Titel Logo
Amtsblatt VG Ruwer
Ausgabe 18/2025
Amtliche Bekanntmachungen und Mitteilungen der Ortsgemeinden
Zurück zur vorigen Seite
Zurück zur ersten Seite der aktuellen Ausgabe

Bekanntmachung Ergänzungssatzung Feuerwache Pluwig / Gusterath

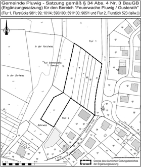
des Aufstellungsbeschlusses über die Ergänzungssatzung für den Bereich „Feuerwache Pluwig / Gusterath“ gem. § 34 Abs. 4 Nr. 3 Baugesetzbuch (BauGB)

Der Gemeinderat Pluwig hat in der Sitzung am 11.02.2025 beschlossen eine Ergänzungssatzung für den Bereich „Feuerwache Pluwig / Gusterath“ gem. § 2 Abs. 1 i. V. m. § 34 Abs. 4 Nr. 3 BauGB aufzustellen. Seit mehreren Jahren besteht bereits dringender Sanierungs- bzw. Erweiterungsbedarf der beiden alten Feuerwehrhäuser in Pluwig und Gusterath. Infolgedessen hat man sich im Jahr 2016 dazu entschieden beide Feuerwehren an einen Standort zusammenzuführen. Dies auch vor dem Hintergrund der Fusion beider Feuerwehren. Mit der Aufstellung der Ergänzungssatzung beabsichtigt die Ortsgemeinde durch die Einbeziehung einzelner, derzeit im Außenbereich gelegenen Grundstücke die bauplanungsrechtlichen Voraussetzungen für den Neubau des Feuerwehrgerätehauses zu schaffen. Die Aufstellung der Ergänzungssatzung erfolgt gem. § 34 Abs. 4 Nr. 3 BauGB i. V. m. § 13 BauGB im vereinfachten Verfahren. Gem. § 13 Abs. 3 BauGB wird im vereinfachten Verfahren von der Umweltprüfung nach § 2 Abs. 4 BauGB abgesehen. Der Geltungsbereich ist im nachstehend abgedruckten Auszug aus der Flurkarte kenntlich gemacht. Zur Information der Öffentlichkeit können der Planentwurf, die Begründung, die Textlichen Festsetzungen, der Fachbeitrag Naturschutz sowie die Ausnahmegenehmigung gemäß § 30 Abs. 3 Bundesnaturschutzgesetz im Rahmen der Offenlage gem. § 3 Abs. 2 BauGB in der Zeit vom 05.05.2025 bis einschließlich 06.06.2025 auf der Homepage der Verbandsgemeinde Ruwer unter www.ruwer.de – Bauen & Wirtschaft – Planverfahren – Pluwig eingesehen und heruntergeladen werden. Darüber hinaus liegen die Planunterlagen bei der Verbandsgemeindeverwaltung Ruwer, Untere Kirchstraße 1, 54320 Waldrach, Zimmer 208 während der Dienststunden zur Einsicht bereit. Während dieser Zeit können Stellungnahmen zum Planentwurf abgegeben werden. Sie sollen elektronisch über die E-Mail-Adresse bauleitplanung@ruwer.de übermittelt werden, können aber auch bei der Verbandsgemeindeverwaltung Ruwer, Untere Kirchstraße 1, 54320 Waldrach, Zimmer 208 schriftlich oder zur Niederschrift abgegeben werden. Nicht fristgerecht abgegebene Stellungnahmen können bei der Beschlussfassung unberücksichtigt bleiben.

Annelie Scherf, Ortsbürgermeisterin