Titel Logo
Bitburger Landbote
Ausgabe 8/2024
Aus den Ortsgemeinden
Zurück zur vorigen Seite
Zurück zur ersten Seite der aktuellen Ausgabe

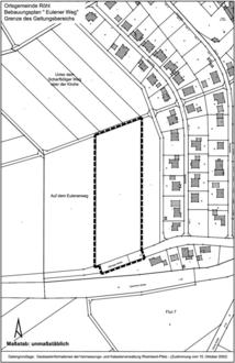
Öffentliche Bekanntmachung - Bebauungsplan der Ortsgemeinde Röhl für das Teilgebiet “Auf dem Eulener Weg“

- Öffentliche Auslegung des Planentwurfes gemäß § 3 Abs. 2 BauGB -

Der Ortsgemeinderat (OG-Rat) von Röhl hat am 30.06.2022 die Aufstellung eines Bebauungsplans (B-Plan) für das Teilgebiet “Auf dem Eulener Weg“ beschlossen.

Der Verbandsgemeinderat (VG-Rat) Bitburger Land hat am 06.10.2022 beschlossen, die zur Aufstellung des B-Planes gemäß § 8 Abs. 2 BauGB erforderliche 26. Änderung des Flächennutzungsplanes (FNP - Fassung 1. Teilfortschreibung) der VG Bitburg-Land gemäß § 8 Abs. 3 BauGB parallel durchzuführen.

Das Plangebiet des B-Planes mit einer Größe von ca. 1,37 ha liegt westlich der Ortslage und grenzt an die Bitburger Straße. Es erweitert die Ortslage im westlichen Bereich angrenzend an die dort bestehenden Bebauungen im Baugebiet “Ober der Kirch /Querheck“.

Der räumliche Geltungsbereich des B-Planes umfasst die Flächen der Flurstücke Gemarkung Röhl, Flur 11, Nr. 9 und teilweise Nr. 106/1.

Mit dem B-Plan wird vornehmlich das Ziel verfolgt, die bauplanungsrechtlichen Voraussetzungen zu schaffen, um für den nachgewiesenen örtlichen Bedarf weiteres Wohnbauland zur Eigenentwicklung bereitstellen zu können. Die Bebauung des Gebietes soll sich hinsichtlich Art und Maß der baulichen Nutzung an dem angrenzenden Baubestand orientieren und sich entsprechend in das Orts- und Landschaftsbild einfügen. Der erforderlichen Ausgleichsmaßnahmen für Eingriffe in Natur und Landschaft werden in der Planung geregelt.

Im Rahmen einer Umweltprüfung sind zudem die voraussichtlich erheblichen Umweltauswirkungen zu ermitteln und anschließend in einem Umweltbericht zu beschreiben und bewerten. Um die beabsichtigte Entwicklung konkret zu regeln, soll im B-Plan ein Allgemeines Wohngebiet (WA) gem. § 9 Abs. 1 Nr. 1 BauGB i. V. m. § 4 BauNVO festgesetzt werden.

Nach Durchführung der frühzeitigen Beteiligung der Behörden und Öffentlichkeit zum B-Plan (20.06.2023 – 24.07.2023) hat der Ortsgemeinderat in seiner öffentlichen Sitzung am 26.10.2023 über die eingegangenen Anregungen und Bedenken aus dem frühzeitigen Beteiligungsverfahren beraten und abgewogen.

Der räumliche Geltungsbereich des Bebauungsplanes ist in einem weiter unten abgedruckten unmaßstäblichen Kartenauszug dargestellt. Die parzellenscharfe Abgrenzung des Geltungsbereichs kann auch im Rathaus der Verbandsgemeinde Bitburger Land (Zimmer 308), Hubert-Prim-Straße 7, 54634 Bitburg, eingesehen werden.

Die Entwurfsunterlagen zum Bebauungsplan, bestehend aus der Planzeichnung, den Textfestsetzungen, der Begründung mit dem Umweltbericht, weiteren Fachbeiträgen (u.a. Entwässerungskonzept) als auch der nach Einschätzung der Gemeinde wesentlichen, bereits vorliegenden umweltbezogenen Stellungnahmen sind nunmehr gemäß § 3 Abs. 2 des Baugesetzbuchs in der Zeit

vom 26.02.2024 bis einschließlich 28.03.2024

gemäß § 3 Abs. 2 BauGB auf der Internetseite der Verbandsgemeinde Bitburger Land (www.bitburgerland.de) unter Bürgerservice/ Bauleitplanung/ Bebauungspläne zur Verfügung eingestellt und liegen gleichzeitig im Rathaus der Verbandsgemeinde Bitburger Land (Zimmer 308), Hubert-Prim-Straße 7, 54634 Bitburg zu jedermanns Einsichtnahme öffentlich aus.

Während des Auslegungszeitraumes vom 26.02.2024 bis einschließlich 28.03.2024 besteht die Gelegenheit zur Äußerung und Erörterung. Stellungnahmen können von jedermann abgegeben werden. Diese sollen elektronisch übermittelt werden :

(E-Mail-Adresse: bauleitplanung@bitburgerland.de).

Bei Bedarf können diese aber auch auf anderem Wege (schriftlich oder zur Niederschrift) während der Öffnungszeiten der Verbandsgemeindeverwaltung Bitburger Land,

Hubert-Prim-Straße 7, 54634 Bitburg, abgegeben bzw. vorgebracht werden.

Über den Inhalt des Bebauungsplanentwurfes wird auf Verlangen Auskunft gegeben.

Es wird darauf hingewiesen, dass nicht innerhalb der Offenlegungsfrist abgegebene Stellungnahmen bei der Beschlussfassung über den Bebauungsplan (gemäß § 4 a Abs. 6 BauGB) unberücksichtigt bleiben können, sofern die Gemeinde deren Inhalt nicht kannte und nicht hätte kennen müssen und deren Inhalt für die Rechtmäßigkeit des Bebauungsplans nicht von Bedeutung ist. Weiterhin ergeht der Hinweis, dass ein Antrag nach § 47 VwGO unzulässig ist, wenn mit ihm nur Einwendungen geltend gemacht werden, die vom Antragsteller im Rahmen der Auslegung nicht oder verspätet geltend gemacht wurden, aber hätten geltend gemacht werden können.

Gleichzeitig wird die Planung in das zentrale Internetportal des Landes Rheinland-Pfalz unter www.geoportal.rlp.de eingestellt.

Dieser Dienst steht nur während der Beteiligungsfrist vom 26.02.2024 bis einschließlich 28.03.2024 zur Verfügung.

Im Rahmen des Bebauungsplanverfahrens wird eine Umweltprüfung durchgeführt.

Folgende Arten umweltbezogener Informationen/ Unterlagen und Stellungnahmen sind hier verfügbar und können gemäß § 3 Abs. 2 Satz 4 BauGB während der öffentlichen Auslegung eingesehen werden (u. a. nach Sachbezügen erfasst):

Umweltbericht – Büro Fischer, Trier:

Stand vom 12.10.2023, mit Beschreibungen und Bewertungen der Umweltauswirkungen und deren Erheblichkeit auf die Schutzgüter:

Die o.a. Unterlagen enthalten folgende Arten umweltbezogener Informationen, welche im Rahmen der Umweltprüfung im Umweltbericht dokumentiert sind:

  • Analyse / Berücksichtigung planungsrelevanter Umweltvorgaben, u.a.:
  • Schutzgebiete nach NATURA 2000 (§ 32 BNatSchG),
  • Landschaftsplanung / Flächennutzungsplan
  • Flächen- und Objektschutz
  • Schutzwürdigkeiten
  • Planung vernetzter Biotopsysteme
  • Waldrechtliche / -fachliche Vorgaben
  • Biotopschutz
  • Wasserrechtliche Vorgaben / Gewässerschutz
  • Biotopkataster
  • Kulturdenkmale / Archäologische Fundstellen / Bodendenkmale
  • Ergebnisse der landesplanerischen Stellungnahme
  • (überschlägige) Beurteilung des Besonderen Artenschutzes
  • Angaben zu Bodenbelastungen / Altlasten / Altablagerungen (nicht betroffen)
  • Angaben zu Natur und Landschaft:
  • Boden
  • Gewässer / Oberflächenwasser
  • Grundwasser
  • Klima / Luft
  • Arten- und Biotopschutz
  • Landschaftsbild / Erholung
  • Biotop- und Nutzungstypen
  • Fauna (überschlägige Angaben)
  • Biotopverbund
  • Landespflegerische Zielvorstellungen
  • Angaben zum Immissionsschutz
  • Angaben zum Gewässerschutz
  • Angaben zur Landwirtschaft
  • Angaben zum Radonpotential
  • Prognosen zur Entwicklung des Umweltzustandes
  • Beschreibung von Umweltmaßnahmen:
  • Abwasserbehandlung / Entwässerung
  • Abfallwirtschaft
  • Nutzung erneuerbarer Energien
  • Angaben zur Eingriffsregelung / grünordnerische Maßnahmen - Ökobilanzierung
  • Bewertung des Eingriffsrisikos
  • Verbots- / Vermeidungsmaßnahmen
  • Ausgleich- / Ersatzmaßnahmen
  • (mögliche) Maßnahmen auf den privaten Baugrundstücken
  • Ermittlung künftiger Versiegelung
  • Eingriffs-Ausgleich-Bilanzierung
  • Externe Kompensation
  • Diskussion möglicher Umweltauswirkungen
  • Aufzeigen anderweitiger Planungsmöglichkeiten
  • Beschreibung der geplanten Maßnahmen des späteren Umweltmonitorings
  • Angaben zu angewandten Umweltverfahren / Umwelttechniken
  • Umweltrisiken
  • Allgemein verständliche Zusammenfassung.

Informationen aus den Verfahren nach § 3 Abs. 1 i.V.m. § 4 Abs. 1 BauGB zu folgenden Umweltbelangen:

  • Entwässerungskonzeption des Büro Scherf, Trierweiler vom November 2023.
  • Schalltechnische Untersuchung, Ingenieurbüro RaWa, Konz, vom November 2022
  • Geotechnischer Bericht, Ingenieurgesellschaft Lübeck, Trier, vom Juli 2022
  • Geomagnetische Archäoprospektion, Geotomographie GmbH, Neuwied, vom Okt. 2023

Stellungnahmen der Behörden und sonstigen Träger öffentlicher Belange:

  • Verbandsgemeinde Bitburger Land, Verbandsgemeindewerke vom 12.07.2023
  • (Sachbezug: Entwässerung / Abwasser)
  • Generaldirektion kulturelles Erbe, Rheinland-Pfalz, Direktion Landesarchäologie, Außenstelle Trier vom 26.07.2023 (Sachbezug: Denkmalschutz, Archäologie)
  • Kreisverwaltung Eifelkreis Bitburg-Prüm vom 18.08.2023 (Sachbezug: Immissionsschutz, Raumordnung, Landesplanung, Landwirtschaft, Naturschutz, Biotopschutz, Abfallwirtschaft)
  • Landesbetrieb Mobilität Gerolstein vom 07.08.2023 (Sachbezug: Entwässerung)
  • Struktur- und Genehmigungsdirektion Nord, Regionalstelle Wasser-Abwasser-Boden vom 04.08.2023 (Sachbezug: Entwässerung)
Bitburg, den 14.02.2024
Verbandsgemeindeverwaltung Bitburger Land
In Vertretung:
Rainer Wirtz
Erster Beigeordneter