Titel Logo
Bitburger Landbote
Ausgabe 36/2025
Öffentliche Bekanntmachungen
Zurück zur vorigen Seite
Zurück zur ersten Seite der aktuellen Ausgabe

32. Änderung des Flächennutzungsplanes (Fassung 1. Teilfortschreibung) der VG Bitburger Land

- Bekanntmachung der Planaufstellung (§ 2 Abs. 1 S. 2 BauGB) und frühzeitigen Öffentlichkeitsbeteiligung (§ 3 Abs. 1 BauGB) -

Der Verbandsgemeinderat Bitburger Land hat am 14.12.2023 beschlossen, die zur Aufstellung eines Bebauungsplanes der Ortsgemeinde Seffern - Sondergebiet “Reiterhof“ - gemäß § 8 Abs. 2 BauGB erforderliche 32. Änderung des Flächennutzungsplanes (FNP - Fassung 1. Teilfortschreibung) der VG Bitburger Land gemäß § 8 Abs. 3 BauGB im Parallelverfahren durchzuführen.

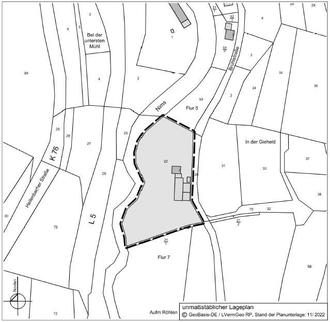
Das Plangebiet liegt am südlichen Rand der Ortslage im Bereich der “Brühlstraße“ und hat eine Größe von 9.560 m².

Die 32. FNP-Änderung bezieht sich auf den v. g. Geltungsbereich des Bebauungsplanes Sondergebiet “Reiterhof“ und soll entsprechend dieser konkreten Bauleitplanung angepasst werden.

Nachfolgend ist die Abgrenzung der räumlichen Geltungsbereiche der 32. FNP-Änderung in einem unmaßstäblichen Kartenauszug abgedruckt. Die parzellenscharfe Abgrenzung kann auch im Rathaus der Verbandsgemeinde Bitburger Land (Zimmer 306), Hubert-Prim-Str. 7, 54634 Bitburg eingesehen werden.

Der Beschluss zur Planaufstellung und Durchführung der gleichzeitigen, parallelen Änderung des FNP wird hiermit gem. § 2 Abs. 1 Satz 2 BauGB öffentlich bekannt gemacht.

Anlass der Planung

Die Ortsgemeinde Seffern will im Bereich der v. g. Fläche die Voraussetzungen zur gewerblichen Nutzung von Beherbergungen schaffen.

Das Plangebiet, das später das Sondergebiet ausweisen soll, ist im rechtsgültigen Flächennutzungsplan (FNP) im Bereich der vorgesehenen Sonderbauflächen als Fläche für Landwirtschaft dargestellt. Um den vorgesehenen Bebauungsplan aus dem FNP entwickeln zu können, ist gleichzeitig eine parallele Änderung (Darstellung als Sonderbauflächen) erforderlich.

Die Entwurfsunterlagen zur 32. Änderung des Flächennutzungsplanes, bestehend aus der Planzeichnung und der Begründung (ohne Umweltbericht) sind nunmehr gemäß § 3 Abs. 1 des Baugesetzbuchs in der Zeit

vom 08.09.2025 bis einschließlich 10.10.2025

auf der Internetseite der Verbandsgemeinde Bitburger Land (www.bitburgerland.de) unter Bürgerservice/ Bauleitplanung/ Offenlage Flächennutzungsplan zur Verfügung eingestellt und liegen gleichzeitig im Rathaus der Verbandsgemeinde Bitburger Land (Zimmer 306), Hubert-Prim-Straße 7, 54634 Bitburg, zu jedermanns Einsichtnahme öffentlich aus. In diesem Zeitraum wird Gelegenheit zur Äußerung und Erörterung gegeben.

Gleichzeitig wird die Planung in das zentrale Internetportal des Landes Rheinland-Pfalz unter www.geoportal.rlp.de eingestellt. Dieser Dienst steht nur während der Beteiligungsfrist vom 08.09.2025 bis einschließlich 10.10.2025 zur Verfügung.

Diese frühzeitige öffentliche Unterrichtung und Beteiligung erfolgt unabhängig von der öffentlichen Auslegung nach § 3 Abs. 2 BauGB.

Bitburg, den 22.08.2025

Verbandsgemeindeverwaltung Bitburger Land
Janine Fischer
Bürgermeisterin