Titel Logo
Bitburger Landbote
Ausgabe 33/2024
Aus den Ortsgemeinden
Zurück zur vorigen Seite
Zurück zur ersten Seite der aktuellen Ausgabe

Widmungsverfügung

Widmung von Gemeindestraßen nach § 36 Abs. 1 Landesstraßengesetz (LStrG)

Aufgrund des Beschlusses des Ortsgemeinderates Dudeldorf in der öffentlichen Sitzung am 28.05.2024 wird die nachfolgend aufgeführte, bisher nicht formell gewidmete, gemeindliche Verkehrsfläche gemäß § 36 Abs. 1 Landesstraßengesetz (LStrG) vom 01.08.1977 (GVBl S. 273) in der aktuellen Fassung für den allgemeinen Verkehr gewidmet:

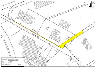
Kollenbergstraße (Gewerbegebiet), Teilbereich des Flurstück Flur 3 Nr. 11/8 ausgehend vom Flurstück Flur 4, Nr. 76/5 in nordöstlicher Richtung entlang der gesamten Breite des Flurstück Flur 3 Nr. 11/6 sowie entlang eines Teilstücks Flur 3, 11/10 (auf einer Länge von rd. 88 m) sowie in nordwestlicher Richtung bis zum Ende des Fabrikgebäudes auf dem Flurstück Flur 3, 11/3 und Teilbereich Flurstück Nr. 11/9 (rund 175 m)

Die Verkehrsfläche erhält die Eigenschaft einer öffentlichen Gemeindestraße (§ 3 Nr. 3 a i. V. m. § 1 Abs. 2, 3 LStrG). Für die Geh- und Fußwege wird der Gemeingebrauch auf Fußgängerverkehr festgesetzt.

Die Widmung umfasst die Straße in der gesamten Breite einschließlich der vorhandenen Gehwege und Seitenflächen. Den Anliegern wird bei vorhandenen Seitenflächen ein Zugang bzw. eine Zufahrt auf Dauer gestattet.

Nachfolgend ist eine unmaßstäbliche Flurkartenunterlage mit den gekennzeichneten

öffentlichen Verkehrsflächen abgedruckt. Die gewidmete Fläche ist farblich unterlegt.

Die Kartenunterlage liegt im Maßstab 1:1.000 innerhalb der Rechtsbehelfsfrist im Rathaus der Verbandsgemeindeverwaltung Bitburger Land, Hubert-Prim-Str. 7, 54634 Bitburg (Büro 304) während den allgemeinen Dienststunden aus.

Rechtsbehelfsbelehrung:

Gegen diese Allgemeinverfügung kann innerhalb von zwei Wochen nach Bekanntgabe Widerspruch erhoben werden. Der Widerspruch ist bei der Verbandsgemeindeverwaltung Bitburg Land, Hubert-Prim-Str. 7, 54634 Bitburg, Hubert-Prim-Str. 7, schriftlich, in elektronischer Form nach § 3a Abs. 2 des Verwaltungsverfahrensgesetzes oder zur Niederschrift erhoben werden.

Bitburg, 31.07.2024
Verbandsgemeindeverwaltung Bitburger Land
Rainer Wirtz
Erster Beigeordneter