Titel Logo
Amtsblättje - Rund um den Hochkelberg
Ausgabe 36/2022
Aus den Ortsgemeinden
Zurück zur vorigen Seite
Zurück zur ersten Seite der aktuellen Ausgabe

Öffentliche Bekanntmachung 1. Änderung des Bebauungsplanes „Heilbachsee“

1. Planaufstellungsbeschluss gemäß § 2 Abs. 1 Baugesetzbuch (BauGB):

Der Gemeinderat der Ortsgemeinde Sassen hat in seiner Sitzung am 01.03.2022 den Planaufstellungsbeschluss zur 1. Änderung des Bebauungsplanes „Heilbachsee“ beschlossen. Die Änderung dient der Schaffung der planungsrechtlichen Voraussetzungen für die baulichen und sonstigen Vorhaben im gesamten Ferienpark. Folgende städtebauliche Leitziele werden insbesondere verfolgt:

umfassende Gebäuderenovierungen,

umfassende Sanierung zentraler Einrichtungen sowie

Anpassung der Parkinfrastruktur, insbesondere im Bereich An- und Abreise.

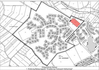
Die Abgrenzung des Plangebietes kann dem beigefügten Planausschnitt (Anlage), welcher Bestandteil der öffentlichen Bekanntmachung ist, entnommen werden. Der Geltungsbereich erfasst den Teil des Ferienparks der Ortsgemeinde Sassen. Als Art der baulichen Nutzung ist ein Sondergebiet mit der Zweckbestimmung „Ferienpark“ (SO) nach § 10 Baunutzungsverordnung festgesetzt.

Nach § 2 Abs. 1 S. 2 BauGB wird der Planaufstellungsbeschluss hiermit öffentlich bekannt gemacht.

2. Frühzeitige Beteiligung der Öffentlichkeit gemäß § 3 Abs. 1 BauGB:

In seiner Sitzung am 01.03.2022 hat der Gemeinderat der Ortsgemeinde Sassen ferner den Planentwurf angenommen, so dass gem. § 3 Abs. 1 BauGB die Öffentlichkeit möglichst frühzeitig über die allgemeinen Ziele und Zwecke der Planung, sich wesentlich unterscheidende Lösungen, die für die Neugestaltung oder Entwicklung eines Gebiets in Betracht kommen, und die voraussichtlichen Auswirkungen der Planung öffentlich unterrichtet werden kann.

Das Verfahren zur Beteiligung der Öffentlichkeit nach § 3 Abs. 1 BauGB wird in Form einer öffentlichen Auslegung der Planunterlagen durchgeführt. Aus diesem Grund wird hiermit öffentlich bekannt gemacht, dass der Entwurf der 1. Änderung des Bebauungsplanes „Heilbachsee“, einschließlich Textfestsetzungen, Begründung und dem Umweltbericht mit integriertem Fachbeitrag Naturschutz und artenschutzrechtlicher Potentialanalyse in der Zeit vom

09. September 2022 bis einschl. 10. Oktober 2022

bei der Verbandsgemeindeverwaltung Kelberg, Rathaus, Dauner Str. 22, Abteilung 1 Organisation und Bauen, Zimmer 218, öffentlich ausgelegt wird und zu folgenden Zeiten eingesehen werden kann:

Montag - Mittwoch:

08:30 Uhr - 12:00 Uhr und 14:00 bis 16:00 Uhr

Donnerstag:

08:30 Uhr - 12:00 Uhr und 14:00 bis 18:00 Uhr

Freitag:

08:30 Uhr - 12:30 Uhr

Es besteht ferner die Möglichkeit, ab sofort die Unterlagen im PDF-Format auf der Internetseite der Verbandsgemeinde Kelberg (www.vgv-kelberg.de) unter der Rubrik „Aktuelles: - 1. Änderung des Bebauungsplanes „Heilbachsee“ Sassen“ einzusehen.

Während der Auslegungsfrist wird über die Ziele und Zwecke der Planung sowie deren voraussichtliche Auswirkungen unterrichtet und Gelegenheit zur Äußerung und Erörterung gegeben. Anregungen zum Planentwurf während der vorgenannten Auslegungsfrist können schriftlich (Verbandsgemeindeverwaltung Kelberg, Dauner Straße 22, 53539 Kelberg), mündlich zur Niederschrift oder per E-Mail an Rathaus@vgv-kelberg.de abgegeben werden.

Sassen, den 08.09.2022
Ortsgemeinde Sassen
gez. Werner Nohner
Ortsbürgermeister