Titel Logo
Amtsblättje - Rund um den Hochkelberg
Ausgabe 20/2024
Aus den Ortsgemeinden
Zurück zur vorigen Seite
Zurück zur ersten Seite der aktuellen Ausgabe

Öffentliche Bekanntmachung

über den Satzungsbeschluss sowie das Inkrafttreten der 3. Änderung des Bebauungsplanes „Auf Sickert“ der Ortsgemeinde Mannebach und über den Ort und die Zeit der Einsichtnahme des Bebauungsplanes gemäß § 10 Abs. 3 des Baugesetzbuches (BauGB) vom 03.11.2017 (BGBl. I S. 3634), in der derzeit geltenden Fassung

I. Satzungsbeschluss

Der Ortsgemeinderat der Ortsgemeinde Mannebach hat am 30.04.2024 in öffentlicher Sitzung die 3. Änderung des Bebauungsplanes „Auf Sickert“ gemäß § 10 Abs. 1 des Baugesetzbuches (BauGB) als Satzung beschlossen.

II. Geltungsbereich

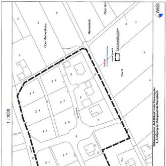
Der räumliche Geltungsbereich des Bebauungsplanes liegt in der Gemarkung Mannebach, Flur 9. Der Geltungsbereich ist in dem nachstehend abgedruckten, verkleinerten Übersichtsplan, der Bestandteil dieser öffentlichen Bekanntmachung ist, durch eine gestrichelte Linie umgrenzt.

III. Auslegung

Die 3. Änderungsplan zum Bebauungsplan "Auf Sickert“ einschließlich Textfestsetzungen und Begründung, liegt ab dem Tage der Bekanntmachung bei der Verbandsgemeindeverwaltung Kelberg, Bauabteilung - Zimmer 218, 53539 Kelberg, Dauner Straße 22, während der allgemeinen Dienststunden (montags bis donnerstags von 8.00 Uhr bis 12.00 Uhr und von 14.00 Uhr bis 16.00 Uhr sowie freitags von 08.00 Uhr bis 12.30 Uhr) zur Einsichtnahme aus. Jeder kann über den Inhalt der Planung Auskunft verlangen.

IV. Inkrafttreten

Gemäß § 10 Abs. 3 BauGB tritt der Bebauungsplan „Auf Sickert“ der Ortsgemeinde Mannebach mit dieser Bekanntmachung in Kraft.

V. Fälligkeit und Erlöschen von Entschädigungsansprüchen

Auf die Vorschriften des § 44 Abs. 3 Sätze 1 und 2 sowie Abs. 4 BauGB wird hingewiesen. Hiernach können Entschädigungsberechtigte Entschädigungen verlangen, wenn die in den §§ 39 - 42 BauGB bezeichneten Vermögensnachteile eingetreten sind. Die Fälligkeit des Anspruchs kann dadurch herbeigeführt werden, dass die Leistung der Entschädigung schriftlich bei dem Entschädigungspflichtigen beantragt wird. Ein Entschädigungsanspruch erlischt, wenn nicht innerhalb von drei Jahren nach Ablauf des Kalenderjahres, in dem die in § 44 Abs. 3 Satz 1 BauGB bezeichneten Vermögensnachteile eingetreten sind, die Fälligkeit des Anspruchs herbeigeführt wird.

VI. Frist für die Geltendmachung der Verletzung von Verfahrens- und Formvorschriften sowie von Mängeln der Abwägung

Gemäß § 215 Abs. 1 Satz 1 BauGB wird darauf hingewiesen, dass

  1. eine nach § 214 Abs. 1 Satz 1 Nr. 1 bis 3 BauGB beachtliche Verletzung der dort bezeichneten Verfahrens- und Formvorschriften,
  2. eine unter Berücksichtigung des § 214 Abs. 2 BauGB beachtliche Verletzung der Vorschriften über das Verhältnis des Bebauungsplanes und des Flächennutzungsplanes und
  3. nach § 214 Abs. 3 Satz 2 BauGB beachtliche Mängel des Abwägungsvorganges unbeachtlich werden,

wenn sie nicht innerhalb eines Jahres seit dieser Bekanntmachung der Satzung schriftlich gegenüber der Ortsgemeinde Mannebach unter Darlegung des die Verletzung begründenden Sachverhaltes geltend gemacht worden sind. § 215 Abs. 1 Satz 1 gilt entsprechend, wenn Fehler nach § 214 Abs. 2a beachtlich sind.

Es wird darauf hingewiesen, dass gemäß § 24 Abs. 6 der Gemeindeordnung für Rheinland-Pfalz -GemO- vom 31.01.1994 (GVBl. S. 153) in der derzeit geltenden Fassung, Satzungen, die unter Verletzung von Verfahrens- oder Formvorschriften der GemO oder aufgrund dieser zustande gekommen sind, gelten ein Jahr nach der Bekanntmachung als von Anfang an gültig zustande gekommen.

Dies gilt nicht, wenn

1.

die Bestimmungen über die Öffentlichkeit der Sitzung, die Genehmigung, die Ausfertigung oder die Bekanntmachung der Satzung verletzt worden sind

oder

2.

vor Ablauf der in Satz 1 genannten Frist die Aufsichtsbehörde den Beschluss beanstandet oder jemand die Verletzung von Verfahrens- und Formvorschriften gegenüber der Ortsgemeinde Mannebach unter Bezeichnung des Sachverhaltes, der die Verletzung begründen soll, schriftlich geltend gemacht hat.

Hat jemand eine Verletzung nach Satz 2 Nr. 2 geltend gemacht, so kann auch nach Ablauf der in Satz 1 genannten Frist jedermann diese Verletzung geltend machen.

Ortsgemeinde Mannebach
Mannebach, den 13.05.2024
Walter Eich, Ortsbürgermeister