Titel Logo
Amtsblättje - Rund um den Hochkelberg
Ausgabe 8/2025
Aus den Ortsgemeinden
Zurück zur vorigen Seite
Zurück zur ersten Seite der aktuellen Ausgabe

Öffentliche Bekanntmachung

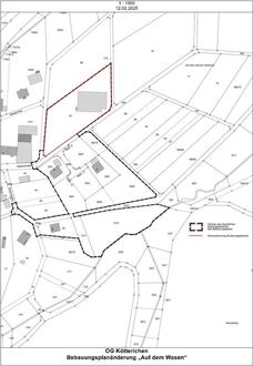
1. Änderung des Bebauungsplanes

„Auf dem Wasen“

Planaufstellungsbeschluss und frühzeitige Beteiligung

Der Ortsgemeinderat von Kötterichen hat in seiner Sitzung am 21.10.2024 den Beschluss zur Aufstellung der 1. Änderung des Bebauungsplanes „Auf dem Wasen“ gefasst, um das förmliche Planaufstellungsverfahren einzuleiten. Darüber hinaus wurde der Vorentwurf anerkannt sowie die frühzeitige Beteiligung der Öffentlichkeit in Form einer öffentlichen Auslegung des Bebauungsplanentwurfes gemäß § 3 Abs. 1 BauGB beschlossen.

Geltungsbereich

Der vorgesehene Geltungsbereich des Bebauungsplanes liegt in der Gemarkung Kötterichen Flur 2, Flurstücke 67 und ist in der nachfolgenden, unmaßstäblichen Plankarte durch rote Linie umgrenzt (siehe Anlage).

Planungsziele

Ziel der Planung ist die Absicherung räumlicher Erweiterungsoptionen eines ortsansässigen Handwerksbetriebes einschl. der Wahrung der städtebaulichen Ordnung.Der Planaufstellungsbeschluss wird hiermit gemäß § 2 Abs. 1 BauGB öffentlich bekannt gemacht.

Auslegungsdauer

Der Vorentwurf des Bebauungsplanes (Planzeichnung, Textfestsetzung, Umweltbericht sowie Begründung) ist gemäß § 3 Abs. 1 BauGB

in der Zeit vom 21.02.2025 bis 24.03.2025

zu jedermanns Einsicht im Internet unter der Rubrik „Aktuelles“ in elektronischer Form verfügbar.

Zudem kann der Vorentwurf bei der Verbandsgemeindeverwaltung Kelberg während der allgemeinen Dienststunden im Zimmer 117 eingesehen werden.

Stellungnahmen können schriftlich, mündlich zur Niederschrift oder per E-Mail an: bauleitplanung@vgv-kelberg.de eingereicht werden.

Nicht fristgerecht abgegebene Stellungnahmen können bei der Beschlussfassung über den Bebauungsplan unberücksichtigt bleiben.

Ortsgemeinde Kötterichen
Kelberg, den 12.02.2025
Franz Josef Jax, Ortsbürgermeister