Titel Logo
Wittlicher Rundschau
Ausgabe 7/2025
Amtliche Bekanntmachungen
Zurück zur vorigen Seite
Zurück zur ersten Seite der aktuellen Ausgabe

Öffentliche Bekanntmachung

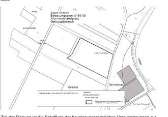
Bebauungsplan W-86-00 "Wohnmobilstellplatz“

Öffentliche Auslegung gemäß § 3 Abs. 2 BauGB vom 17. Februar bis 24. März 2025

Der Stadtrat hat in seiner Sitzung vom 21. November 2024 dem Planentwurf des Bebauungsplanes W-86-00 "Wohnmobilstellplatz“ zugestimmt und die gleichzeitige Durchführung der Beteiligung der Behörden gem. § 4 Abs. 2 BauGB und der Öffentlichen Auslegung gem. § 3 Abs. 2 BauGB für den Bebauungsplan W-86-00 "Wohnmobilstellplatz“ gemäß § 4a Abs. 2 BauGB beschlossen.

Das ca. 0,66 ha große Plangebiet umfasst Flächen im Bereich „Zweibächen“. Der Geltungsbereich ist auf dem nachfolgenden Planausschnitt unmaßstäblich dargestellt.

Ziel der Planung ist die Schaffung der bauplanungsrechtlichen Voraussetzungen zur Errichtung eines Wohnmobilstellplatzes.

Gemäß § 3 Abs. 2 des Baugesetzbuches wird der Entwurf des Bebauungsplanes Bebauungsplan W-86-00 "Wohnmobilstellplatz“ mit der Begründung, dem Umweltbericht und den bereits vorliegenden umweltbezogenen Stellungnahmen in der Zeit vom 17. Februar bis 24. März 2025 bei der Stadtverwaltung Wittlich, Schloßstraße 11, Zimmer 316a, während der Dienststunden (montags, dienstags, mittwochs von 8.30 Uhr bis 12.00 Uhr und von 14.00 Uhr bis 16.00 Uhr, donnerstags von 8.30 Uhr bis 12.00 Uhr und von 14.00 Uhr bis 18.00 Uhr, freitags von 8.30 Uhr bis 12.00 Uhr) öffentlich ausgelegt.

Die Einsichtnahme kann nach vorheriger telefonischer Terminabsprache unter der Rufnummer 06571-171201 erfolgen.

Gemäß § 4a Abs. 4 BauGB sind die Planunterlagen während des Zeitraums vom 17. Februar bis 24. März 2025 ergänzend auch auf der Internetseite der Stadt Wittlich unter www.wittlich.de/de/planung-umwelt-und-mobilitaet/stadtplanung/ bauleitpla-nung/ laufende-bauleitplanverfahren/ sowie über das Geoportal des Landes Rhein-land-Pfalz unter www.geoportal.rlp.de einsehbar.

Es können nachfolgende umweltbezogene Informationen eingesehen werden:

1. Umweltbericht, Planungsbüro West Stadtplaner GmbH, Ulmen, Januar 2025 u.a. mit folgenden Informationen:

Einführung (Vorhaben, rechtliche Grundlagen, Methodik, Abgrenzung des Untersuchungsgebietes), Vorgaben übergeordneter Planungen und Schutzgebiete (Landesentwicklungsprogramm (LEP) IV, Raumordnungsplan, Flächennutzungsplan, Planung vernetzter Biotopsysteme, Schutzgebiete, Schutzobjekte und Biotope), das Plangebiet (naturräumliche Gliederung, Biotoptypen, Flora und Fauna, heutige potenziell natürliche Vegetation (hpnV), Geologie und Boden, Wasserhaushalt, Luft / Klima, Landschaft und die biologische Vielfalt, Kultur- und Sachgüter), Status-Quo-Prognose und unabgewogenes naturschutzfachliches Zielkonzept (Wechselwirkungen zwischen den einzelnen Belangen des Umweltschutzes, Auswirkungen, die aufgrund der Anfälligkeit der nach dem Bebauungsplan zulässigen Vorhaben für schwere Unfälle oder Katastrophen zu erwarten sind), Beschreibung des Bebauungsplans, artenschutzrechtliche Potenzialanalyse (rechtliche Grundlagen, Datengrundlage, betroffene Schutzgebiete, artenschutzrechtliche Bewertung der Planung gemäß § 44 BNatSchG, Zusammenfassung), Beschreibung und Bewertung der Umweltauswirkungen und Möglichkeiten der Vermeidung (Beschreibung und Bewertung von Umweltauswirkungen), Ermittlung des Kompensationsbedarfes und der Kompensationsmaßnahmen, Zusammenfassung der empfohlenen Vermeidungs- und Kompensationsmaßnahmen (Planungsalternativen, Beschreibung der wichtigsten Merkmale der verwendeten technischen Verfahren bei der Umweltprüfung sowie Hinweise auf Schwierigkeiten, die bei der Zusammenstellung der Angaben aufgetreten sind, Beschreibung der geplanten Maßnahmen zur Überwachung [Monitoring] der erheblichen Auswirkungen der Durchführung des Bauleitplans auf die Umwelt), allgemein verständliche Zusammenfassung der erforderlichen Angaben nach dieser Anlage.

2. Bereits vorliegende umweltbezogene Stellungnahmen:

-

Stellungnahme der Kreisverwaltung Bernkastel-Wittlich vom 24.10.2023, u.a. mit Aussagen zum Naturschutz (z.B. Flächenbilanzierung der Ausgleichsflächen)

-

Stellungnahme der SGD Nord, Regionalstelle Wasserwirtschaft, Abfallwirtschaft, Bodenschutz Trier vom 10.11.2023 u.a. mit Aussagen zu Starkregenergeignissen

-

Stellungnahme der Stadtwerke Wittlich vom 14.11.2023, u.a. mit Aussagen zur Starkregensituation

Gemäß § 3 Abs. 2 Satz 2 BauGB und § 4a Abs. 6 BauGB wird darauf hingewiesen, dass Stellungnahmen während der Auslegungsfrist abgegeben werden können und dass nicht fristgerecht abgegebene Stellungnahmen bei der Beschlussfassung über den Bauleitplan unberücksichtigt bleiben können.

Die fristgerecht abgegebenen Stellungnahmen werden geprüft und dem Stadtrat zur Entscheidung vorgelegt. Das Ergebnis wird mitgeteilt.

Wittlich, den 11.02.2025
Stadtverwaltung Wittlich
Joachim Rodenkirch
Bürgermeister