Titel Logo
Mitteilungsblatt VG Daun
Ausgabe 13/2023
Amtliche Bekanntmachungen und Mitteilungen für die Ortsgemeinden und die Stadt
Zurück zur vorigen Seite
Zurück zur ersten Seite der aktuellen Ausgabe

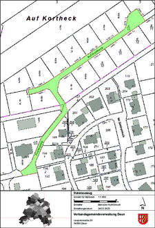
Widmung von Gemeindestraßen

Aufgrund Beschlusses des Ortsgemeinderats Gillenfeld am 15.03.2023 wird gemäß § 36 des Landesstraßengesetzes für Rheinland-Pfalz in der zzt. gültigen Fassung, die Straße innerhalb des Geltungsbereichs des Bebauungsplans

- „Auf Kortheck“ (Gemarkung Gillenfeld, Flur 13 Nr. 6/15, Flur 12 Nr.: 156/1 und 157/4 jeweils teilweise)

dem öffentlichen Verkehr gewidmet und erhält die Eigenschaft einer öffentlichen Gemeindestraße. Die Widmung bezieht sich auf die in dem Lageplan dargestellte Straße. Der Lageplan ist Bestandteil dieser Verfügung.

Rechtsbehelfsbelehrung

Gegen diese Verfügung kann innerhalb eines Monats nach Bekanntgabe Widerspruch erhoben werden. Der Widerspruch ist bei der Verbandsgemeindeverwaltung Daun, Leopoldstraße 29, 54550 Daun, einzulegen. Der Widerspruch kann

1.

schriftlich oder zu Niederschrift bei der Verbandsgemeindeverwaltung Daun, Leopoldstraße 29, 54550 Daun,

2.

in elektronischer Form nach § 3 a Abs. 2 des Verwaltungsverfahrensgesetzes an: vg.daun@poststelle.rlp.de

erhoben werden.

Daun, den 23.03.2023
Namens und im Auftrag der Ortsgemeinde Gillenfeld
Verbandsgemeindeverwaltung Daun
gez. (Scheppe) (LS)
Bürgermeister