Titel Logo
Mitteilungsblatt Südeifel
Ausgabe 34/2025
Amtliche Bekanntmachungen der Ortsgemeinden
Zurück zur vorigen Seite
Zurück zur ersten Seite der aktuellen Ausgabe

Bekanntmachung

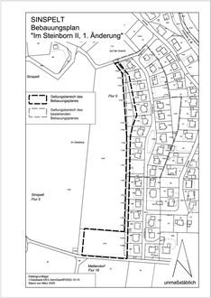
Bebauungsplan der Ortsgemeinde Sinspelt für den Ortsteilbereich „Im Steinborn II - 1, Änderung“;

Bekanntmachung/In-Kraft-Treten gem. § 10 Abs. 3 Baugesetzbuch (BauGB)

Der Gemeinderat hat mit Beschluss vom 09.07.2025 den Bebauungsplan „Im Steinborn II - 1. Änderung“ der Ortsgemeinde Sinspelt gemäß § 10 Abs. 1 BauGB als Satzung beschlossen; dies wird hiermit gem. § 10 Abs. 3 BauGB bekannt gegeben.

Die Begründung zum Bebauungsplan wurde vom Ortsgemeinderat Sinspelt ebenfalls in seiner Sitzung vom 09.07.2025 gebilligt.

Der Geltungsbereich der Satzung umfasst die Flurstücke 17/3 tlw., 17/8 tlw., 17/9 tlw., 17/10 tlw., 17/11 tlw., 17/12 tlw., 17/13 tlw., 17/27 tlw.,17/28 tlw., 17/29, 17/30, 17/31, 17/32, 17/34, 17/35, 17/36, 17/30, 17/40, 17/41, 17/42, 17/43, 17/44, 17/45, 17/46 und

17/47 tlw., Flur 5 der Gemarkung Sinspelt. Der genaue Geltungsbereich der Satzung ist in der dieser Bekanntmachung beigefügtem unmaßstäblichen Lageplan dargestellt.

Auf die Vorschriften des § 44 Abs. 3 Satz 1 und 2 BauGB, wonach ein Entschädigungsberechtigter Entschädigung verlangen kann, wenn die in den §§ 39 bis 42 BauGB bezeichneten Vermögensnachteile eingetreten sind und er die Fälligkeit des Anspruches dadurch herbeiführen kann, dass er die Leistung der Entschädigung schriftlich bei dem Entschädigungspflichtigem beantragt sowie auf § 44 Abs. 4 BauGB über die fristgemäße Geltendmachung etwaiger Entschädigungsansprüche bzw. das Erlöschen von Entschädigungsansprüchen wird hingewiesen. Ein Entschädigungsanspruch erlischt, wenn nicht innerhalb von drei Jahren nach Ablauf des Kalenderjahres, in dem die in

§ 44 Abs. 3 Satz 1 BauGB bezeichneten Vermögensnachteile eingetreten sind, die Fälligkeit des Anspruches herbeigeführt wird.

Des Weiteren wird darauf hingewiesen, dass die etwaige Verletzung von Vorschriften unbeachtlich werden, wenn sie

1.

eine nach § 214 Abs. 1 Satz 1 Nr. 1 bis 3 BauGB beachtliche Verletzung der dort bezeichneten Verfahrens- u. Formvorschriften,

2.

eine unter Berücksichtigung des § 214 Abs. 2 BauGB beachtliche Verletzung der Vorschriften über das Verhältnis der Satzung und des Flächennutzungsplanes und

3.

nach § 214 Abs. 3 Satz 2 BauGB beachtliche Mängel des Abwägungsvorgangs,

nicht innerhalb eines Jahres seit Bekanntmachung der Satzung schriftlich gegenüber der Ortsgemeinde Sinspelt unter Darlegung des die Verletzung begründenden Sachverhaltes geltend gemacht worden sind (§ 215 Abs. 1 BauGB).

Gemäß § 24 Abs. 6 der Gemeindeordnung für Rheinland-Pfalz (GemO) wird darauf hingewiesen, dass Satzungen, die unter Verletzung von Verfahrens- oder Formvorschriften gem. der GemO oder aufgrund der GemO zustande gekommen sind, ein Jahr nach der Bekanntmachung als von Anfang an gültig zustande gekommen gelten. Dies gilt nicht, wenn

1.

die Bestimmungen über die Öffentlichkeit der Sitzung, die Genehmigung, die Ausfertigung oder die Bekanntmachung der Satzung verletzt worden sind, oder

2.

vor Ablauf eines Jahres die Aufsichtsbehörde den Beschluss beanstandet oder jemand die Verletzung der Verfahrens- oder Formvorschrift gegenüber der Ortsgemeinde Sinspelt unter der Bezeichnung des Sachverhaltes, der die Verletzung begründen soll, schriftlich geltend gemacht hat.

Hat jemand eine Verletzung nach Nr. 2 geltend gemacht, so kann auch nach Ablauf eines Jahres jedermann diese Verletzung geltend machen.

Der Bebauungsplan mit der Begründung und der zusammenfassenden Erklärung nach § 10a Abs. 1 BauGB liegen bei der Verbandsgemeindeverwaltung Südeifel, Pestalozzistraße 7, 54673 Neuerburg, während der üblichen Dienststunden jederzeit zur Einsichtnahme bereit. Jedermann kann dieses Planwerk einsehen und über seinen Inhalt Auskunft verlangen (§ 10 Abs. 3 BauGB).

Mit der Bekanntmachung tritt der Bebauungsplan in Kraft; die Bekanntmachung tritt an die Stelle der sonst für Satzungen vorgeschriebenen Veröffentlichung (§ 10 Abs. 3 Sätze 4 und 5 BauGB).

54675 Sinspelt, den 11.08.2025
Ortsgemeinde Sinspelt
(Siegel) gez. Leo Schuh
Ortsbürgermeister