Titel Logo
Amtsblatt VG Ruwer
Ausgabe 17/2024
Amtliche Bekanntmachungen und Mitteilungen der Ortsgemeinden
Zurück zur vorigen Seite
Zurück zur ersten Seite der aktuellen Ausgabe

Bekanntmachung

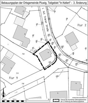
des Aufstellungsbeschlusses über die 3. Änderung des Bebauungsplanes, Teilgebiet „In Kellert“ gem. § 13a Baugesetzbuch (BauGB)

Der Gemeinderat Pluwig hat in der Sitzung am 16.04.2024 gem. § 2 Abs. 1 i. V. m. § 13a BauGB beschlossen, den Bebauungsplan, Teilgebiet „In Kellert“ zu ändern. Von der Planänderung betroffen ist ausschließlich das Grundstück der „ehemaligen Volksbank“. Im rechtsverbindlichen Bebauungsplan „In Kellert“ ist derzeit für das in Rede stehende Grundstück die Nutzung als Bankgebäude festgeschrieben. Es handelt sich um ein Mischgebiet mit eingeschossiger Bauweise. Zukünftig soll auf diesem Grundstück eine Wohnbebauung zugelassen werden. Das Baufenster wird angepasst sowie der Gebietscharakter in allgemeines Wohngebiet (WA) geändert. Die Bebauungsplanänderung erfolgt gem. § 13a BauGB im beschleunigten Verfahren. Gem. § 13a Abs. 3 Nr. 1 BauGB wird im beschleunigten Verfahren von der Umweltprüfung nach § 2 Abs. 4 BauGB abgesehen. Der Änderungsbereich ist im nachstehend abgedruckten Auszug aus der Flurkarte kenntlich gemacht. Gem. § 13a Abs. 3 BauGB ist den betroffenen Bürgern Gelegenheit zur Stellungnahme zu geben. Stellungnahmen können gem. § 3 Abs. 2 BauGB in der Zeit vom 26.04.2024 bis einschließlich 27.05.2024 bei der Verbandsgemeindeverwaltung Ruwer, Untere Kirchstraße 1, 54320 Waldrach, Zimmer 208 schriftlich oder zur Niederschrift abgegeben werden. Nicht fristgerecht abgegebene Stellungnahmen können bei der Beschlussfassung über die Änderung des Bebauungsplanes unberücksichtigt bleiben. Der Entwurf der Bebauungsplanänderung und die Begründung können während der Dienststunden eingesehen werden. Über den Planinhalt wird Auskunft erteilt. Die Bekanntmachung sowie die o. g. Unterlagen sind unter der Internet-Adresse www.ruwer.de – Bauen & Wirtschaft – Planverfahren – Pluwig, ab dem 26.04.2024 veröffentlicht.

Pluwig, den 22.04.2024
Annelie Scherf, Ortsbürgermeisterin