Titel Logo
Mitteilungsblatt Südeifel
Ausgabe 16/2024
Amtliche Bekanntmachungen der Verbandsgemeinde
Zurück zur vorigen Seite
Zurück zur ersten Seite der aktuellen Ausgabe

Flächennutzungsplan der Verbandsgemeinde Südeifel

Änderung des Räumlichen Teilflächennutzungsplanes Neuerburg, Teilbereich Rodershausen Beteiligung der Öffentlichkeit gem. § 3 Abs. 2 Baugesetzbuch (BauGB)

Die Ortsgemeinde Rodershausen beabsichtigt die Aufstellung eines Bebauungsplanes für das Teilgebiet „Kapellenstraße“. Im laufenden Bauleitverfahren wurden die bisherigen erforderlichen bauplanungsrechtlichen Verfahrensschritte durch die Ortsgemeinde vollzogen. Mit der beabsichtigten Planung sollen die bauplanungsrechtlichen Voraussetzungen für die Entwicklung eines Allgemeinen Wohngebietes (§ 4 Baunutzungsverordnung (BauNVO) geschaffen werden. Der Flächennutzungsplan ist in einem Parallelverfahren durch die Verbandsgemeinde Südeifel anzupassen.

Die frühzeitige Unterrichtung der Öffentlichkeit gemäß § 3 Abs. 1 BauGB erfolgte durch öffentliche Auslegung der Planentwurfsunterlagen bei der Verwaltung in der Zeit vom 02.01.2024 bis einschließlich zum 01.02.2024. Die Öffentlichkeit wurde frühzeitig über die allgemeinen Ziele und Zwecke der Planung, sich wesentlich unterscheidende Lösungen, die für die Neugestaltung oder Entwicklung des Gebietes in Betracht kommen, und die voraussichtlichen Auswirkungen der Planung öffentlich unterrichtet. Die Behörden und sonstigen Träger öffentlicher Belange sowie die berührten benachbarten Gemeinden wurden gemäß § 4 Abs. 1 / § 2 Abs. 2 BauGB am Verfahren beteiligt.

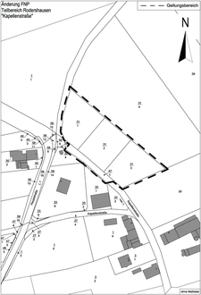
Der Geltungsbereich der Planänderung zum Flächennutzungsplan umfasst folgende Flurgrundstücke:

Gemarkung Rodershausen, Flur 7, Flurstücke: 31/1, 31/2, 31/3 sowie 67/1 (teilweise). Die genaue Abgrenzung des Geltungsbereiches ergibt sich aus dem dieser Bekanntmachung beigefügten Lageplan. Im Rahmen des laufenden bauplanungsrechtlichen Verfahrens beschloss der Verbandsgemeinderat Südeifel in seiner Sitzung vom 13.03.2024 die Auslegung des Planentwurfs gemäß § 3 Abs. 2 BauGB, sowie die Beteiligung der Behörden/Träger öffentlicher Belange/berührte benachbarte Gemeinden gemäß den §§ 4 Abs. 2 / § 2 Abs. 2 BauGB.

Die Entwurfsunterlagen zur Änderung des Flächennutzungsplanes (Planzeichnung, Begründung und bereits vorliegenden Stellungnahmen) stehen Ihnen während der Zeit vom 22.04.2024 bis einschließlich 22.05.2024 gemäß § 3 Abs. 2 BauGB auf der Internetseite der Verbandsgemeinde Südeifel (www.vg-suedeifel.de; Rubrik - Aktuelles - Bauleitplanverfahren - Öffentlichkeitsbeteiligungen) zur Verfügung und liegen gleichzeitig zur Einsichtnahme öffentlich in unserem Hause während der behördlichen Öffnungszeiten (vormittags: montags bis freitags, von 08.00 - 12.00 Uhr; nachmittags: montags bis mittwochs, von 14.00 - 16.00 Uhr und donnerstags von 14.00 - 18.00 Uhr) bei der Verbandsgemeindeverwaltung Südeifel, im Erdgeschoss des „Marienheims“ im Gesundheitszentrums Neuerburg, Bitburger Straße 15, 54673 Neuerburg aus.

Während des Auslegungszeitraumes vom 22.04.2024 bis einschließlich 22.05.2024 besteht die Gelegenheit zur Äußerung und Erörterung. Stellungnahmen können von Jedermann abgegeben werden. Diese sollen elektronisch übermittelt werden (E-Mail-Adresse: bauleitplanung@vg-suedeifel.de). Bei Bedarf können diese aber auch auf anderem Wege (schriftlich, per Fax Nr. 06564 - 69 – 11260 oder zur Niederschrift während der Öffnungszeiten der Verbandsgemeindeverwaltung bei der Verbandsgemeindeverwaltung Südeifel, im Erdgeschoss des „Marienheims“ im Gesundheitszentrums Neuerburg, Bitburger Straße 15, 54673 Neuerburg) abgegeben bzw. vorgebracht werden.

Folgende umweltbezogene Informationen liegen vor:

• Erläuterungsbericht Teil 2 – Umweltbericht mit allen gemäß Anlage 1 zu § 2 Abs. 4 BauGB und § 2 a BauGB zu beschreibenden und zu bewertenden Inhalten, so v. a.

- Landschaftsraum

- Umweltvorgaben – Schutzgebiete

- Entwicklung des Umweltzustandes bei Nichtdurchführung der Planung

- Umweltmaßnahmen und Umweltauswirkungen

- Umweltvarianten / Planalternative

- Umweltmonitoring

- Umweltverfahren

- Zusammenfassung

Thema / Charakterisierung: Umweltschutz und Landespflege

- Stellungnahme der Kreisverwaltung des Eifelkreises Bitburg-Prüm vom 26.01.2024

- Stellungnahme des Forstamtes Neuerburg vom 05.01.2024

- Stellungnahme des DLR Eifel vom 03.01.2024

Thema/Charakterisierung: Altablagerungen, Wasserschutzgebiete, Oberflächenent-wässerung, Abwasserbeseitigung, Schmutz- und Niederschlagswasser:

- Stellungnahme der Kreisverwaltung des Eifelkreises Bitburg-Prüm vom 26.01.2024

- Stellungnahme der SGD Nord Wasserwirtschaft vom 15.01.2024

Thema/Charakterisierung: Immissionsschutz und Einhaltung von Immissionsrichtwerten:

- Stellungnahme der Landwirtschaftskammer RLP vom 16.01.2024

Nicht fristgerechte abgegebene Stellungnahmen können bei der Beschlussfassung über den Bauleitplan unberücksichtigt bleiben.

Wir weisen darauf hin, dass eine Vereinigung im Sinne des § 4 Abs. 3 S. 1 Nr. 2 des Umwelt-Rechtsbehelfsgesetzes (UmwRG) in einem Rechtsbehelfsverfahren nach § 7 Abs. 2 des UmwRG gem. § 7 Abs. 3 S. 1 des UmwRG mit allen Einwendungen ausgeschlossen ist, die sie im Rahmen der Auslegungsfrist nicht oder nicht rechtzeitig geltend gemacht hat, aber hätte geltend machen können (§ 3 Abs. 3 BauGB).

Verbandsgemeinde Südeifel
54673 Neuerburg, den 10.04.2024
(Siegel)
gez. Ursula Wilmsen
Erste Beigeordnete