Titel Logo
Amtsblatt VG Ruwer
Ausgabe 17/2023
Amtliche Bekanntmachungen und Mitteilungen der Ortsgemeinden
Zurück zur vorigen Seite
Zurück zur ersten Seite der aktuellen Ausgabe

Bekanntmachung

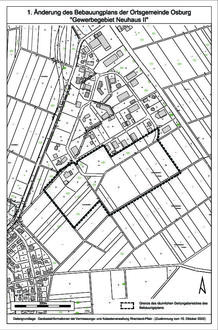
des Aufstellungsbeschlusses für den Bebauungsplan, Teilgebiet „Gewerbegebiet Neuhaus II - 1. Änderung“

Der Gemeinderat Osburg hat in der Sitzung am 13.04.2023 die Aufstellung des Bebauungsplans, Teilgebiet „GE Neuhaus II - 1. Änderung“ beschlossen und den Bebauungsplanentwurf gebilligt.

Durch die Änderung des Bebauungsplanes werden keine zusätzlichen Flächen ausgewiesen, es ist lediglich eine Neuordnung der gewerblichen Flächen sowie eine Anpassung an geänderte Rahmenbedingungen geplant. Ein Großteil der betroffenen Grundstücksflächen wurde an einen Investor veräußert. Dieser plant einen nachhaltigen Betriebsstandort inkl. Photovoltaikflächen. Aufgrund dessen ist die Neuplanung mit geänderter Erschließung erforderlich.

Der geplante Geltungsbereich des Bebauungsplans ist im nachstehend abgedruckten Auszug aus der Flurkarte kenntlich gemacht.

Gemäß § 2 Absatz 1 Baugesetzbuch (BauGB) in der zurzeit geltenden Fassung, wird der Beschluss über die Aufstellung des Bebauungsplans hiermit öffentlich bekannt gemacht.

Zur Information der Öffentlichkeit liegt der Bebauungsplanentwurf, nebst Begründung, Textfestsetzungen, Umweltbericht und Entwässerungskonzept im Rahmen der frühzeitigen Öffentlichkeitsbeteiligung gem. § 3 Abs. 1 Baugesetzbuch (BauGB) in der Zeit vom 08.05.2023 bis einschließlich 09.06.2023 zu jedermanns Einsicht bei der Verbandsgemeindeverwaltung Ruwer, Untere Kirchstr. 1, 54320 Waldrach, Zimmer 208, während der Dienststunden aus. Während dieser Zeit können Stellungnahmen zum Planentwurf abgegeben werden.

Die Bekanntmachung sowie die o. g. Unterlagen sind gem. § 4a Abs. 4 BauGB unter der Internet-Adresse www.ruwer.de - Bauen & Wirtschaft - Planverfahren - Osburg, ab dem 28.04.2023 veröffentlicht.

Osburg, den 24.04.2023
Andreas Dewald, Ortsbürgermeister