Titel Logo
Amtsblättje - Rund um den Hochkelberg
Ausgabe 49/2025
Aus den Ortsgemeinden
Zurück zur vorigen Seite
Zurück zur ersten Seite der aktuellen Ausgabe

Satzung der Ortsgemeinde Kelberg vom 26.11.2025 zur Aufhebung einer Teilfläche der Wegeparzelle Gemarkung Kelberg, Blatt 800, Flur 12, Flurstück-Nr. 136/3

Der Ortsgemeinderat von Kelberg hat aufgrund des § 24 der Gemeindeordnung (GemO) in der jeweils geltenden Fassung am 18.11.2025 folgende Satzung beschlossen, die hiermit bekannt gemacht wird:

§ 1

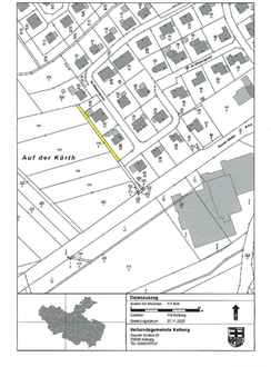
Eine ca. 253 m² große Teilfläche der Wegeparzelle in der Gemarkung Kelberg, Flur 12, Flurstück-Nr. 136/3, Auf der Kürth, groß 373 m² ist für den öffentlichen Fuß- und Fahrzeugverkehr bedeutungslos geworden. Die Teilfläche hat ihre Bedeutung als Wirtschaftsweg verloren und wird aufgehoben. Der beiligende Auszug aus der Flurkarte ist Bestandteil dieser Satzung.

§ 2

Diese Satzung tritt am Tage nach ihrer öffentlichen Bekanntmachung in Kraft.

Kelberg, den 26.11.2025
gez. Hoffmann, Ortsbürgermeister
(DS)

Hinweis:

Nach § 24 Abs. 6 der Gemeindeordnung für Rheinland-Pfalz (GemO), gelten Satzungen, die unter Verletzung von Verfahrens- oder Formvorschriften der GemO zustande gekommen sind, ein Jahr nach der Bekanntmachung als von Anfang an gültig zustande gekommen.

Dies gilt nicht, wenn

  1. Bestimmungen über die Öffentlichkeit der Sitzung, die Genehmigung, die Ausfertigung oder die Bekanntmachung der Satzung verletzt worden sind, oder
  2. vor Ablauf der in Satz 1 genannten Frist die Aufsichtsbehörde den Beschluss beanstandet oder jemand die Verletzung der Verfahrens- oder Formvorschriften gegenüber der Gemeindeverwaltung unter Bezeichnung des Sachverhaltes, der die Verletzung begründen soll, schriflich geltend gemacht hat.

Hat jemand die Verletzung nach Satz 2 Nr. 2 geltend gemacht, so kann auch nach Ablauf der in Satz 1 genannten Frist jedermann diese Verletzung geltend machen.