Titel Logo
Mitteilungsblatt Südeifel
Ausgabe 1/2023
Amtliche Bekanntmachungen der Ortsgemeinden
Zurück zur vorigen Seite
Zurück zur ersten Seite der aktuellen Ausgabe

Bekanntmachung

Aufstellung eines Bebauungsplanes der Ortsgemeinde Rodershausen für das Teilgebiet „Kapellenstraße“;

frühzeitige Unterrichtung der Öffentlichkeit gem. § 3 Abs. 1 Baugesetzbuch (BauGB)

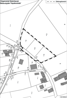
Die Ortsgemeinde Rodershausen beabsichtigt zur Ausweisung eines Wohnbaugebietes die Aufstellung eines Bebauungsplanes für das Teilgebiet „Kapellenstraße“. Im Rahmen des laufenden bauplanungsrechtlichen Verfahrens zur Aufstellung des Bebauungsplanes ist die frühzeitige Beteiligung der Öffentlichkeit gem. § 3 Abs. 1 BauGB durchzuführen. Hiermit soll die Öffentlichkeit frühzeitig über die allgemeinen Ziele und Zwecke der Planung, sich wesentlich unterscheidende Lösungen, die für die Neugestaltung oder Entwicklung des Gebietes in Betracht kommen, und die voraussichtlichen Auswirkungen der Planung öffentlich unterrichtet werden. Der Bebauungsplan umfasst folgenden Geltungsbereich (Plangebiet):

Gemarkung Rodershausen, Flur 7, Flurstücke: 31/1, 31/2, 31/3 sowie 67/1 (teilweise). Die genaue Abgrenzung des Geltungsbereiches ist aus dem dieser Bekanntmachung beigefügten unmaßstäblichen Lageplan ersichtlich.

Für die Belange des Umwelt- u. Naturschutzes ist eine Umweltprüfung durchzuführen und ein Umweltbericht zu erstellen; dies erfolgt parallel im laufenden Bauleitplanverfahren.

Die Entwurfsunterlagen zum Bebauungsplan (Planurkunde mit Textfestsetzungen, Begründung, Umweltbericht) liegen hierzu in der Zeit vom

16.01.2023 bis einschließlich 15.02.2023

während der behördlichen Öffnungszeiten (vormittags: montags bis freitags, von 08.00 - 12.00 Uhr; nachmittags: montags bis mittwochs, von 14.00 - 16.00 Uhr und donnerstags von 14.00 - 18.00 Uhr) bei der Verbandsgemeindeverwaltung Südeifel, Pestalozzistr. 7, 54673 Neuerburg, gem. § 3 Abs. 1 BauGB öffentlich zur Einsichtnahme aus.

Während der v. g. Auslegungsfrist sind sämtliche auszulegenden Unterlagen auch auf der Internetseite der Verbandsgemeinde Südeifel eingestellt und einsehbar (https://www.suedeifelinfo.de; Rubrik: Aktuelles -> Bauleitplanverfahren -> Öffentlichkeitsbeteiligungen).

Während des Auslegungszeitraumes vom 16.01.2023 bis einschließlich 15.02.2023 besteht die Gelegenheit zur Äußerung und Erörterung. Stellungnahmen können von Jedermann Stellungnahmen schriftlich -auch in elektronischer Form per E-Mail oder Fax- bei der Verbandsgemeindeverwaltung Südeifel, Pestalozzistr. 7, 54673 Neuerburg, E-Mailadresse: bauleitplanung@vg-suedeifel.de, Fax-Nr. 06564 - 69 - 11260, eingereicht oder während der Öffnungszeiten der Verbandsgemeindeverwaltung zur Niederschrift vorgebracht werden.

54673 Rodershausen, den 21.12.2022
Ortsgemeinde Rodershausen
(Siegel), gez.
Matthias Lorig, Ortsbürgermeister