Titel Logo
Mitteilungsblatt Südeifel
Ausgabe 34/2025
Amtliche Bekanntmachungen der Ortsgemeinden
Zurück zur vorigen Seite
Zurück zur ersten Seite der aktuellen Ausgabe

Bekanntmachung

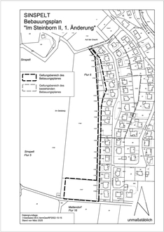
Bebauungsplan der Ortsgemeinde Sinspelt;

Aufstellung des Bebauungsplans für den Teilbereich „Im Steinborn II, 1. Änderung“

Bekanntmachung/In-Kraft-Treten gem. § 10 Abs. 3 Baugesetzbuch (BauGB)

Bekanntmachung im Mitteilungsblatt der Verbandsgemeinde Südeifel (Ausgabe 31/2025)

Hiermit wird die öffentliche Bekanntmachung der Ortsgemeinde Sinspelt bezüglich der Bekanntmachung/In-Kraft-Treten gem. § 10 Abs. 3 Baugesetzbuch (BauGB) des Satzungsbeschlusses der Ortsgemeinde Sinspelt, vom 01.08.2025, im Mitteilungsblatt Nr. 31/2025, Seiten 14 und 15 aufgehoben.

54675 Sinspelt, den 11.08.2025
Ortsgemeinde Sinspelt
(Siegel) gez. Leo Schuh
Ortsbürgermeister