Titel Logo
Amtsblättje - Rund um den Hochkelberg
Ausgabe 2/2023
Aus den Ortsgemeinden
Zurück zur vorigen Seite
Zurück zur ersten Seite der aktuellen Ausgabe

Satzung der Ortsgemeinde Gunderath vom 22.11.2022 zur Aufhebung einer Teilfläche der Wegeparzelle Gemarkung Gunderath, Flur 1, Flurstück Nr. 91/1, „Auf dem Sassener Berg“

Der Ortsgemeinderat von Gunderath hat am 22.11.2022 aufgrund des § 24 der Gemeindeordnung für Rheinland-Pfalz (GemO) in der derzeit geltenden Fassung die folgende Satzung beschlossen, die hiermit bekannt gemacht wird:

§ 1

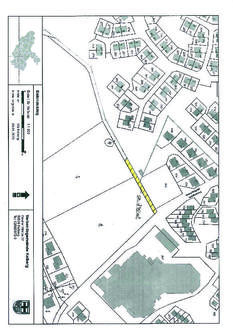
Eine ca. 340 m² große Teilfläche der Wegeparzelle in der Gemarkung Gunderath, Flur 1, Flurstück Nr. 91/1, „Auf dem Sassener Berg“, groß 1.252m² ist für den öffentlichen Fuß- und Fahrzeugverkehr bedeutungslos geworden.

Die Teilfläche hat ihre Bedeutung als Wirtschaftsweg verloren und wird aufgehoben.

Der beiliegende Auszug aus der Flurkarte ist Bestandteil dieser Satzung.

§ 2

Diese Satzung tritt am Tage nach ihrer öffentlichen Bekanntmachung in Kraft.

54552 Gunderath, den 22.11.2022
Ortsgemeinde Gunderath
(DS)
gez. Robert Dogterom
Ortbürgermeister

Hinweis:

Nach § 24 Abs. 6 der Gemeindeordnung für Rheinland-Pfalz (GemO) gelten Satzungen, die unter Verletzungen von Verfahrens- und Formvorschriften der GemO zustande gekommen sind, ein Jahr nach der Bekanntmachung als von Anfang an gültig zustande gekommen.

Die gilt nicht, wenn

1.

Bestimmungen über die Öffentlichkeit der Sitzung, die Genehmigung, die Ausfertigung oder die Bekanntmachung der Satzung verletzt worden sind,

oder

2.

vor Ablauf der in Satz 1 genannten Frist die Aufsichtsbehörde den Beschluß beanstandet oder jemand die Verletzung der Verfahrens- oder Formvorschriften gegenüber der Gemeindeverwaltung unter Bezeichnung des Sachverhaltes, der die Verletzung begründen soll, schriftlich geltend gemacht hat.

Hat jemand eine Verletzung nach § 2 Nr. 2 geltend gemacht, so kann auch nach Ablauf der in Satz 1 genannten Frist jedermann diese Verletzung geltend machen.