Titel Logo
Gemeinde-Zeitung Waging a See
Ausgabe 3/2026
Amtsblatt der Verwaltungsgemeinschaft Waging a. See
Zurück zur vorigen Seite
Zurück zur ersten Seite der aktuellen Ausgabe
-

Bekanntmachungen

Markt Waging a. See

Vollzug der Gemeindeordnung (GO);

Haushaltssatzung des Marktes Waging a. See

für das Haushaltsjahr 2026  —  Nr. 12/26

Vollzug des Baugesetzbuches (BauGB);

10. Änderung des Bebauungsplanes

„Kammeringer Berg“  —  Nr. 13/26

Vollzug des Baugesetzbuches (BauGB);

Aufstellung einer Außenbereichssatzung

gemäß § 35 Abs. 6 BauGB für den

Ortsteil Oberaschau  —  Nr. 14/26

Vollzug des Baugesetzbuches (BauGB);

21. Änderung des Flächennutzungsplanes

des Marktes Waging a. See

für den Bereich Otting  — Nr. 15/26

Gemeinde Wonneberg

Vollzug des Kommunalabgabengesetzes (KAG)

Erlass einer Satzung für die Erhebung

der Hundesteuer (HStS)  —  Nr. 16/26

Vollzug des Baugesetzbuches (BauGB);

Aufstellung eines Bebauungs- und Grünordnungsplanes

für den Bereich „Enzersdorf Nord“  —  Nr. 17/26


Nr. 12/26
Vollzug der Gemeindeordnung (GO);
Haushaltssatzung des Marktes Waging a. See für das Haushaltsjahr 2026

Haushaltssatzung des Marktes Waging a. See (Landkreis Traunstein) für das Haushaltsjahr 2026

Aufgrund der Art. 63 ff. der Gemeindeordnung erlässt der Markt Waging folgende

Haushaltssatzung

§ 1

Der als Anlage beigefügte Haushaltsplan für das Haushaltsjahr 2026 wird hiermit festgesetzt; er schließt

im Verwaltungshaushalt

in den Einnahmen und Ausgaben mit  —  19.035.400 € und

im Vermögenshaushalt

in den Einnahmen und Ausgaben mit  —  8.301.000 € ab.

§ 2

(1)

Kreditaufnahmen für Investitionen und Investitionsförderungsmaßnahmen sind nicht vorgesehen.

(2)

Der Gesamtbetrag der Kreditaufnahmen für Investitionen und Investitionsförderungsmaßnahmen nach dem Vermögensplan der Gemeindewerke wird auf 3.700.000 € festgesetzt.

(3)

Kreditaufnahmen für Investitionen und Investitionsförderungsmaßnahmen nach dem Vermögensplan des Seniorenheimes sind nicht vorgesehen.

§ 3

(1)

Der Gesamtbetrag der Verpflichtungsermächtigungen im Vermögenshaushalt wird auf 180.000 € festgesetzt.

(2)

Verpflichtungsermächtigungen im Vermögensplan der Gemeindewerke werden nicht festgesetzt.

(3)

Verpflichtungsermächtigungen im Vermögensplan des Seniorenheimes werden nicht festgesetzt.

§ 4

(1)

Der Höchstbetrag der Kassenkredite zur rechtzeitigen Leistung von Ausgaben nach dem Haushaltsplan wird auf 500.000 € festgesetzt.

(2)

Der Höchstbetrag der Kassenkredite zur rechtzeitigen Leistung von Ausgaben nach dem Wirtschaftsplan der Gemeindewerke wird auf 1.000.000€ festgesetzt.

(3)

Der Höchstbetrag der Kassenkredite zur rechtzeitigen Leistung von Ausgaben nach dem Wirtschaftsplan des Seniorenheimes wird auf 500.000€ festgesetzt.

§ 5

Diese Haushaltssatzung tritt mit dem 01.01.2026 in Kraft.

Nachrichtliche Angaben:

Die Steuersätze (Hebesätze) für nachstehende Gemeindesteuern wurden in der Satzung vom 18.10.2014 wie folgt festgesetzt

1. Grundsteuer

a) für die land- und forstwirtschaftlichen Betriebe (A)  —  350 v. H.

b) für die Grundstücke (B)  —  350 v. H.

2. Gewerbesteuer  —  350 v. H.

I.)

Die Haushaltssatzung wurde gem. Art. 65 Abs. 2 GO dem Landratsamt Traunstein als Rechtsaufsichtsbehörde vorgelegt. Das Landratsamt Traunstein hat mit Bescheid vom 02.03.2026, Gz. 5.20-940-250006, den Gesamtbetrag der vorgesehenen Kreditaufnahmen rechtsaufsichtlich gemäß Art. 71 Abs. 2 GO und den Gesamtbetrag der Verpflichtungsermächtigungen gemäß Art. 67 Abs. 4 GO genehmigt.

II.)

Die Haushaltssatzung des Marktes Waging a. See für das Jahr 2026 liegt ab dem Tag der Veröffentlichung der Haushaltssatzung samt ihren Anlagen bis zur nächsten amtlichen Bekanntmachung einer Haushaltssatzung in der Kämmerei der Verwaltungsgemeinschaft Waging a. See, Salzburger Str. 1, 83329 Waging a. See, Zimmer 3.02, während der allgemeinen Geschäftsstunden zur Einsichtnahme auf.

Waging a. See, den 03.03.2026

MARKT WAGING A. SEE

gez. Matthias Baderhuber, 1. Bürgermeister


Nr. 13/26
Vollzug des Baugesetzbuches (BauGB);
10. Änderung des Bebauungsplanes „Kammeringer Berg“

Öffentliche Bekanntmachung des Aufstellungsbeschlusses und der öffentlichen Auslegung

über die Änderung eines Bebauungsplanes der Innenentwicklung im beschleunigten Verfahren nach § 13a Abs. 3 Satz 1 BauGB

Der Bauausschuss des Marktes Waging a. See hat in seiner Sitzung am 11.03.2026 die Aufstellung der 10. Änderung des Bebauungsplanes „Kammeringer Berg“ beschlossen.

Dieser Beschluss wird hiermit nach § 2 Abs. 1 Satz 2 i.V. mit § 13a Abs. 2 mit Abs. 3 Satz 1 BauGB bekannt gemacht.

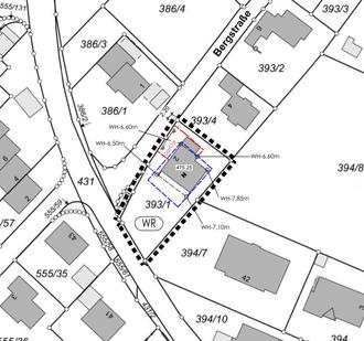
Der räumliche Geltungsbereich ergibt sich aus dem nachfolgenden Kartenausschnitt, der Bestandteil der Bekanntmachung ist:

Der Geltungsbereich befindet sich südöstlich der Bergstraße und nordwestlich der Seestraße.

Maßgebend ist der Entwurf des Bebauungsplanes in der Fassung vom 26.02.2026.

Ziele und Zwecke der Planung

Mit der gegenständlichen Planung soll auf dem bebauten Flurstück im Zuge der vertikalen Nachverdichtung die Möglichkeit für zusätzlichen Wohnraum im bestehenden Wohnhaus geschaffen werden. Zur Sicherung einer geordneten städtebaulichen Entwicklung ist geplant, den beschriebenen Bereich zu ändern, zumal mit der Bauplanung die Nachverdichtung im Sinne der gemeindlichen ortsplanerischen Konzeption umgesetzt werden kann. Die geplante Änderung dient der Schaffung von Wohnraum und damit einer geordneten städtebaulichen Entwicklung.

Der Bebauungsplan wird ohne Durchführung einer Umweltprüfung nach § 2 Abs. 4 BauGB aufgestellt. Der Öffentlichkeit sowie den berührten Behörden und sonstigen Trägern öffentlicher Belange wird Gelegenheit zur Stellungnahme gegeben.

Der Entwurf des Bebauungsplanes in der Fassung vom 26.02.2026 und die Begründung in der Fassung vom 26.02.2026 sind im Internet auf der Homepage der Verwaltungsgemeinschaft Waging a. See unter der Internetseite

https://www.vgwaging.de/bauen/wirtschaft/bauleitplanung/markt-waging-a-see

während der Dauer der nachfolgenden Frist

von 21.03.2026 bis einschließlich 21.04.2026

veröffentlicht.

Innerhalb dieser Veröffentlichungsfrist werden die oben genannten Unterlagen zusätzlich zur Veröffentlichung im Internet im Rathaus der Verwaltungsgemeinschaft Waging a. See, Salzburger Str. 1 in 83329 Waging a. See, II Stock – auf dem Flur, während der allgemeinen Dienststunden ausgelegt.

Auf Wunsch wird die Planung erläutert. Während der Auslegungsfrist kann jedermann Stellungnahmen (schriftlich oder zur Niederschrift) zu dem Entwurf abgeben (§ 13a Abs. 2 i.V. mit § 13 Abs. 2 Nr. 2 BauGB und § 3 Abs. 2 BauGB).

Nicht fristgerecht abgegebene Stellungnahmen können bei der Beschlussfassung über die Änderung des Bebauungsplans unberücksichtigt bleiben, wenn die Gemeinde den Inhalt nicht kannte und nicht hätte kennen müssen und deren Inhalt für die Rechtmäßigkeit der Änderung des Bebauungsplanes nicht von Bedeutung ist.

Der Inhalt dieser Bekanntmachung und die auszulegenden Unterlagen sind zusätzlich im Internet unter der Internetadresse unter https://www.vgwaging.de/ unter der Rubrik Bauen/ Wirtschaft, Bauleitplanung des Marktes Waging a. See eingestellt.

Die veröffentlichten Unterlagen und der Inhalt dieser Bekanntmachung sind auch über das zentrale Internetportal des Landes zugänglich.

Da das Ergebnis der Behandlung der Stellungnahmen mitgeteilt wird, ist die Angabe der Anschrift des Verfassers zweckmäßig.

Datenschutz:

Die Verarbeitung personenbezogener Daten erfolgt auf der Grundlage der Art. 6 Abs. 1 Buchstabe e (DSGVO) i. V. mit § 3 BauGB und dem BayDSG. Sofern Sie Ihre Stellungnahme ohne Absenderangaben abgeben, erhalten Sie keine Mitteilung über das Ergebnis der Prüfung. Weitere Informationen entnehmen Sie bitte dem Formblatt „Datenschutzrechtliche Informationspflichten im Bauleitplanverfahren“ das ebenfalls öffentlich ausliegt.

Waging a. See, den 11.03.2026

MARKT WAGING A. SEE

gez. Matthias Baderhuber, 1. Bürgermeister


Nr. 14/26
Vollzug des Baugesetzbuches (BauGB);
Aufstellung einer Außenbereichssatzung gemäß § 35 Abs. 6 BauGB für den Ortsteil Oberaschau

Öffentliche Bekanntmachung

der öffentlichen Auslegung über die Aufstellung einer Außenbereichssatzung gemäß § 35 Abs. 6 BauGB für den Ortsteil Oberleiten

Der Bauausschuss des Marktes Waging a. See hat in seiner Sitzung am 11.03.2026 die Aufstellung der Außenbereichssatzung für den Ortsteil Oberaschau beschlossen.

Es wurde zudem beschlossen, die öffentliche Auslegung nach § 13 Abs. 2 Satz 1 Nr. 2 und 3 BauGB durchzuführen.

Der räumliche Geltungsbereich ergibt sich aus dem nachfolgenden Kartenausschnitt, der Bestandteil der Bekanntmachung ist:

Der Geltungsbereich befindet an der Gemeindeverbindungsstraße von Unteraschau nach Hochreit. Südöstlich befindet sich die Ortschaft Lug.

Maßgebend ist der Entwurf der Außenbereichssatzung mit Begründung jeweils in der Fassung vom 19.02.2026.

Ziele und Zwecke der Planung

Durch den Erlass der Satzung nach § 35 Abs. 6 BauGB soll eine maßvolle Nachverdichtung durch Umbauten, Umnutzungen und Anbauten ermöglicht werden. Durch die Konzentration auf den Bestand wird eine Zersiedelung der angrenzenden großflächigen Außenbereichsflächen wirksam verhindert.

Der Öffentlichkeit sowie den berührten Behörden und sonstigen Trägern öffentlicher Belange wird Gelegenheit zur Stellungnahme gegeben.

Der Entwurf der Außenbereichssatzung Oberaschau mit Begründung in der Fassung vom 19.02.2026 sind im Internet auf der Homepage des Marktes Waging a. See unter der Internetseite

https://www.vgwaging.de/bauen/wirtschaft/bauleitplanung/markt-waging-a-see

während der Dauer der nachfolgenden Frist

von 23.03.2026 bis einschließlich 22.04.2026

veröffentlicht.

Innerhalb dieser Veröffentlichungsfrist werden die oben genannten Unterlagen zusätzlich zur Veröffentlichung im Internet im Rathaus der Verwaltungsgemeinschaft Waging a. See, Salzburger Str. 1 in 83329 Waging a. See, II Stock – auf dem Flur, während der allgemeinen Dienststunden ausgelegt.

Auf Wunsch wird die Planung erläutert. Während der Auslegungsfrist kann jedermann Stellungnahmen (schriftlich oder zur Niederschrift) zu dem Entwurf abgeben (§ 35 Abs. 6 Satz 5 i.V. mit § 13 Abs. 2 Satz 1 Nr. 2 BauGB).

Es wird darauf hingewiesen, dass nicht fristgerecht abgegebene Stellungnahmen bei der Beschlussfassung über die Außenbereichssatzung unberücksichtigt bleiben können.

Der Inhalt dieser Bekanntmachung und die auszulegenden Unterlagen sind zusätzlich im Internet unter der Internetadresse unter https://www.vgwaging.de/ unter der Rubrik Bauen/ Wirtschaft, Bauleitplanung der Markt Waging a. See eingestellt.

Die veröffentlichten Unterlagen und der Inhalt dieser Bekanntmachung sind auch über das zentrale Internetportal des Landes zugänglich.

Da das Ergebnis der Behandlung der Stellungnahmen mitgeteilt wird, ist die Angabe der Anschrift des Verfassers zweckmäßig.

Datenschutz:

Die Verarbeitung personenbezogener Daten erfolgt auf der Grundlage der Art. 6 Abs. 1 Buchstabe e (DSGVO) i. V. mit § 3 BauGB und dem BayDSG. Sofern Sie Ihre Stellungnahme ohne Absenderangaben abgeben, erhalten Sie keine Mitteilung über das Ergebnis der Prüfung. Weitere Informationen entnehmen Sie bitte dem Formblatt „Datenschutzrechtliche Informationspflichten im Bauleitplanverfahren“ das ebenfalls öffentlich ausliegt.

Waging a. See, den 11.03.2026

MARKT WAGING A. SEE

gez. Matthias Baderhuber, 1. Bürgermeister


Nr. 15/26
Vollzug des Baugesetzbuches (BauGB);
21. Änderung des Flächennutzungsplanes des Marktes Waging a. See für den Bereich Otting

Bekanntmachung

der Genehmigung des Flächennutzungsplanes

Der Gemeinderat Waging a. See hat am 13.11.2025 in öffentlicher Sitzung die 21. Änderung des Flächennutzungsplanes i. d. Fassung vom 25.07.2025 samt Begründung vom 25.07.2025 gefertigt vom Büro für Bauleitplanung aus Freilassing sowie den Umweltbericht in der Fassung vom 25.07.2025 gefertigt vom Landschaftsarchitekten Mühlbacher und Hilse PartGmbB festgestellt.

Für den räumlichen Geltungsbereich der Flächennutzungsplanänderung ist der Lageplan in der Fassung vom 25.07.2025 maßgebend.

Der Änderungsbereich erstreckt sich auf drei Bereiche:

Nr. 21.1 Gemeinbedarfsfläche für Feuerwehr

Im Änderungsbereich Nr. 21.1 soll eine Fläche von ca. 3.100 m² als Fläche für den Gemeinbedarf mit Zweckbestimmung Feuerwehr dargestellt werden. Diese befindet sich an der ST 2104 an der (Holzhauser Straße) am nördlichen Ortsausgang von Otting. Der Bereich grenzt direkt an die bestehenden Bolzplätze an.

Nr. 21.2 WA-Ausweisung

Im Änderungsbereich 21.2 soll eine WA-Fläche von ca. 3.000 m² dargestellt werden. Diese befindet sich südlich der Schulstraße und südwestlich der Anwesen Schulstraße 7 und Balthasar-Permoser-Straße 1.

Nr. 21.3 Reduzierung der WA-Fläche

Im Änderungsbereich 21.3 soll dem Grundsatz der flächensparenden Siedlungsentwicklung folgend, die dargestellte Entwicklungsfläche um das Maß der im Bereich 21.2 neu dargestellten Flächen reduziert werden. Die in Otting dargestellten Bauflächen werden damit insgesamt nicht vergrößert. Die Reduzierung der WA-Flächen befindet sich zwischen der Raiffeisenstraße und der Zufahrt zum Sportplatz (Holzhauser Straße 20).

Ziel der 21. Änderung des Flächennutzungsplanes ist die Erlangung der bauplanungsrechtlichen Zulässigkeit für die Ausweisung von Baugrundstücken sowie die Errichtung eines Feuerwehrhauses. Der Geltungsbereich der 21. Änderung des Flächennutzungsplanes befindet sich an drei verschiedenen Stellen, welche bereits oben beschrieben wurden.

Mit Bescheid vom 02.02.2026, Gz. 4.40-FNP-3-2025, hat das Landratsamt Traunstein die 21. Änderung des Flächennutzungsplanes des Marktes Waging a. See für den Bereich „Otting“ genehmigt (§ 6 Abs. 1 BauGB). Die Erteilung der Genehmigung wird hiermit gemäß § 6 Abs. 5 des Baugesetzbuches (BauGB) ortsüblich bekannt gemacht.

Die Änderung des Flächennutzungsplans wird mit dieser Bekanntmachung wirksam.

Die Flächennutzungsplanänderung kann einschließlich der Begründung mit Umweltbericht in den Amtsräumen der Verwaltungsgemeinschaft Waging a. See, Salzburger Str. 1 in 83329 Waging a. See, Zimmer 2.04 während der üblichen Dienststunden eingesehen werden. Jedermann kann die Flächennutzungsplanänderung, die Begründung nach § 6a Abs. 1 BauGB einsehen und über deren Inhalt Auskunft verlangen (vgl. § 6 Abs. 5 BauGB).

Es wird darauf hingewiesen, dass eine Verletzung der in § 214 Abs. 1 Satz 1 Nr. 1 bis 3 BauGB bezeichneten Verfahrens- und Formvorschriften, eine unter Berücksichtigung des § 214 Abs. 2 BauGB beachtliche Verletzung der Vorschriften über das Verhältnis des Bebauungsplans und des Flächennutzungsplans oder aber ein nach § 214 Abs. 3 Satz 2 BauGB beachtlicher Mangel des Abwägungsvorgangs nur beachtlich werden, wenn sie innerhalb eines Jahres seit dieser Bekanntmachung schriftlich gegenüber der Gemeinde unter Darlegung des die Verletzung begründenden Sachverhalts geltend gemacht worden sind.

Waging a. See, den 09.03.2026

MARKT WAGING A. SEE

gez. Matthias Baderhuber, 1. Bürgermeister


Nr. 16/26
Vollzug des Kommunalabgabengesetzes (KAG)

Erlass einer Satzung für die Erhebung der Hundesteuer (Hundesteuersatzung - HStS)

Aufgrund des Art. 3 Abs. 1 des Kommunalabgabengesetzes (KAG) erlässt die Gemeinde Wonneberg folgende Satzung:

§ 1

Steuertatbestand

1Das Halten eines über vier Monate alten Hundes im Gemeindegebiet unterliegt einer gemeindlichen Jahresaufwandsteuer nach Maßgabe dieser Satzung. 2Maßgebend ist das Kalenderjahr.

§ 2

Steuerfreiheit

Steuerfrei ist das Halten von,

1. Hunden allein zu Erwerbszwecken, insbesondere das Halten von

a. Hunden in Tierhandlungen,

b. Hunden, die zur Bewachung von zu Erwerbszwecken gehaltenen Herden notwendig sind und zu diesem Zwecke gehalten werden,

2. Hunden des Deutschen Roten Kreuzes, des Arbeiter-Samariter-Bundes, des Malteser Hilfsdienstes, der Johanniter-Unfall-Hilfe oder des Technischen Hilfswerkes, die ausschließlich der Durchführung der diesen Organisationen obliegenden Aufgaben dienen,

3. Hunden ausschließlich zur Erfüllung öffentlicher Aufgaben,

4. Hunden, die von Mitgliedern der Truppen oder eines zivilen Gefolges verbündeter Stationierungsstreitkräfte sowie deren Angehörigen gehalten werden,

5. Hunden, die von Angehörigen ausländischer diplomatischer oder berufskonsularischer Vertretungen in der Bundesrepublik Deutschland gehalten werden,

6. Hunden, die aus Gründen des Tierschutzes vorübergehend in Tierasylen oder ähnlichen Einrichtungen untergebracht sind,

7. Hunden, die die für Rettungshunde vorgesehenen Prüfungen bestanden haben und als Rettungshunde für den Zivilschutz, den Katastrophenschutz oder den Rettungsdienst zur Verfügung stehen,

8. Hunden, die eine Prüfung zur Feststellung der Eignung und Zuverlässigkeit im Anzeigen verendeten Schwarzwilds bestanden haben, als sogenannter ASP-Kadaver-Suchhund in einem Hundegespann Mitglied in der Bayerischen ASP-Kadaver-Suchhunde-Bereitschaftsstaffel des Landesamts für Gesundheit und Lebensmittelsicherheit sind und für die Vorbeugung vor beziehungsweise Bekämpfung der Afrikanischen Schweinepest zur Verfügung stehen,

9. Hunden, die für Blinde, Taube, Schwerhörige oder völlig Hilflose unentbehrlich sind.

§ 3

Steuerschuldner, Haftung

(1) 1Steuerschuldner ist der Halter des Hundes. 2Hundehalter ist, wer einen Hund im eigenen Interesse oder im Interesse seiner Haushalts- oder Betriebsangehörigen aufgenommen hat. 3Als Hundehalter gilt auch, wer einen Hund in Pflege oder Verwahrung genommen hat oder auf Probe oder zum Anlernen hält. 4Alle in einen Haushalt oder einen Betrieb aufgenommenen Hunde gelten als von ihren Haltern gemeinsam gehalten.

(2) Halten mehrere Personen gemeinsam einen oder mehrere Hunde, sind sie Gesamtschuldner.

(3) Neben dem Hundehalter haftet der Eigentümer des Hundes für die Steuer.

§ 4

Wegfall der Steuerpflicht, Anrechnung

(1) Die Steuerpflicht entfällt, wenn ihre Voraussetzungen in weniger als drei aufeinander folgenden Monaten im Kalenderjahr erfüllt werden.

(2) 1Tritt an die Stelle eines verstorbenen oder veräußerten Hundes, für den die Steuerpflicht im Kalenderjahr bereits entstanden und nicht nach Abs. 1 entfallen ist, bei demselben Halter ein anderer Hund, entfällt für dieses Kalenderjahr die weitere Steuerpflicht für den anderen Hund. 2Tritt in den Fällen des Satzes 1 an die Stelle eines verstorbenen oder veräußerten Hundes ein Kampfhund, entsteht für dieses Kalenderjahr hinsichtlich dieses Kampfhundes eine weitere Steuerpflicht mit einem Steuersatz in Höhe der Differenz aus dem erhöhten Steuersatz für Kampfhunde und dem Steuersatz, der für den verstorbenen oder veräußerten Hund gegolten hat.

(3) 1Ist die Steuerpflicht eines Hundehalters für das Halten eines Hundes für das Kalenderjahr oder für einen Teil des Kalenderjahres bereits in einer anderen Gemeinde der Bundesrepublik Deutschland entstanden und nicht später wieder entfallen, ist die erhobene Steuer auf die Steuer anzurechnen, die dieser Hundehalter für das Kalenderjahr nach dieser Satzung zu zahlen hat. 2Mehrbeträge werden nicht erstattet.

§ 5

Steuermaßstab und Steuersatz

(1) 1Die Steuer beträgt

für den ersten Hund

40 Euro,

für den zweiten Hund

80 Euro,

für jeden weiteren Hund

120 Euro,

für jeden Kampfhund

600 Euro.

2Hunde für die eine Steuerbefreiung nach § 2 gewährt wird, sind bei der Berechnung der Anzahl der Hunde nicht anzusetzen. 3Hunde, für die die Steuer nach § 6 ermäßigt wird, gelten als erste Hunde.

(2) 1Kampfhunde sind Hunde, bei denen auf Grund rassenspezifischer Merkmale, Zucht und Ausbildung von einer gesteigerten Aggressivität und Gefährlichkeit gegenüber Menschen oder Tieren auszugehen ist. 2Kampfhunde im Sinne dieser Vorschrift sind alle in § 1 der Verordnung über Hunde mit gesteigerter Aggressivität und Gefährlichkeit genannten Rassen und Gruppen von Hunden sowie deren Kreuzungen untereinander oder mit anderen Hunden, ohne Rücksicht auf den Unbedenklichkeitsnachweis nach § 1 Abs. 2 dieser Kampfhundeverordnung.

§ 6

Steuerermäßigung

1Die Steuer ist um die Hälfte ermäßigt für

1. Hunde, die in Einöden gehalten werden. Als Einöde gilt ein Anwesen, dessen Wohngebäude mehr als 500 m Luftlinie von jedem anderen Wohngebäude entfernt sind.

2. Hunde, die von Forstbediensteten, Berufsjägern oder Inhabern eines Jagdscheines ausschließlich oder überwiegend zur Ausübung der Jagd oder des Jagd- oder Forstschutzes gehalten werden, sofern nicht die Hundehaltung steuerfrei ist. Die Steuerermäßigung tritt nur ein, wenn die Hunde die Brauchbarkeitsprüfung oder eine ihr gleichgestellte Prüfung nach § 21 der Verordnung zur Ausführung des Bayerischen Jagdgesetzes mit Erfolg abgelegt haben.

2Die Steuerermäßigung nach Satz 1 kann nur für jeweils einen Hund des Steuerpflichtigen beansprucht werden. 3Sind sowohl die Voraussetzungen des Satzes 1 Nr. 1 als auch des Satzes 1 Nr. 2 erfüllt, wird die Steuer nur einmal ermäßigt.

§ 7

Allgemeine Bestimmungen für Steuerbefreiung und Steuerermäßigung

(1) 1Steuerermäßigungen werden auf Antrag gewährt. 2Der Antrag ist bis zum Ende des Kalenderjahres zu stellen, für das die Steuerermäßigung begehrt wird. 3In dem Antrag sind die Voraussetzungen für die Steuerermäßigung darzulegen und auf Verlangen der Gemeinde glaubhaft zu machen. 4Maßgebend für die Steuerermäßigung sind die Verhältnisse zu Beginn des Kalenderjahres. 5Beginnt die Hundehaltung erst im Laufe des Kalenderjahres, ist dieser Zeitpunkt entscheidend.

(2) Für Kampfhunde wird keine Steuerbefreiung nach § 2 Nr. 7, 8 und 9 und keine Steuerermäßigung gewährt.

§ 8

Entstehen der Steuerpflicht

Die Steuerpflicht entsteht mit Beginn des jeweiligen Kalenderjahres oder - wenn der Steuertatbestand erst im Verlauf eines Kalenderjahres verwirklicht wird - mit Beginn des Tages, an dem der Steuertatbestand verwirklicht wird.

§ 9

Fälligkeit der Steuer

Die Steuerschuld ist mit der auf das Kalenderjahr entfallenden Steuer fällig am 1. Mai eines jeden Kalenderjahres, frühestens jedoch einen Monat nach Bekanntgabe des Steuerbescheids.

§ 10

Anzeigepflichten

(1) Wer einen über vier Monate alten Hund hält, muss ihn innerhalb eines Monats nach Anschaffung unter Angabe von Herkunft, Alter und Rasse sowie unter Angabe, ob die Hundehaltung zu einem Zweck im Sinne des § 2 erfolgt, und gegebenenfalls unter Vorlage geeigneter Nachweise der Gemeinde melden.

(2) Wer einen unter vier Monate alten Hund hält, muss ihn innerhalb eines Monats nach Vollendung des vierten Lebensmonats des Hundes unter Angabe von Herkunft, Alter und Rasse sowie unter Angabe, ob die Hundehaltung zu einem Zweck im Sinne des § 2 erfolgt, und gegebenenfalls unter Vorlage geeigneter Nachweise der Gemeinde melden.

(3) 1Zur Kennzeichnung eines jeden angemeldeten Hundes gibt die Gemeinde eine Hundesteuermarke aus, die der Hund außerhalb der Wohnung des Hundehalters oder seines umfriedeten Grundbesitzes stets tragen muss.

2Der Hundehalter ist verpflichtet, einem Beauftragten der Gemeinde die Steuermarke auf Verlangen vorzuzeigen; werden andere Personen als der Hundehalter mit dem Hund angetroffen, sind auch diese Personen hierzu verpflichtet.

(4) 1Der steuerpflichtige Hundehalter (§ 3) soll den Hund innerhalb eines Monats bei der Gemeinde abmelden, wenn er ihn veräußert oder sonst abgeschafft hat, wenn der Hund abhandengekommen oder tot ist oder wenn der Halter aus der Gemeinde weggezogen ist. 2Mit der Abmeldung des Hundes ist die noch vorhandene Hundesteuermarke an die Gemeinde zurückzugeben.

(5) Fallen die Voraussetzungen für eine Steuerbefreiung oder Steuerermäßigung weg, ist das der Gemeinde innerhalb eines Monats nach Wegfall anzuzeigen.

§ 11

Inkrafttreten

(1) Diese Hundesteuersatzung tritt am 01.01.2027 in Kraft.

(2) Mit Ablauf des 31. Dezember 2026 tritt die Hundesteuersatzung vom 12.11.2015 außer Kraft.

Waging a.See, den 10.02.2026

GEMEINDE Wonneberg

Gez Martin Fenninger, 1. Bürgermeister


Nr. 17/26
Vollzug des Baugesetzbuches (BauGB);
Aufstellung eines Bebauungs- und Grünordnungsplanes für den Bereich „Enzersdorf Nord“

Bekanntmachung

Inkrafttreten des Bebauungsplans

Der Gemeinderat Wonneberg hat am 20.01.2026 in öffentlicher Sitzung den Bebauungsplan „Enzersdorf Nord“ nach § 10 BauGB als Satzung beschlossen.

Der Planbereich wird begrenzt

im Norden:

Landwirtschaftliche Flächen und

GVStr. St. Leonhard-Steppach

im Osten:

Landwirtschaftliche Flächen;

Anwesen Enzersdorf 3

im Süden:

Ortsstraße in Enzersdorf;

Anwesen Enzersdorf 1, 1a und 2

im Westen:

GVStr. Enzersdorf-Hellmannsberg

Maßgebend ist der Lageplan des Bebauungsplans in der Fassung vom 04.09.2025.

Der Bebauungsplan „Enzersdorf-Nord“ in der Fassung vom 04.09.2025 samt Begründung vom 04.09.2025 sowie den Umweltbericht vom 23.06.2025 tritt mit dieser Bekanntmachung in Kraft (vgl. § 10 Abs. 3 BauGB).

Der Bebauungsplan kann einschließlich seiner Begründung (mit Umweltbericht) im Rathaus der Verwaltungsgemeinschaft Waging a. See, Salzburger Straße 1 in 83329 Waging a. See (Zimmer-Nr. 2.04) während der Öffnungszeiten eingesehen werden; über den Inhalt ist auf Verlangen Auskunft zu geben.

Auf die Vorschriften des § 44 Abs. 3 Satz 1 und 2 BauGB über die Fälligkeit etwaiger Entschädigungsansprüche im Falle der in den §§ 39 bis 42 BauGB bezeichneten Vermögensnachteile, deren Leistung schriftlich beim Entschädigungspflichtigen zu beantragen ist, und des § 44 Abs. 4 BauGB über das Erlöschen von Entschädigungsansprüchen, wenn der Antrag nicht innerhalb der Frist von drei Jahren gestellt ist, wird hingewiesen.

Es wird darauf hingewiesen, dass eine Verletzung der in § 214 Abs. 1 Satz 1 Nr. 1 bis 3 BauGB bezeichneten Verfahrens- und Formvorschriften, eine unter Berücksichtigung des § 214 Abs. 2 BauGB beachtliche Verletzung der Vorschriften über das Verhältnis des Bebauungsplans und des Flächennutzungsplans oder aber ein nach § 214 Abs. 3 Satz 2 BauGB beachtlicher Mangel des Abwägungsvorgangs nur beachtlich werden, wenn sie innerhalb eines Jahres seit dieser Bekanntmachung schriftlich gegenüber der Gemeinde unter Darlegung des die Verletzung begründenden Sachverhalts geltend gemacht worden sind.

Waging a. See, den 09.03.2026

GEMEINDE WONNEBERG

gez. Martin Fenninger, 1. Bürgermeister


VERWALTUNGSGEMEINSCHAFT WAGING A.SEE

gez. Matthias Baderhuber, 1. Vorsitzender