Titel Logo
Mitteilungsblatt Südeifel
Ausgabe 15/2024
Amtliche Bekanntmachungen der Verbandsgemeinde
Zurück zur vorigen Seite
Zurück zur ersten Seite der aktuellen Ausgabe

Flächennutzungsplan der Verbandsgemeinde Südeifel

Änderung des Räumlichen Teilflächennutzungsplanes Neuerburg, Teilbereich Mettendorf Beteiligung der Öffentlichkeit gem. § 3 Abs. 2 Baugesetzbuch (BauGB)

Die Ortsgemeinde Mettendorf beabsichtigt die Aufstellung eines Bebauungsplanes für das Teilgebiet „Hollandswiesen“. Im laufenden Bauleitverfahren wurden die bisherigen erforderlichen bauplanungsrechtlichen Verfahrensschritte durch die Ortsgemeinde vollzogen. Mit der beabsichtigten Planung sollen die bauplanungsrechtlichen Voraussetzungen für die Entwicklung einer Fläche für Gemeinbedarf (Feuerwehr) geschaffen werden. Der Flächennutzungsplan ist in einem Parallelverfahren durch die Verbandsgemeinde Südeifel anzupassen.

Die frühzeitige Unterrichtung der Öffentlichkeit gemäß § 3 Abs. 1 BauGB erfolgte durch öffentliche Auslegung der Planentwurfsunterlagen bei der Verwaltung in der Zeit vom 05.06.2023 bis einschließlich zum 04.07.2023. Die Öffentlichkeit wurde frühzeitig über die allgemeinen Ziele und Zwecke der Planung, sich wesentlich unterscheidende Lösungen, die für die Neugestaltung oder Entwicklung des Gebietes in Betracht kommen, und die voraussichtlichen Auswirkungen der Planung öffentlich unterrichtet. Die Behörden und sonstigen Träger öffentlicher Belange sowie die berührten benachbarten Gemeinden wurden gemäß § 4 Abs. 1 / § 2 Abs. 2 BauGB am Verfahren beteiligt.

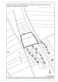
Der Geltungsbereich der Planänderung zum Flächennutzungsplan umfasst folgende Flurgrundstücke: Gemarkung Mettendorf, Flur 15, Flurstücke: 43, 113 und 98 teilweise. Die genaue Abgrenzung des Geltungsbereiches ergibt sich aus dem dieser Bekanntmachung beigefügten Lageplan. Im Rahmen des laufenden bauplanungsrechtlichen Verfahrens beschloss der Verbandsgemeinderat Südeifel in seiner Sitzung vom 06.12.2023 die Auslegung des Planentwurfs gemäß § 3 Abs. 2 BauGB, sowie die Beteiligung der Behörden/Träger öffentlicher Belange/berührte benachbarte Gemeinden gemäß den §§ 4 Abs. 2 / § 2 Abs. 2 BauGB.

Die Entwurfsunterlagen zur Änderung des Flächennutzungsplanes (Planzeichnung, Begründung mit Umweltbericht und die wesentlichen bereits vorliegenden umweltrelevanten Stellungnahmen) stehen Ihnen während der Zeit vom 15.04.2024 bis einschließlich 14.05.2024 gemäß § 3 Abs. 2 BauGB auf der Internetseite der Verbandsgemeinde Südeifel (www.vg-suedeifel.de; Rubrik - Aktuelles - Bauleitplanverfahren - Öffentlichkeitsbeteiligungen) zur Verfügung und liegen gleichzeitig zur Einsichtnahme öffentlich in unserem Hause während der behördlichen Öffnungszeiten (vormittags: montags bis freitags, von 08.00 - 12.00 Uhr; nachmittags: montags bis mittwochs, von 14.00 - 16.00 Uhr und donnerstags von 14.00 - 18.00 Uhr) bei der Verbandsgemeindeverwaltung Südeifel, Marienheim, Bitburger Str. 15, 54673 Neuerburg aus.

Während des Auslegungszeitraumes vom 15.04.2024 bis einschließlich 14.05.2024 besteht die Gelegenheit zur Äußerung und Erörterung. Stellungnahmen können von Jedermann abgegeben werden. Diese sollen elektronisch übermittelt werden (E-Mail-Adresse: bauleitplanung@vg-suedeifel.de). Bei Bedarf können diese aber auch auf anderem Wege (schriftlich, per Fax Nr. 06564 - 69 – 11260 oder zur Niederschrift während der Öffnungszeiten bei der Verbandsgemeindeverwaltung Südeifel, Marienheim, Bitburger Str. 15, 54673 Neuerburg) abgegeben bzw. vorgebracht werden.

Folgende umweltbezogene Informationen liegen vor:

Umweltbericht

Umweltbericht zum Bebauungsplan der Ortsgemeinde Mettendorf Teilgebiet „Hollandswiesen“ – (Feuerwehrstützpunkt) mit Beschreibung und Bewertung der Umwelt und ihrer Bestandteile; darauf aufbauend Aussagen zu den Auswirkungen der Planung auf die Schutzgüter Boden/Fläche (Baugrundverhältnisse, Versiegelung, Altablagerungen), Wasser (Grund- und Oberflächengewässer, Sturzflut-Entstehungsgebiete und Abflusskonzentrationen), Klima/Luft, Pflanzen, Tiere und die biologische Vielfalt

(Biotope, Artenschutz, NATURA-2000-Gebiete, geschützte Biotope gem. §30 BNatSchG/§15

LNatSchG), Landschaft und Erholung (Visuelle Wirkung, Landschaftsbild, Auswirkungen auf Naturpark Südeifel, Wander- und Radwege), Mensch/menschliche Gesundheit (Geräusch- und Lichtimmissionen), Kultur- und Sachgüter sowie Wechselwirkungen zwischen den Schutzgütern. Darlegung möglicher Maßnahmen zur Minimierung, Vermeidung und zum Ausgleich.

Stellungnahmen aus dem Beteiligungsverfahren nach § 4 Abs. 1 BauGB

Hinweise / Informationen zur Lage in Wasserschutzgebieten; zur Starkregenvorsorge (SGD Nord); zum Immissionsschutz (SGD Nord, Gewerbeaufsicht); Hinweise zur möglichen Betroffenheit von fossilführenden Gesteinen (GDKE); Hinweise zur Prüfung alternativer Standorte, Biotoptypenkartierung, Vorgaben Gehölzpflanzungen, Hinweise Artenschutz, Hinweise zum externen Ausgleich, zum KSP (Kreisverwaltung Bitburg-Prüm)

Nicht fristgerechte abgegebene Stellungnahmen können bei der Beschlussfassung über den Bauleitplan unberücksichtigt bleiben.

Wir weisen darauf hin, dass eine Vereinigung im Sinne des § 4 Abs. 3 S. 1 Nr. 2 des Umwelt-Rechtsbehelfsgesetzes (UmwRG) in einem Rechtsbehelfsverfahren nach § 7 Abs. 2 des UmwRG gem. § 7 Abs. 3 S. 1 des UmwRG mit allen Einwendungen ausgeschlossen ist, die sie im Rahmen der Auslegungsfrist nicht oder nicht rechtzeitig geltend gemacht hat, aber hätte geltend machen können (§ 3 Abs. 3 BauGB).

Verbandsgemeinde Südeifel
54673 Neuerburg, den 04.04.2024
( Siegel ), gez. Ursula Wilmsen
Erste Beigeordnete