beigefügte Haushaltsplan für das Haushaltsjahr 2025 wird hiermit festgesetzt; er schließt

im Verwaltungshaushalt

in den Einnahmen und Ausgaben mit  —  18.675.100 € und

im Vermögenshaushalt

in den Einnahmen und Ausgaben mit  —  6.802.300 € ab.

§ 2

(1)

Kreditaufnahmen für Investitionen und Investitionsförderungsmaßnahmen sind nicht vorgesehen.

(2)

Kreditaufnahmen für Investitionen und Investitionsförderungsmaßnahmen nach dem Vermögensplan der Gemeindewerke sind nicht vorgesehen.

(3)

Kreditaufnahmen für Investitionen und Investitionsförderungsmaßnahmen nach dem Vermögensplan des Seniorenheimes sind nicht vorgesehen.

§ 3

(1)

Der Gesamtbetrag der Verpflichtungsermächtigungen im Vermögenshaushalt wird auf 1.200.000 € festgesetzt.

(2)

Verpflichtungsermächtigungen im Vermögensplan der Gemeindewerke werden nicht festgesetzt.

(3)

Verpflichtungsermächtigungen im Vermögensplan des Seniorenheimes werden nicht festgesetzt.

§ 4

(1)

Der Höchstbetrag der Kassenkredite zur rechtzeitigen Leistung von Ausgaben nach dem Haushaltsplan wird auf 500.000 € festgesetzt.

(2)

Der Höchstbetrag der Kassenkredite zur rechtzeitigen Leistung von Ausgaben nach dem Wirtschaftsplan der Gemeindewerke wird auf 1.000.000€ festgesetzt.

(3)

Der Höchstbetrag der Kassenkredite zur rechtzeitigen Leistung von Ausgaben nach dem Wirtschaftsplan des Seniorenheimes wird auf 500.000€ festgesetzt.

§ 5

Diese Haushaltssatzung tritt mit dem 01.01.2025 in Kraft.

Nachrichtliche Angaben:

Die Steuersätze (Hebesätze) für nachstehende Gemeindesteuern wurden in der Satzung vom 18.10.2014 wie folgt festgesetzt

1.

Grundsteuer

a)

für die land- und forstwirtschaftlichen

Betriebe (A)

350 v. H.

b)

für die Grundstücke (B)

350 v. H.

2.

Gewerbesteuer

350 v. H.

I.)

Die Haushaltssatzung wurde gem. Art. 65 Abs. 2 GO dem Landratsamt Traunstein als Rechtsaufsichtsbehörde vorgelegt. Das Landratsamt Traunstein hat mit Bescheid vom 24.02.2025, Az.: K.20-940-240009, den Gesamtbetrag der Verpflichtungsermächtigungen (Art. 67 Abs. 4 GO) genehmigt.

II.)

Die Haushaltssatzung des Marktes Waging a. See für das Jahr 2025 liegt ab dem Tag der Veröffentlichung der Haushaltssatzung samt ihren Anlagen bis zur nächsten amtlichen Bekanntmachung einer Haushaltssatzung in der Kämmerei der Verwaltungsgemeinschaft Waging a. See, Salzburger Str. 1, 83329 Waging a. See, Zimmer 3.02, während der allgemeinen Geschäftsstunden zur Einsichtnahme auf.

Waging a. See, den 28.02.2025

Markt Waging a. See

gez. Matthias Baderhuber, 1. Bürgermeister


Nr. 15/25

Vollzug der Eigenbetriebsverordnung (EBV);

Bekanntgabe der Feststellung des Jahresabschlusses der Gemeindewerke Waging a. See

Der Marktgemeinderat Waging a. See hat in seiner Sitzung vom 20.02.2025 unter Tagesordnungspunkt 6 die Feststellung des Jahresabschlusses für das Wirtschaftsjahr 2022 gemäß Art. 102 Abs. 3 GO beschlossen. Der Verlust in Höhe von 12.629,13 € wird auf neue Rechnung vorgetragen.

Der Jahresabschluss 2022 und der Prüfvermerk liegen vom 24.03. bis 04.04.2025 in den Geschäftsräumen der Gemeindewerke Waging a. See, Am Höllenbach 18, 83329 Waging a. See öffentlich zur Einsichtnahme auf.

BESTÄTIGUNGSVERMERK DES UNABHÄNGIGEN ABSCHLUSSPRÜFERS

An den Eigenbetrieb Gemeindewerke Waging am See, Waging am See

VERMERK ÜBER DIE PRÜFUNG DES JAHRESABSCHLUSSES UND DES LAGEBERICHTS

Prüfungsurteile

Wir haben den Jahresabschluss des Eigenbetriebs Gemeindewerke Waging am See, Waging am See, – bestehend aus der Bilanz zum 31. Dezember 2022 und der Gewinn- und Verlustrechnung für das Geschäftsjahr vom 01. Januar bis zum 31. Dezember 2022 sowie dem Anhang, einschließlich der Darstellung der Bilanzierungs- und Bewertungsmethoden – geprüft. Darüber hinaus haben wir den Lagebericht des Eigenbetriebs Gemeindewerke Waging am See, Waging am See, für das Geschäftsjahr 01. Januar bis zum 31. Dezember 2022 geprüft.

Nach unserer Beurteilung aufgrund der bei der Prüfung gewonnenen Erkenntnisse

entspricht der beigefügte Jahresabschluss in allen wesentlichen Belangen den Vorschriften der Eigenbetriebsverordnung (EBV) i.V.m. den einschlägigen deutschen für Kapitalgesellschaften geltenden handelsrechtlichen Vorschriften und vermittelt unter Beachtung der deutschen Grundsätze ordnungsmäßiger Buchführung ein den tatsächlichen Verhältnissen entsprechendes Bild der Vermögens- und Finanzlage des Eigenbetriebs zum 31. Dezember 2022 sowie seiner Ertragslage für das Geschäftsjahr 01. Januar bis zum 31. Dezember 2022 und

vermittelt der beigefügte Lagebericht insgesamt ein zutreffendes Bild von der Lage des Eigenbetriebs. In allen wesentlichen Belangen steht dieser Lagebericht in Einklang mit dem Jahresabschluss, entspricht den Vorschriften der Eigenbetriebsverordnung (EBV) i.V.m. den einschlägigen deutschen für Kapitalgesellschaften geltenden handelsrechtlichen Vorschriften und stellt die Chancen und Risiken der zukünftigen Entwicklung zutreffend dar.

Gemäß § 322 Abs. 3 Satz 1 HGB erklären wir, dass unsere Prüfung zu keinen Einwendungen gegen die Ordnungsmäßigkeit des Jahresabschlusses und des Lageberichts geführt hat.

Grundlage für die Prüfungsurteile

Wir haben unsere Prüfung des Jahresabschlusses und des Lageberichts in Übereinstimmung mit § 317 HGB und Art. 107 der Gemeindeordnung für den Freistaat Bayern unter Beachtung der vom Institut der Wirtschaftsprüfer (IDW) festgestellten deutschen Grundsätze ordnungsmäßiger Abschlussprüfung durchgeführt. Unsere Verantwortung nach diesen Vorschriften und Grundsätzen ist im Abschnitt „Verantwortung des Abschlussprüfers für die Prüfung des Jahresabschlusses und des Lageberichts“ unseres Bestätigungsvermerks weitergehend beschrieben. Wir sind von dem Eigenbetrieb unabhängig in Übereinstimmung mit den deutschen handelsrechtlichen und berufsrechtlichen Vorschriften und haben unsere sonstigen deutschen Berufspflichten in Übereinstimmung mit diesen Anforderungen erfüllt. Wir sind der Auffassung, dass die von uns erlangten Prüfungsnachweise ausreichend und geeignet sind, um als Grundlage für unsere Prüfungsurteile zum Jahresabschluss und zum Lagebericht zu dienen.

Verantwortung der gesetzlichen Vertreter für den Jahresabschluss und den Lagebericht

Die gesetzlichen Vertreter sind verantwortlich für die Aufstellung des Jahresabschlusses, der den Vorschriften der Eigenbetriebsverordnung (EBV) i.V.m. den einschlägigen deutschen für Kapitalgesellschaften geltenden handelsrechtlichen Vorschriften in allen wesentlichen Belangen entspricht, und dafür, dass der Jahresabschluss unter Beachtung der deutschen Grundsätze ordnungsmäßiger Buchführung ein den tatsächlichen Verhältnissen entsprechendes Bild der Vermögens-, Finanz- und Ertragslage des Eigenbetriebs vermittelt. Ferner sind die gesetzlichen Vertreter verantwortlich für die internen Kontrollen, die sie in Übereinstimmung mit den deutschen Grundsätzen ordnungsmäßiger Buchführung als notwendig bestimmt haben, um die Aufstellung eines Jahresabschlusses zu ermöglichen, der frei von wesentlichen falschen Darstellungen aufgrund von dolosen Handlungen (d. h. Manipulationen der Rechnungslegung und Vermögensschädigungen) oder Irrtümern ist.

Bei der Aufstellung des Jahresabschlusses sind die gesetzlichen Vertreter dafür verantwortlich, die Fähigkeit des Eigenbetriebs zur Fortführung der Unternehmenstätigkeit zu beurteilen. Des Weiteren haben sie die Verantwortung, Sachverhalte in Zusammenhang mit der Fortführung der Unternehmenstätigkeit, sofern einschlägig, anzugeben. Darüber hinaus sind sie dafür verantwortlich, auf der Grundlage des Rechnungslegungsgrundsatzes der Fortführung der Unternehmenstätigkeit zu bilanzieren, sofern dem nicht tatsächliche oder rechtliche Gegebenheiten entgegenstehen.

Außerdem sind die gesetzlichen Vertreter verantwortlich für die Aufstellung des Lageberichts, der insgesamt ein zutreffendes Bild von der Lage des Eigenbetriebs vermittelt sowie in allen wesentlichen Belangen mit dem Jahresabschluss in Einklang steht, den Vorschriften der Eigenbetriebsverordnung (EBV) i.V.m. den einschlägigen deutschen für Kapitalgesellschaften geltenden handelsrechtlichen Vorschriften entspricht und die Chancen und Risiken der zukünftigen Entwicklung zutreffend darstellt. Ferner sind die gesetzlichen Vertreter verantwortlich für die Vorkehrungen und Maßnahmen (Systeme), die sie als notwendig erachtet haben, um die Aufstellung eines Lageberichts in Übereinstimmung mit den anzuwendenden Vorschriften der Eigenbetriebsverordnung (EBV) zu ermöglichen, und um ausreichende geeignete Nachweise für die Aussagen im Lagebericht erbringen zu können.

Verantwortung des Abschlussprüfers für die Prüfung des Jahresabschlusses und des Lageberichts

Unsere Zielsetzung ist, hinreichende Sicherheit darüber zu erlangen, ob der Jahresabschluss als Ganzes frei von wesentlichen falschen Darstellungen aufgrund von dolosen Handlungen oder Irrtümern ist, und ob der Lagebericht insgesamt ein zutreffendes Bild von der Lage des Eigenbetriebs vermittelt sowie in allen wesentlichen Belangen mit dem Jahresabschluss sowie mit den bei der Prüfung gewonnenen Erkenntnissen in Einklang steht, den Vorschriften der Eigenbetriebsverordnung (EBV) i.V.m. den einschlägigen deutschen für Kapitalgesellschaften geltenden handelsrechtlichen Vorschriften entspricht und die Chancen und Risiken der zukünftigen Entwicklung zutreffend darstellt, sowie einen Bestätigungsvermerk zu erteilen, der unsere Prüfungsurteile zum Jahresabschluss und zum Lagebericht beinhaltet.

Hinreichende Sicherheit ist ein hohes Maß an Sicherheit, aber keine Garantie dafür, dass eine in Übereinstimmung mit § 317 HGB und Art. 107 der Gemeindeordnung für den Freistaat Bayern unter Beachtung der vom Institut der Wirtschaftsprüfer (IDW) festgestellten deutschen Grundsätze ordnungsmäßiger Abschlussprüfung durchgeführte Prüfung eine wesentliche falsche Darstellung stets aufdeckt. Falsche Darstellungen können aus dolosen Handlungen oder Irrtümern resultieren und werden als wesentlich angesehen, wenn vernünftigerweise erwartet werden könnte, dass sie einzeln oder insgesamt die auf der Grundlage dieses Jahresabschlusses und Lageberichts getroffenen wirtschaftlichen Entscheidungen von Adressaten beeinflussen.

Während der Prüfung üben wir pflichtgemäßes Ermessen aus und bewahren eine kritische Grundhaltung. Darüber hinaus

identifizieren und beurteilen wir die Risiken wesentlicher falscher Darstellungen im Jahresabschluss und im Lagebericht aufgrund von dolosen Handlungen oder Irrtümern, planen und führen Prüfungshandlungen als Reaktion auf diese Risiken durch sowie erlangen Prüfungsnachweise, die ausreichend und geeignet sind, um als Grundlage für unsere Prüfungsurteile zu dienen. Das Risiko, dass eine aus dolosen Handlungen resultierende wesentliche falsche Darstellung nicht aufgedeckt wird, ist höher als das Risiko, dass eine aus Irrtümern resultierende wesentliche falsche Darstellung nicht aufgedeckt wird, da dolose Handlungen kollusives Zusammenwirken, Fälschungen, beabsichtigte Unvollständigkeiten, irreführende Darstellungen bzw. das Außerkraftsetzen interner Kontrollen beinhalten können.

erlangen wir ein Verständnis von den für die Prüfung des Jahresabschlusses relevanten internen Kontrollen und den für die Prüfung des Lageberichts relevanten Vorkehrungen und Maßnahmen, um Prüfungshandlungen zu planen, die unter den Umständen angemessen sind, jedoch nicht mit dem Ziel, ein Prüfungsurteil zur Wirksamkeit der internen Kontrollen des Eigenbetriebs bzw. dieser Vorkehrungen und Maßnahmen abzugeben.

beurteilen wir die Angemessenheit der von den gesetzlichen Vertretern angewandten Rechnungslegungsmethoden sowie die Vertretbarkeit der von den gesetzlichen Vertretern dargestellten geschätzten Werte und damit zusammenhängenden Angaben.

ziehen wir Schlussfolgerungen über die Angemessenheit des von den gesetzlichen Vertretern angewandten Rechnungslegungsgrundsatzes der Fortführung der Unternehmenstätigkeit sowie, auf der Grundlage der erlangten Prüfungsnachweise, ob eine wesentliche Unsicherheit im Zusammenhang mit Ereignissen oder Gegebenheiten besteht, die bedeutsame Zweifel an der Fähigkeit des Eigenbetriebs zur Fortführung der Unternehmenstätigkeit aufwerfen können. Falls wir zu dem Schluss kommen, dass eine wesentliche Unsicherheit besteht, sind wir verpflichtet, im Bestätigungsvermerk auf die dazugehörigen Angaben im Jahresabschluss und im Lagebericht aufmerksam zu machen oder, falls diese Angaben unangemessen sind, unser jeweiliges Prüfungsurteil zu modifizieren. Wir ziehen unsere Schlussfolgerungen auf der Grundlage der bis zum Datum unseres Bestätigungsvermerks erlangten Prüfungsnachweise. Zukünftige Ereignisse oder Gegebenheiten können jedoch dazu führen, dass der Eigenbetrieb seine Unternehmenstätigkeit nicht mehr fortführen kann.

beurteilen wir Darstellung, Aufbau und Inhalt des Jahresabschlusses insgesamt einschließlich der Angaben sowie ob der Jahresabschluss die zugrunde liegenden Geschäftsvorfälle und Ereignisse so darstellt, dass der Jahresabschluss unter Beachtung der deutschen Grundsätze ordnungsmäßiger Buchführung ein den tatsächlichen Verhältnissen entsprechendes Bild der Vermögens-, Finanz- und Ertragslage des Eigenbetriebs vermittelt.

beurteilen wir den Einklang des Lageberichts mit dem Jahresabschluss, seine Gesetzesentsprechung und das von ihm vermittelte Bild von der Lage des Eigenbetriebs.

führen wir Prüfungshandlungen zu den von den gesetzlichen Vertretern dargestellten zukunftsorientierten Angaben im Lagebericht durch. Auf Basis ausreichender geeigneter Prüfungsnachweise vollziehen wir dabei insbesondere die den zukunftsorientierten Angaben von den gesetzlichen Vertretern zugrunde gelegten bedeutsamen Annahmen nach und beurteilen die sachgerechte Ableitung der zukunftsorientierten Angaben aus diesen Annahmen. Ein eigenständiges Prüfungsurteil zu den zukunftsorientierten Angaben sowie zu den zugrunde liegenden Annahmen geben wir nicht ab. Es besteht ein erhebliches unvermeidbares Risiko, dass künftige Ereignisse wesentlich von den zukunftsorientierten Angaben abweichen.

Wir erörtern mit den für die Überwachung Verantwortlichen unter anderem den geplanten Umfang und die Zeitplanung der Prüfung sowie bedeutsame Prüfungsfeststellungen, einschließlich etwaiger bedeutsamer Mängel in internen Kontrollen, die wir während unserer Prüfung feststellen.

SONSTIGE GESETZLICHE UND ANDERE RECHTLICHE ANFORDERUNGEN

Vermerk über die Prüfung der Einhaltung der Rechnungslegungspflichten nach § 6b Abs. 3 EnWG und § 3 Abs. 4 Satz 2 MsbG

Prüfungsurteile

Wir haben geprüft, ob der Eigenbetrieb seine Pflichten nach § 6b Abs. 3 Sätze 1 bis 5 EnWG und § 3 Abs. 4 Satz 2 MsbG zur Führung getrennter Konten für das Geschäftsjahr vom 01. Januar 2022 bis zum 31. Dezember 2022 eingehalten hat. Darüber hinaus haben wir die Tätigkeitsabschlüsse für die Tätigkeiten „Elektrizitätsverteilung“ und „Messstellenbetrieb“ nach § 6b Abs. 3 Satz 1 EnWG sowie § 3 Abs. 4 Satz 2 MsbG – bestehend jeweils aus der Bilanz zum 31. Dezember 2022 und der Gewinn- und Verlustrechnung für das Geschäftsjahr vom 01. Januar 2022 bis zum 31. Dezember 2022 sowie die als Anlage beigefügten Angaben zu den Rechnungslegungsmethoden für die Aufstellung der Tätigkeitsabschlüsse – geprüft.

Nach unserer Beurteilung wurden die Pflichten nach § 6b Abs. 3 Sätze 1 bis 5 EnWG und § 3 Abs. 4 Satz 2 MsbG zur Führung getrennter Konten in allen wesentlichen Belangen eingehalten.

Nach unserer Beurteilung aufgrund der bei der Prüfung gewonnenen Erkenntnisse entsprechen die beigefügten Tätigkeitsabschlüsse in allen wesentlichen Belangen den deutschen Vorschriften des § 6b Abs. 3 Sätze 5 bis 7 EnWG und des § 3 Abs. 4 Satz 2 MsbG.

Grundlage für die Prüfungsurteile

Wir haben unsere Prüfung der Einhaltung der Pflichten zur Führung getrennter Konten und der Tätigkeitsabschlüsse in Übereinstimmung mit § 6b Abs. 5 EnWG unter Beachtung des IDW Prüfungsstandards: Prüfung nach § 6b Energiewirtschaftsgesetz (IDW PS 610 n.F. (07.2021)) durchgeführt. Unsere Verantwortung nach diesen Vorschriften und Grundsätzen ist im Abschnitt „Verantwortung des Abschlussprüfers für die Prüfung der Einhaltung der Rechnungslegungspflichten nach § 6b Abs. 3 EnWG und § 3 Abs. 4 Satz 2 MsbG“ weitergehend beschrieben. Wir sind von dem Eigenbetrieb unabhängig in Übereinstimmung mit den deutschen handelsrechtlichen und berufsrechtlichen Vorschriften und haben unsere sonstigen deutschen Berufspflichten in Übereinstimmung mit diesen Anforderungen erfüllt. Wir wenden als Wirtschaftsprüfungsgesellschaft die Anforderungen des IDW Qualitätsmanagementstandards: Anforderungen an das Qualitätsmanagement in der Wirtschaftsprüferpraxis (IDW QMS 1 (09.2022)) an. Wir sind der Auffassung, dass die von uns erlangten Prüfungsnachweise ausreichend und geeignet sind, um als Grundlage für unsere Prüfungsurteile zur Einhaltung der Rechnungslegungspflichten nach § 6b Abs. 3 EnWG und § 3 Abs. 4 Satz 2 MsbG zu dienen.

Verantwortung der gesetzlichen Vertreter für die Einhaltung der Rechnungslegungspflichten nach § 6b Abs. 3 EnWG und § 3 Abs. 4 Satz 2 MsbG

Die gesetzlichen Vertreter sind verantwortlich für die Einhaltung der Pflichten nach § 6b Abs. 3 Sätze 1 bis 5 EnWG und § 3 Abs. 4 Satz 2 MsbG zur Führung getrennter Konten. Die gesetzlichen Vertreter sind auch verantwortlich für die Aufstellung der Tätigkeitsabschlüsse nach den deutschen Vorschriften des § 6b Abs. 3 Sätze 5 bis 7 EnWG und des § 3 Abs. 4 Satz 2 MsbG.

Außerdem sind die gesetzlichen Vertreter verantwortlich für die internen Kontrollen, die sie als notwendig erachtet haben, um die Pflichten zur Führung getrennter Konten einzuhalten.

Die Verantwortung der gesetzlichen Vertreter für die Tätigkeitsabschlüsse entspricht der im Abschnitt „Verantwortung der gesetzlichen Vertreter für den Jahresabschluss und den Lagebericht“ hinsichtlich des Jahresabschlusses beschriebenen Verantwortung mit der Ausnahme, dass der jeweilige Tätigkeitsabschluss kein unter Beachtung der deutschen Grundsätze ordnungsmäßiger Buchführung den tatsächlichen Verhältnissen entsprechendes Bild der Vermögens-, Finanz- und Ertragslage der Tätigkeit zu vermitteln braucht.

Verantwortung des Abschlussprüfers für die Prüfung der Einhaltung der Rechnungslegungspflichten nach § 6b Abs. 3 EnWG und § 3 Abs. 4 Satz 2 MsbG

Unsere Zielsetzung ist, hinreichende Sicherheit darüber zu erlangen,

ob die gesetzlichen Vertreter ihre Pflichten nach § 6b Abs. 3 Sätze 1 bis 5 EnWG und § 3 Abs. 4 Satz 2 MsbG zur Führung getrennter Konten in allen wesentlichen Belangen eingehalten haben und

ob die Tätigkeitsabschlüsse in allen wesentlichen Belangen den deutschen Vorschriften des § 6b Abs. 3 Sätze 5 bis 7 EnWG und des § 3 Abs. 4 Satz 2 MsbG entsprechen.

Ferner umfasst unsere Zielsetzung, einen Vermerk in den Bestätigungsvermerk aufzunehmen, der unsere Prüfungsurteile zur Einhaltung der Rechnungslegungspflichten nach § 6b Abs. 3 EnWG und § 3 Abs. 4 Satz 2 MsbG beinhaltet.

Die Prüfung der Einhaltung der Pflichten nach § 6b Abs. 3 Sätze 1 bis 5 EnWG und § 3 Abs. 4 Satz 2 MsbG zur Führung getrennter Konten umfasst die Beurteilung, ob die Zuordnung der Konten zu den Tätigkeiten nach § 6b Abs. 3 Sätze 1 bis 4 EnWG sowie nach § 3 Abs. 4 Satz 2 MsbG sachgerecht und nachvollziehbar erfolgt ist und der Grundsatz der Stetigkeit beachtet wurde.

Unsere Verantwortung für die Prüfung der Tätigkeitsabschlüsse entspricht der im Abschnitt „Verantwortung des Abschlussprüfers für die Prüfung des Jahresabschlusses und des Lageberichts“ hinsichtlich des Jahresabschlusses beschriebenen Verantwortung mit der Ausnahme, dass wir für den jeweiligen Tätigkeitsabschluss keine Beurteilung der sachgerechten Gesamtdarstellung vornehmen können.

Erweiterung der Jahresabschlussprüfung gemäß Art. 107 der Gemeindeordnung für den Freistaat Bayern

Aussage zu den wirtschaftlichen Verhältnissen

Wir haben uns mit den wirtschaftlichen Verhältnissen des Eigenbetriebs i.S.v. § 53 Abs. 1 Nr. 2 HGrG im Geschäftsjahr vom 01. Januar bis zum 31. Dezember 2022 befasst. Auf Basis unserer durchgeführten Tätigkeiten sind wir zu der Auffassung gelangt, dass uns folgende Sachverhalte bekannt geworden sind, die zu Beanstandungen der wirtschaftlichen Verhältnisse des Eigenbetriebs Anlass geben:

Der Jahresabschluss zum 31. Dezember 2022 und der Lagebericht für das Geschäftsjahr 2022 wurden erst im Dezember 2024 aufgestellt. Eine zeitnahe und sachgerechte Überwachung der wirtschaftlichen Verhältnisse ist insofern nicht gewährleistet. Wirtschaftspläne und Kalkulationen der Folgejahre wurden ohne fundierte Vergangenheitszahlen aufgestellt; Plan-Ist-Vergleiche wurden nicht durchgeführt und Betriebsabrechnungen nicht zeitnah erstellt.

Verantwortung der gesetzlichen Vertreter

Die gesetzlichen Vertreter sind verantwortlich für die wirtschaftlichen Verhältnisse des Eigenbetriebs sowie für die Vorkehrungen und Maßnahmen (Systeme), die sie dafür als notwendig erachtet haben.

Verantwortung des Abschlussprüfers

Unsere Tätigkeit haben wir entsprechend dem IDW Prüfungsstandard: Berichterstattung über die Erweiterung der Abschlussprüfung nach § 53 HGrG (IDW PS 720), Fragenkreise 11 bis 16, durchgeführt. Unsere Verantwortung nach diesen Grundsätzen ist es, anhand der Beantwortung der Fragen der Fragenkreise 11 bis 16 zu würdigen, ob die wirtschaftlichen Verhältnisse zu wesentlichen Beanstandungen Anlass geben. Dabei ist es nicht Aufgabe des Abschlussprüfers, die sachliche Zweckmäßigkeit der Entscheidungen der gesetzlichen Vertreter und die Geschäftspolitik zu beurteilen.

Augsburg, den 15. Januar 2025

SWMP PartGmbB

Wirtschaftsprüfungsgesellschaft

Mertl – Hundseder – Guggemos – Schwarzmann – Schwab

Prof. Dr. Winfried Schwarzmann

Wirtschaftsprüfer

Waging a. See, den 24.02.2025

MARKT WAGING A. SEE

gez. Matthias Baderhuber, 1. Bürgermeister


Nr. 16/25

Vollzug des Baugesetzbuches (BauGB);

5. Änderung des Bebauungsplanes „Tengling-Südwest“ im Verfahren nach § 13 a BauGB

Bekanntmachung

des Satzungsbeschlusses

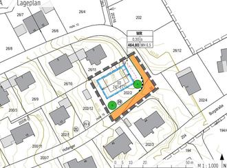
Der Gemeinderat Taching a. See hat am 13.02.2025 die 5. Änderung des Bebauungsplanes „Tengling-Südwest“, gemäß § 10 Abs. 1 BauGB als Satzung beschlossen.

Der Geltungsbereich ist im nachfolgenden Lageplan schwarz umrandet.

Im Einzelnen gilt der Lageplan des Bebauungsplans in der Fassung vom 13.12.2025.

Der Satzungsbeschluss wird hiermit gemäß § 10 Abs. 3 BauGB ortsüblich bekannt gemacht.

Der Bebauungsplan tritt mit der Bekanntmachung in Kraft und liegt mit Begründung ab Veröffentlichung dieser Bekanntmachung in den Amtsräumen der Verwaltungsgemeinschaft Waging a. See, Salzburger Straße 1 in 83329 Waging a. See, Zimmer 2.04, während der allgemeinen Dienststunden öffentlich aus und kann dort eingesehen werden. Über den Inhalt wird auf Verlangen Auskunft gegeben.

Auf die Vorschriften des § 44 Abs. 3 Satz 1 und 2 BauGB über die Fälligkeit etwaiger Entschädigungsansprüche im Falle der in den §§ 39 bis 42 BauGB bezeichneten Vermögensnachteile, deren Leistung schriftlich beim Entschädigungspflichtigen zu beantragen ist, und des § 44 Abs. 4 BauGB über das Erlöschen von Entschädigungsansprüchen, wenn der Antrag nicht innerhalb der Frist von drei Jahren gestellt ist, wird hingewiesen.

Es wird darauf hingewiesen, dass eine Verletzung der in § 214 Abs. 1 Satz 1 Nr. 1 bis 3 BauGB bezeichneten Verfahrens- und Formvorschriften, eine unter Berücksichtigung des § 214 Abs. 2 BauGB beachtliche Verletzung der Formvorschriften über das Verhältnis des Bebauungsplans und des Flächennutzungsplans, ein nach § 214 Abs. 2a BauGB beachtlicher Fehler oder ein nach § 214 Abs. 3 Satz 2 BauGB beachtlicher Mangel des Abwägungsvorgangs nur beachtlich werden, wenn sie innerhalb eines Jahres seit dieser Bekanntmachung schriftlich gegenüber der Gemeinde unter Darlegung des die Verletzung begründenden Sachverhalts geltend gemacht worden sind.

Hinweis auf Vorschriften:

Die in den Festsetzungen und der Begründung in Bezug genommenen Bestimmungen, Normen und Richtlinien liegen in der Verwaltungsgemeinschaft aus.

Waging a. See, den 13.03.2025

GEMEINDE TACHING A. SEE

gez. Stefanie Lang, 1. Bürgermeisterin


Nr. 17/25

Vollzug des Baugesetzbuches (BauGB);

Zweite Änderung des Bebauungsplanes „Plattenberg“ im Verfahren nach § 13 a BauGB

Bekanntmachung

des Satzungsbeschlusses

Der Gemeinderat Wonneberg hat am 10.12.2024 die 2. Änderung des Bebauungsplanes „Plattenberg“, gemäß § 10 Abs. 1 BauGB als Satzung beschlossen.

Der Geltungsbereich ist im nachfolgenden Lageplan schwarz umrandet.

Im Einzelnen gilt der Lageplan des Bebauungsplans in der Fassung vom 10.12.2024.

Der Satzungsbeschluss wird hiermit gemäß § 10 Abs. 3 BauGB ortsüblich bekannt gemacht.

Der Bebauungsplan tritt mit der Bekanntmachung in Kraft und liegt mit Begründung ab Veröffentlichung dieser Bekanntmachung in den Amtsräumen der Verwaltungsgemeinschaft Waging a. See, Salzburger Straße 1 in 83329 Waging a. See, Zimmer 2.04, während der allgemeinen Dienststunden öffentlich aus und kann dort eingesehen werden. Über den Inhalt wird auf Verlangen Auskunft gegeben.

Auf die Vorschriften des § 44 Abs. 3 Satz 1 und 2 BauGB über die Fälligkeit etwaiger Entschädigungsansprüche im Falle der in den §§ 39 bis 42 BauGB bezeichneten Vermögensnachteile, deren Leistung schriftlich beim Entschädigungspflichtigen zu beantragen ist, und des § 44 Abs. 4 BauGB über das Erlöschen von Entschädigungsansprüchen, wenn der Antrag nicht innerhalb der Frist von drei Jahren gestellt ist, wird hingewiesen.

Es wird darauf hingewiesen, dass eine Verletzung der in § 214 Abs. 1 Satz 1 Nr. 1 bis 3 BauGB bezeichneten Verfahrens- und Formvorschriften, eine unter Berücksichtigung des § 214 Abs. 2 BauGB beachtliche Verletzung der Formvorschriften über das Verhältnis des Bebauungsplans und des Flächennutzungsplans, ein nach § 214 Abs. 2a BauGB beachtlicher Fehler oder ein nach § 214 Abs. 3 Satz 2 BauGB beachtlicher Mangel des Abwägungsvorgangs nur beachtlich werden, wenn sie innerhalb eines Jahres seit dieser Bekanntmachung schriftlich gegenüber der Gemeinde unter Darlegung des die Verletzung begründenden Sachverhalts geltend gemacht worden sind.

Hinweis auf Vorschriften:

Die in den Festsetzungen und der Begründung in Bezug genommenen Bestimmungen, Normen und Richtlinien liegen in der Verwaltungsgemeinschaft aus.

Waging a. See, den 13.03.2025

Gemeinde Wonneberg

gez. Martin Fenninger, 1. Bürgermeister


VERWALTUNGSGEMEINSCHAFT WAGING A.SEE

gez. Matthias Baderhuber, 1. Vorsitzender