Titel Logo
Wittlicher Rundschau
Ausgabe 39/2023
Amtliche Bekanntmachungen
Zurück zur vorigen Seite
Zurück zur ersten Seite der aktuellen Ausgabe

Öffentliche Bekanntmachung

7. Änderung des Flächennutzungsplanes

Frühzeitige Beteiligung der Öffentlichkeit gemäß § 3 Abs.1 BauGB

vom 09. Oktober bis 12. November 2023

Der Stadtrat hat in seiner Sitzung vom 17. Mai 2022 die 7. Änderung des Flächennutzungsplanes gem. § 2 Abs.1 BauGB beschlossen.

Der Stadtrat hat in seiner Sitzung vom 18. Juli 2023 dem vorgestellten Vorentwurf der 7. Änderung des Flächennutzungsplanes zugestimmt und beschlossen, gemäß § 4a Abs. 2 BauGB gleichzeitig die frühzeitige Beteiligung der Öffentlichkeit gemäß § 3 Abs. 1 BauGB und die Beteiligung der Behörden gemäß § 4 Abs.1 BauGB durchzuführen.

Die 7. Änderung des Flächennutzungsplanes wird gleichzeitig mit der Aufstellung des Bebauungsplans W-86-00 „Wohnmobilstellplatz“ im Parallelverfahren gem. § 8 Abs. 3 BauGB durchgeführt.

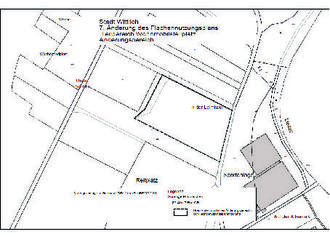
Das ca. 0,66 ha große Plangebiet umfasst Flächen im Bereich „Zweibächen“. Der Geltungsbereich ist auf dem nachfolgenden Planausschnitt unmaßstäblich dargestellt.

Ziel der Planung ist die Schaffung der bauplanungsrechtlichen Voraussetzungen zur Errichtung eines Wohnmobilstellplatzes.

Der Änderungsbeschluss gemäß § 2 Abs. 1 BauGB und die frühzeitige Beteiligung der Öffentlichkeit gemäß § 3 Abs. 1 BauGB werden hiermit bekanntgemacht.

Die frühzeitige Beteiligung der Öffentlichkeit gemäß § 3 Abs. 1 BauGB erfolgt vom

09. Oktober bis 12. November 2023.

Sie dient der Unterrichtung der Öffentlichkeit über die allgemeinen Ziele und Zwecke der Planung, sich wesentlich unterscheidende Lösungen, soweit solche für die Neugestaltung und Entwicklung des Gebietes in Betracht kommen, und die voraussichtlichen Auswirkungen der Planung. Der Öffentlichkeit wird die Gelegenheit zur Äußerung und Erörterung gegeben. Stellungnahmen können bis zum 12. November 2023 vorgebracht werden. Der Vorentwurf der 7. Änderung des Flächennutzungsplanes mit der Begründung kann bei der Stadtverwaltung Wittlich, Schloßstraße 11, Raum 316a, während der Dienststunden (montags, dienstags, mittwochs von 8.30 Uhr bis 12.00 Uhr und von 14.00 Uhr bis 16.00 Uhr, donnerstags von 8.30 Uhr bis 12.00 Uhr und von 14.00 Uhr bis 18.00 Uhr, freitags von 8.30 Uhr bis 12.00 Uhr) eingesehen werden. Die Einsichtnahme kann nach vorheriger telefonischer Terminabsprache unter der Rufnummer 06571-171201 erfolgen.

Die Planunterlagen sind während des Zeitraums vom 09. Oktober bis 12. November 2023 ergänzend auch auf der Internetseite der Stadt Wittlich unter

www.wittlich.de/de/planung-umwelt-und-mobilitaet/stadtplanung/bauleitplanung/laufende-bauleitplanverfahren/ sowie über das Geoportal des Landes Rheinland-Pfalz unter www.geoportal.rlp.de einsehbar.

Es können nachfolgende umweltbezogene Informationen eingesehen werden:

Begründung, Juni 2023, Büro WeSt, Stadtplaner, Waldstr. 14, 56766 Ulmen u.a. mit folgenden Informationen:

Anlass und Erfordernis der Planung, Verfahrensrechtliche Aspekte, Ziele und Darstellungen übergeordneter Planungen / landesplanerische Stellungnahme (Landesentwicklungsplan LEP IV, regionaler Raumordnungsplan Trier 1985, regionaler Raumordnungsplan Trier Entwurf 2014), Darstellung der Fortschreibungsinhalte (aktuelle und geplante Nutzungsdarstellungen, Flächenbilanz der Stadt Wittlich), Kurzdarstellung der Ziele und Inhalte des Flächennutzungsplans (Vorbemerkungen und Planungsvorgaben, Umweltschutzziele aus übergeordneten Fachgesetzen und Fachplanungen und ihre Berücksichtigung, Beschreibung und Bewertung der Umweltauswirkungen), Umweltrelevante Belange – Steckbrief der Einzelflächen.

Wittlich, den 25. September 2023
Stadtverwaltung Wittlich
Joachim Rodenkirch
Bürgermeister