Titel Logo
Bitburger Landbote
Ausgabe 23/2023
Öffentliche Bekanntmachungen
Zurück zur vorigen Seite
Zurück zur ersten Seite der aktuellen Ausgabe

Öffentliche Bekanntmachung

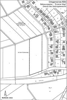
Bebauungsplan der Ortsgemeinde Röhl für das Teilgebiet “Auf dem Eulener Weg

16. Änderung des Flächennutzungsplanes (Fassung 1. Teilfortschreibung) der VG Bitburg-Land in diesem Zusammenhang

- Bekanntmachung der Planaufstellung (§ 2 Abs. 1 S. 2 BauGB) und frühzeitigen Öffentlichkeitsbeteiligung (§ 3 Abs. 1 BauGB) -

Der Ortsgemeinderat von Röhl hat am 30.06.2022 die Aufstellung eines Bebauungsplans (B-Plan) für das Teilgebiet “Auf dem Eulener Weg“ beschlossen. In gleicher Sitzung wurde der räumliche Geltungsbereich des Plangebietes erstmals festgelegt.

Der Verbandsgemeinderat Bitburger Land hat am 06.10.2022 beschlossen, die zur Aufstellung des B-Planes gemäß § 8 Abs. 2 BauGB erforderliche 16. Änderung des Flächennutzungsplanes (FNP - Fassung 1. Teilfortschreibung) der VG Bitburg-Land gemäß § 8 Abs. 3 BauGB im Parallelverfahren durchzuführen.

Das Plangebiet des B-Planes mit einer Größe von ca. 1,25 ha liegt westlich der Ortslage und grenzt an die Bitburger Straße. Es erweitert die Ortslage im westlichen Bereich angrenzend an die dort bestehenden Bebauungen im Baugebiet “Ober der Kirch /Querheck“. Der räumliche Geltungsbereich des B-Planes umfasst die Flächen der Flurstücke Gemarkung Röhl, Flur 11, Nr. 9 und teilweise Nr. 106/1. Die FNP-Änderung bezieht sich zum einen auf den v. g. Geltungsbereich des B-Planes und soll entsprechend dieser konkreten Bauleitplanung angepasst werden.

Nachfolgend ist die Abgrenzung des räumlichen Geltungsbereiches des B-Planes in einem unmaßstäblichen Kartenauszug abgedruckt. Dieser Teilbereich ist Gegenstand und Geltungsbereich der 16. FNP-Änderung. Die parzellenscharfe Abgrenzung kann auch im Rathaus der Verbandsgemeinde Bitburger Land (Zimmer 308), Hubert-Prim-Str. 7, 54634 Bitburg, eingesehen werden.

Der Beschluss zur Planaufstellung und Durchführung der gleichzeitigen, parallelen Änderung des FNP wird hiermit gem. § 2 Abs. 1 Satz 2 BauGB öffentlich bekannt gemacht.

Mit dem B-Plan wird das Ziel verfolgt, die bauplanungsrechtlichen Voraussetzungen zu schaffen, um für den nachgewiesenen örtlichen Bedarf weiteres Wohnbauland zur Eigenentwicklung bereitstellen zu können. Die Bebauung des Gebietes soll sich hinsichtlich Art und Maß der baulichen Nutzung an dem angrenzenden Baubestand orientieren und sich entsprechend in das Orts- und Landschaftsbild einfügen. Der erforderlichen Ausgleichsmaßnahmen für Eingriffe in Natur und Landschaft werden in der Planung geregelt. Im Rahmen einer Umweltprüfung sind zudem die voraussichtlich erheblichen Umweltauswirkungen zu ermitteln und anschließend in einem Umweltbericht zu beschreiben und bewerten. Um die beabsichtigte Entwicklung konkret zu regeln, soll im B-Plan im Wesentlichen ein Allgemeines Wohngebiet (WA) gem. § 9 Abs. 1 Nr. 1 BauGB i. V. m. § 4 BauNVO festgesetzt werden. Da in diesem Zusammenhang der wirksame FNP - Fassung 1. Teilfortschreibung - der VG Bitburg-Land, das Plangebiet als “Fläche für die Landwirtschaft und -im Rahmen der Integration der Landschaftsplanjung- den Erhalt der Streuobstwiese“ kennzeichnet und darstellt, sollen auch hier im Rahmen einer gemäß § 8 Abs. 3 BauGB parallel durchgeführten 16. Änderung des FNP die notwendigen Anpassungen vorgenommen werden. Die betreffenden B-Planflächen sollen im FNP als geplante Wohnbauflächen gem. § 5 Abs. 2 Nr. 1 BauGB i. V. m. § 1 Abs. 1 Nr. 1 BauNVO dargestellt und ggf. die ansonsten notwendigen Anpassungen, wie Darstellung von Ausgleichsflächen, vorgenommen werden.

Hiermit wird bekannt gemacht, dass die Unterrichtung über die allgemeinen Ziele und Zwecke der Planung sowie ihre Auswirkungen in der Zeit vom 20.06.2023 bis 24.07.2023 einschließlich während den allgemeinen Dienststunden im Rathaus der Verbandsgemeindeverwaltung Bitburger Land (Zimmer 308), Hubert-Prim-Str. 7, 54634 Bitburg, erfolgt. Die ersten Entwurfsunterlagen zum Bebauungsplan sowie zur 16. Änderung des FNP liegen zu diesem Zweck zu jedermanns Einsicht öffentlich aus. Es wird Gelegenheit zur Äußerung und Erörterung gegeben.

Diese frühzeitige öffentliche Unterrichtung und Erörterung erfolgen unabhängig von der öffentlichen Auslegung nach § 3 Abs. 2 BauGB.

Zusätzlich besteht die Möglichkeit zur Teilnahme am elektronischen Beteiligungsverfahren.

Auf der Homepage der Verbandsgemeinde Bitburger Land - www.bitburgerland.de unter Bürgerservice/ Bauleitplanung/ Flächennutzungsplan - kann jedermann Einsicht in die vollständigen Planentwurfsunterlagen zum Verfahren nehmen, diese abrufen und sich auch auf elektronischem Wege zu der Planung äußern. Dieser Dienst steht nur während der Beteiligungsfrist vom 20.06.2023 bis einschließlich 24.07.2023 zur Verfügung

Bitburg, den 31.05.2023
Verbandsgemeindeverwaltung Bitburger Land
In Vertretung:
Rainer Wirtz
Erster Beigeordneter