Titel Logo
Mitteilungsblatt Südeifel
Ausgabe 4/2025
Amtliche Bekanntmachungen der Ortsgemeinden
Zurück zur vorigen Seite
Zurück zur ersten Seite der aktuellen Ausgabe

Bekanntmachung der Ortsgemeinde Rodershausen

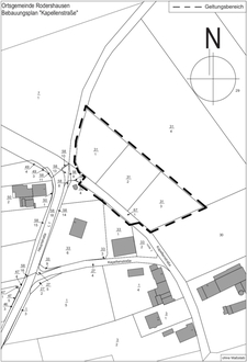
Aufstellung eines Bebauungsplanes der Ortsgemeinde Rodershausen für das Teilgebiet „Kapellenstraße“; Beteiligung der Öffentlichkeit gem. § 3 Abs. 2 BauGB

Die Ortsgemeinde Rodershausen beabsichtigt zur Ausweisung eines Wohnbaugebietes die Aufstellung eines Bebauungsplanes für das Teilgebiet „Kapellenstraße“. Im Rahmen des laufenden bauplanungsrechtlichen Verfahrens zur Aufstellung des Bebauungsplanes beschloss der Ortsgemeinderat in seiner Sitzung vom 16.12.2024 die Beteiligung der Öffentlichkeit gem. 3 Abs. 2 BauGB durchzuführen.

Der Bebauungsplan umfasst folgenden Geltungsbereich (Plangebiet): Gemarkung Rodershausen, Flur 7, Flurstücke:31/1, 31/2, 31/3 sowie 67/1 tlw. Die genaue Abgrenzung des Geltungsbereiches ist aus dem dieser Bekanntmachung beigefügtem Lageplan ersichtlich.

Für die Belange des Umwelt- u. Naturschutzes ist eine Umweltprüfung durchzuführen und ein Umweltbericht zu erstellen. Beides erfolgt parallel zum laufenden Bauleitplanverfahren.

Die Entwurfsunterlagen zum Bebauungsplan (Planunterlage, Textfestsetzungen, Begründung, Umweltbericht, Geruchsprognose, Lageplan) stehen Ihnen während der Zeit vom 27.01.2025 bis einschließlich 26.02.2025 gemäß § 3 Abs. 2 BauGB auf der Internetseite der Verbandsgemeinde Südeifel (unmittelbar auf der Startseite www.vg-suedeifel.de unter „Pläne & Karten“ {{gt}} Bauleitplanverfahren) zur Verfügung und liegen gleichzeitig zur Einsichtnahme öffentlich in unserem Hause während der behördlichen Öffnungszeiten (vormittags: montags bis freitags, von 08.00 - 12.00 Uhr; nachmittags: montags bis mittwochs, von 14.00 - 16.00 Uhr und donnerstags von 14.00 - 18.00 Uhr) bei der Verbandsgemeindeverwaltung Südeifel, im Erdgeschoss des „Marienheims“ im Gesundheitszentrums Neuerburg, Bitburger Straße 15, 54673 Neuerburg aus.

Während des Auslegungszeitraumes vom 27.01.2025 bis einschließlich 26.02.2025 können von Jedermann Stellungnahmen abgegeben werden. Diese sollen elektronisch übermittelt (E-Mail-Adresse: bauleitplanung@vg-suedeifel.de) oder bei Bedarf auch auf anderem Wege (schriftlich, per Fax Nr. 06564 - 69 – 11260 oder zur Niederschrift während der Öffnungszeiten der Verbandsgemeindeverwaltung bei der Verbandsgemeindeverwaltung Südeifel, im Erdgeschoss des „Marienheims“ im Gesundheitszentrums Neuerburg, Bitburger Straße 15, 54673 Neuerburg) abgegeben bzw. vorgebracht werden.

Folgende umweltbezogene Informationen/Stellungnahmen liegen vor:

  • Begründung Teil 2 – Umweltbericht mit allen gemäß Anlage 1 zu § 2 Abs. 4 BauGB und § 2 a BauGB zu beschreibenden und zu bewertenden Inhalten, so v. a.

-

Landschaftsraum

-

Umweltvorgaben – Schutzgebiete

-

Entwicklung des Umweltzustandes bei Nichtdurchführung der Planung

-

Umweltmaßnahmen und Umweltauswirkungen

-

Umweltvarianten / Planalternative- Umweltmonitoring

-

Umweltverfahren

-

Zusammenfassung

  • Thema / Charakterisierung: Umweltschutz und Landespflege

Stellungnahme der Kreisverwaltung des Eifelkreises Bitburg-Prüm vom 14.02.2023 sowie

Stellungnahme des Forstamtes Neuerburg vom 19.01.2023 sowie

Stellungnahme des DLR Eifel vom 10.01.2023

  • Thema/Charakterisierung: Altablagerungen, Wasserschutzgebiete, Oberflächenent-wässerung, Abwasserbeseitigung, Schmutz- und Niederschlagswasser:
    Stellungnahme der Kreisverwaltung des Eifelkreises Bitburg-Prüm vom 14.02.2023 sowie

Stellungnahme der SGD Nord Wasserwirtschaft vom 06.02.2023 sowie

Stellungnahme der Südeifel - Werke vom 16.01.2023

  • Thema/Charakterisierung: Immissionsschutz und Einhaltung von Immissionsrichtwerten:
    Stellungnahme der Landwirtschaftskammer RLP vom 14.02.2023 sowie

Stellungnahme der Struktur- und Genehmigungsdirektion SGD Nord Gewerbeaufsicht vom 27.01.2023 sowie

Geruchsprognose durch das Ingenieurbüro ACCON, Greifenberg, mit Stand vom 24.10.2024

54673 Rodershausen, den 14.01.2025
Ortsgemeinde Rodershausen
( Siegel ) gez.
Kevin Kalbusch
Ortsbürgermeister