Titel Logo
Eifel-Mosel-Hunsrück aktuell VG Traben-Trarbach
Ausgabe 40/2023
Enkirch - amtlich
Zurück zur vorigen Seite
Zurück zur ersten Seite der aktuellen Ausgabe

Aufstellung des Bebauungsplanes „Im Weingarten“ der Ortsgemeinde Enkirch

Gemäß dem Baugesetzbuch (kurz: BauGB) in der derzeit gültigen Fassung erfolgt folgende Bekanntmachung:

Bekanntmachung des Aufstellungsbeschlusses nach § 2 Absatz 1 BauGB

Der Ortsgemeinderat Enkirch hat in seiner Sitzung am 18.09.2023 die Aufstellung des Bebauungsplanes „Im Weingarten“ zur Erschließung von Wohnbauflächen beschlossen im Rahmen einer geordneten städtebaulichen Entwicklung der Ortslage Enkirch.

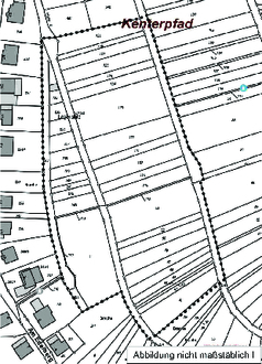
Der Geltungsbereich umfasst folgende Grundstücke:

Gemarkung Enkirch, Flur 33, Flurstücke: 118, 119, 120, 121, 122, 123, 124, 125, 126, 127, 128, 129, 234, 235, 236, 237, 238, 239, 240, 241, 242, 243, 515/1 teilweise, 516/4, 517 sowie Flur 35, Flurstücke: 1, 41, 42, 43, 44, 45, 46, 47, 49, 50, 52, 53, 211, 212, 213, 214 teilweise, 215, 216 teilweise.

Der räumliche Geltungsbereich des Bebauungsplanes ist im nachfolgenden Kartenausschnitt umrandet dargestellt.

54536 Kröv, den 06.10.2023
Für die Ortsgemeinde Enkirch:
Verbandsgemeindeverwaltung Traben-Trarbach
Verwaltungsstelle Kröv
Fachbereich 2
(Marcus Heintel)
Bürgermeister