Titel Logo
Islek aktuell VG Arzfeld
Ausgabe 24/2023
Amtliche Bekanntmachungen und Mitteilungen der Ortsgemeinden
Zurück zur vorigen Seite
Zurück zur ersten Seite der aktuellen Ausgabe

Bekanntmachung Aufstellung einer Klarstellungs- und Ergänzungssatzung für den Bereich „Tannenweg“ gemäß § 34 Abs. 4 Satz 1 Nr. 1 und Nr. 3 Baugesetzbuch (BauGB)

Aufstellung einer Klarstellungs- und Ergänzungssatzung für den Bereich „Tannenweg“ gemäß § 34 Abs. 4 Satz 1 Nr. 1 und Nr. 3 Baugesetzbuch (BauGB)

Öffentliche Auslegung des Entwurfs gemäß § 34 Absatz 6 Satz 1 BauGB i.V.m. § 13 Absatz 2 BauGB i.V.m. § 3 Absatz 2 BauGB

Beschluss über die Aufstellung einer Satzung:

Der Ortsgemeinderat Euscheid hat in seiner Sitzung am 29. März 2023 die Aufstellung der Klarstellung- und Ergänzungssatzung „Tannenweg“ beschlossen. Gemäß § 2 Absatz 1 BauGB wird hiermit der Aufstellungsbeschluss öffentlich bekannt gemacht

Zweck der Aufstellung der Satzung:

Mit der Satzung soll die rechtliche Grundlage zur Ausweisung von einer Wohnbaufläche in der Ortsmitte der Ortsgemeinde Euscheid geschaffen werden.

Das Flurstück Gemarkung Euscheid, Flur 2, Flurstück-Nr.: 714/78, soll in Teilbereichen durch die Änderung der Satzung dem Innenbereich zugeschlagen werden.

Bisher wird die Fläche teilweise von der vorhandenen Klarstellungssatzung erfasst- Die Restfläche der vor genannten Parzelle soll durch den Erlass der Ergänzungssatzung dem Innenbereich zugeschlagen werden.

Aus den konkreten durch die Satzung baurechtlich vorbereitenden Baumaßnahmen ergeben sich gem. § 14 Bundesnaturschutzgesetz (BNatSchG) „Veränderungen der Gestalt oder Nutzung von Grundflächen oder Veränderungen des mit der belebten Bodenschicht in Verbindung stehenden Grundwasserspiegels, die die Leistungs- und Funktionsfähigkeit des Naturhaushalts oder das Landschaftsbild erheblich beeinträchtigen können.“

Gemäß §§ 1a und 34 Abs. 4 BauGB ist für die einbezogenen bisherigen Außengebietsflächen der Bestand zu ermitteln und zu bewerten. Es ist darzulegen, wie Beeinträchtigungen von Natur und Landschaft vermieden oder unvermeidbare Beeinträchtigungen ausgeglichen oder beeinträchtigte Landschaftsfunktionen ersetzt werden können. Diese Abhandlung ist als landschaftspflegerischer Begleitplan in die Planunterlagen integriert.

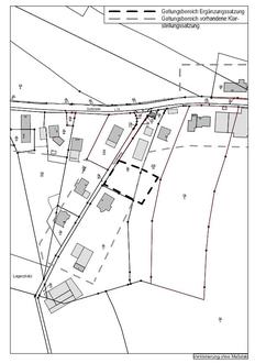
Der räumliche Geltungsbereich des von der Ergänzungssatzung betroffenen Grundstückes ist in der beiliegenden Karte (unmaßstäbliche Verkleinerung) abgedruckt:

Beteiligung der Öffentlichkeit und öffentliche Auslegung der Planunterlagen:

Der Ortsgemeinderat Euscheid hat den Beschluss gefasst, die öffentliche Auslegung gemäß § 34 Absatz 6 Satz 1 BauGB i.V.m. § 13 Abs. 2 Nr. 2 BauGB i.V.m. § 3 Abs. 2 BauGB sowie die Beteiligung der berührten Behörden und sonstigen Träger öffentlicher Belange gemäß § 34 Absatz 6 Satz 1 BauGB i.V.m. § 13 Abs. 2 Nr. 3 BauGB i.V.m. § 4 Abs. 2 BauGB durchzuführen.

Der Entwurf zur Klarstellungs- und Ergänzungssatzung „Tannenweg“ einschließlich den dazugehörigen Erläuterungen liegt in der Zeit vom

27. Juni 2023 bis einschließlich 28. Juli 2023

bei der Verbandsgemeindeverwaltung Arzfeld, Luxemburger Straße 6, Zimmer 58, 54687 Arzfeld, während der Dienststunden (montags bis freitags 08:00 Uhr bis 12:00 Uhr, montags bis mittwochs 14:00 Uhr bis 16:00 Uhr und donnerstags 14:00 Uhr bis 18:00 Uhr) zu jedermanns Einsicht nach Terminabsprache öffentlich aus.

Während der Auslegungszeiten kann sich die Öffentlichkeit nach Terminabsprache über die allgemeinen Ziele und Zwecke sowie die wesentlichen Auswirkungen der Planung unterrichten lassen. Außerdem können von jedermann Anregungen zum Entwurf der Satzung schriftlich oder während der Dienstzeiten nach Terminabsprache zur Niederschrift vorgebracht werden.

Des Weiteren kann der Entwurf zur Klarstellungs- und Ergänzungssatzung „Tannenweg“ einschließlich den dazugehörigen Erläuterungen während des Auslegungszeitraums auf der Homepage der Verbandsgemeinde Arzfeld unter dem Link:

https://www.vg-arzfeld.de/rathaus/buergerservice/bauen/bauleitplanung

eingesehen werden.

Nicht fristgerecht abgegebene Stellungnahmen können bei der Beschlussfassung über die Klarstellungs- und Ergänzungssatzung „Tannenweg“ unberücksichtigt bleiben.

54597 Euscheid
Rainer Probst, Ortsbürgermeister