Titel Logo
Wittlicher Rundschau
Ausgabe 40/2025
Amtliche Bekanntmachungen
Zurück zur vorigen Seite
Zurück zur ersten Seite der aktuellen Ausgabe

Öffentliche Bekanntmachung

Rechtsverbindlichkeit des Bebauungsplans

W-86-00 „Wohnmobilstellplatz“

Der Stadtrat hat in seiner Sitzung vom 22. Mai 2025 den Bebauungsplan W-86-00 „Wohnmobilstellplatz gemäß § 10 Abs. 1 des Baugesetzbuches (BauGB) in der Fassung der Bekanntmachung vom 03.11.2017 (BGBl. I S. 3634), zuletzt geändert durch Artikel 3 des Gesetzes vom 20.12.2023 (BGBl. 2023 I Nr. 394) in Verbindung mit § 24 der Gemeindeordnung für Rheinland-Pfalz (GemO) in der Fassung der Bekanntmachung vom 31.01.1994 (GVBl. S. 153), zuletzt geändert durch Artikel 6 des Gesetzes vom 20.12.2024 (GVBl. S. 473, 475) als Satzung beschlossen.

Gemäß § 10 Abs. 3 BauGB tritt der Bebauungsplan durch diese öffentliche Bekanntmachung in Kraft.

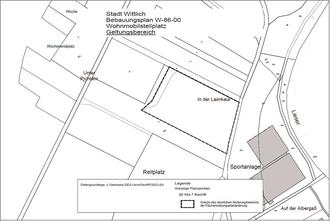
Das ca. 0,66 ha große Plangebiet umfasst Flächen im Bereich „Zweibächen“. Der Geltungsbereich ist auf dem nachfolgenden Planausschnitt unmaßstäblich dargestellt.

Ziel der Planung ist die Schaffung der bauplanungsrechtlichen Voraussetzungen zur Errichtung eines Wohnmobilstellplatzes.

Der Bebauungsplan mit der Begründung, der zusammenfassenden Erklärung wird während der Dienststunden bei der Stadtverwaltung Wittlich, Schloßstraße 11, Zimmer 313, zu jedermanns Einsicht bereitgehalten und über den Inhalt auf Verlangen Auskunft gegeben. Die Einsichtnahme kann nach erfolgter telefonischer Terminabsprache unter der Rufnummer 06571-171201 erfolgen.

Die Satzung ist gem. § 10a Abs 2. BauGB auch auf der Internetseite der Stadt Wittlich unter

https://www.wittlich.de/de/planung-umwelt-und-mobilitaet/stadtplanung/bauleitplanung/ bebauungsplaene/ sowie über das Geoportal des Landes Rheinland-Pfalz unter www.geoportal.rlp.de einsehbar.

Gemäß § 215 Abs. 1 BauGB werden unbeachtlich

1.

eine nach § 214 Abs. 1 Satz 1 Nr.1 bis 3 BauGB beachtliche Verletzung der dort bezeichneten Verfahrens- und Formvorschriften,

2.

eine unter Berücksichtigung des § 214 Abs. 2 beachtliche Verletzung der Vorschriften über das Verhältnis des Bebauungsplanes und des Flächennutzungsplanes und

3.

nach § 214 Abs. 3 Satz 2 beachtliche Mängel des Abwägungsvorgangs,

wenn sie nicht innerhalb eines Jahres seit dieser Bekanntmachung des Bebauungsplanes schriftlich gegenüber der Stadt Wittlich unter Darlegung des die Verletzung begründenden Sachverhaltes geltend gemacht worden sind. § 215 Abs.1 Satz 1 BauGB gilt entsprechend, wenn Fehler nach § 214 Abs. 2a BauGB beachtlich sind.

Auf die Vorschriften des § 44 Abs.3 Sätze1 und 2 sowie Abs.4 des BauGB über die Entschädigung von durch Festsetzungen des Bebauungsplans oder seine Durchführung entstandenen Vermögensnachteilen sowie über die Fälligkeit und das Erlöschen entsprechender Entschädigungsansprüche wird hingewiesen.

Es wird darauf hingewiesen, dass gemäß § 24 Abs. 6 der Gemeindeordnung (GemO) Satzungen, die unter Verletzung von Verfahrens- oder Formvorschriften der GemO oder aufgrund der GemO zustande gekommen sind, ein Jahr nach der Bekanntmachung als von Anfang an gültig zustande gekommen gelten. Dies gilt nicht, wenn

1.

die Bestimmungen über die Öffentlichkeit der Sitzung, die Genehmigung, die Ausfertigung oder die Bekanntmachung der Satzung verletzt worden sind, oder

2.

vor Ablauf der in Satz 1 genannten Frist die Aufsichtsbehörde den Beschluss beanstandet oder jemand die Verletzung der Verfahrens- oder Formvorschriften gegenüber der Stadtverwaltung unter Bezeichnung des Sachverhaltes, der die Verletzung begründen soll, schriftlich geltend gemacht hat.

Hat jemand eine Verletzung nach § 24 Abs. 6 Satz 2 Nr. 2 GemO geltend gemacht, so kann auch nach Ablauf der in Satz 1 genannten Frist jedermann diese Verletzung geltend machen.

Wittlich, den 30.09.2025
Stadtverwaltung Wittlich
Joachim Rodenkirch
Bürgermeister