Titel Logo
Amtsblättje - Rund um den Hochkelberg
Ausgabe 42/2023
Aus den Ortsgemeinden
Zurück zur vorigen Seite
Zurück zur ersten Seite der aktuellen Ausgabe

Bauleitplanung der Ortsgemeinde Kelberg

Aufstellung des Bebauungsplanes „Hinter dem Hermes“

Bekanntmachung nach § 3 Abs. 1 BauGB

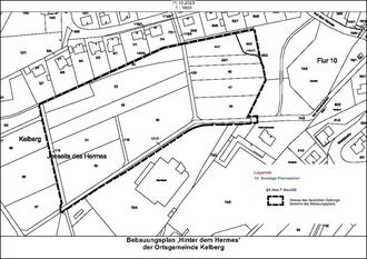
Der Ortsgemeinderat von Kelberg beabsichtigt die Aufstellung des Bebauungsplanes „Hinter dem Hermes“ zur Neuausweisung weiterer Wohnbauflächen in Kelberg. Die Abgrenzung des räumlichen Geltungsbereiches des Bebauungsplanes kann dem beigefügten Planausschnitt entnommen werden.

Frühzeitige Beteiligung der Öffentlichkeit nach § 3 Abs. 1 BauGB:

In seiner Sitzung am 19.07.2022 hat der Ortsgemeinderat den finalen Planentwurf gebilligt, sodass gem. § 3 Abs. 1 BauGB ist die Öffentlichkeit möglichst frühzeitig über die allgemeinen Ziele und Zwecke der Planung, sich wesentlich unterscheidende Lösungen, die für die Neugestaltung oder Entwicklung eines Gebiets in Betracht kommen, und die voraussichtlichen Auswirkungen der Planung, öffentlich unterrichtet werden kann. Der Entwurf des Bebauungsplanes „Hinter dem Hermes“, einschließlich Textfestsetzungen und Begründung, der Fachbeitrag Naturschutz, die schalltechnische Untersuchungen sowie der Entwurf des Umweltberichtes liegen ab sofort bis zum 17. November 2023 während der allgemeinen Dienststunden bei der Verbandsgemeindeverwaltung Kelberg, Rathaus, Dauner Str. 22, Bauabteilung, Zimmer 218, zu jedermanns Einsicht öffentlich aus.

Während der Auslegungsfrist können von jedermann Stellungnahmen zum Planentwurf bei der Verbandsgemeindeverwaltung Kelberg abgegeben werden (z.B. per Schreiben auf dem Postwege oder durch Abgabe bei der Verwaltung, zur Niederschrift, per Fax, per E-Mail, usw.).

Nicht fristgerecht abgegebene Stellungnahmen können bei der Beschlussfassung über den Bebauungsplan unberücksichtigt bleiben. Des weiteren ist ein Antrag nach § 47 der Verwaltungsgerichtsordnung unzulässig, soweit mit ihm Einwendungen geltend gemacht werden, die vom Antragsteller im Rahmen der Auslegung nicht oder verspätet geltend gemacht wurden, aber hätten geltend gemacht werden können. Diese Auslegung erfolgt unabhängig von der noch durchzuführenden Offenlegung gem. § 3 Abs. 2 BauGB. Es wird weiterhin darauf hingewiesen, dass ergänzend zur vorstehend bekannt gemachten Auslegung die ausgelegten Unterlagen während des Zeitraums der Auslegung auch auf der Internetseite der Verbandsgemeinde Kelberg (www.vgv-kelberg.de) unter der Rubrik „Aktuelles“ in elektronischer Form verfügbar sind und eingesehen werden können.

Für die Rechtmäßigkeit und Vollständigkeit der Auslegung ist ausschließlich die hiermit bekannt gemachte Auslegung bei der Verbandsgemeindeverwaltung Kelberg, Dauner Str. 22, Zimmer 218, maßgeblich.

Ortsgemeinde Kelberg
Kelberg, den 16.10.2023
Wilhelm Jonas, Ortsbürgermeister