Titel Logo
Amtsblatt VG Ruwer
Ausgabe 21/2025
Amtliche Bekanntmachungen und Mitteilungen der Ortsgemeinden
Zurück zur vorigen Seite
Zurück zur ersten Seite der aktuellen Ausgabe

Bekanntmachung Änderung Bebauungsplan OG Osburg

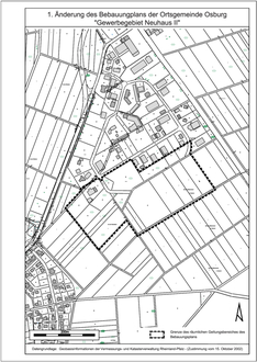
1. Änderung des Bebauungsplanes der Ortsgemeinde Osburg „Gewerbegebiet – Neuhaus II“

Der Gemeinderat Osburg hat in seiner Sitzung am 12.02.2025 die 1. Änderung des Bebauungsplanes „Gewerbegebiet – Neuhaus II“ als Satzung beschlossen. Der Satzungsbeschluss erfolgte gem. §§ 10 Abs. 1, 9 Abs. 8 Baugesetzbuch (BauGB) und § 24 Gemeindeordnung (GemO). Dies wird hiermit gem. § 10 Abs. 3 BauGB bekannt gemacht. Mit dieser Bekanntmachung tritt die

1. Änderung des Bebauungsplanes in Kraft.

Der Geltungsbereich ist im nachstehend abgedruckten Auszug aus der Flurkarte dargestellt. Der Bebauungsplan mit Begründung, Textfestsetzungen, Umweltbericht, Bestand der Biotoptypen und Entwässerungskonzept wird bei der Verbandsgemeindeverwaltung Ruwer, Untere Kirchstraße 1, 54320 Waldrach, Zimmer 208 während der Dienststunden zur Einsicht bereitgehalten und über den Inhalt auf Verlangen Auskunft erteilt. Darüber hinaus sind o. a. Unterlagen auf der Homepage der Verbandsgemeinde Ruwer unter www.ruwer.de – Bauen & Wirtschaft – Planverfahren – Osburg veröffentlicht.

Hinweis:

Gem. § 24 Gemeindeordnung für Rheinland-Pfalz (GemO) wird darauf hingewiesen, dass eine Verletzung der Bestimmungen über Ausschließungsgründe (§ 22 Abs. 1 GemO) und die Einberufung der Tagesordnung von Sitzungen des Ortsgemeinderates (§ 34 GemO) unbeachtlich ist, wenn sie nicht innerhalb eines Jahres nach der öffentlichen Bekanntmachung dieser Satzung schriftlich unter Bezeichnung der Tatsachen, die eine solche Rechtsverletzung begründen können gegenüber der Ortsgemeinde geltend gemacht worden ist.

Gem. § 215 BauGB wird darüber hinaus darauf hingewiesen, dass

1.

eine beachtliche Verletzung der in § 214 Abs. 1 S. 1 Nr. 1 bis 3 BauGB bezeichneten Verfahrens- und Formvorschriften

2.

eine beachtliche Verletzung unter Berücksichtigung des § 214 Abs. 2 über das Verhältnis des Bebauungsplans und

3.

nach § 214 Abs. 3 S. 2 BauGB beachtliche Mängel des Abwägungsvorgangs beim Zustandekommen des Bebauungsplans unbeachtlich sind, wenn sie nicht innerhalb eines Jahres seit Bekanntmachung der Satzung schriftlich gegenüber der Gemeinde geltend gemacht worden sind; der Sachverhalt der die Verletzung oder den Mangel begründen soll, ist darzulegen. S. 1 gilt entsprechend, wenn Fehler nach § 214 Abs. 2a beachtlich sind.

Auf die Vorschriften des § 44 Abs. 3 S. 1 und 2 und Abs. 4 BauGB über die fristgemäße Geltendmachung etwaiger Entschädigungsansprüche für Eingriffe in eine bisher zulässige Nutzung durch diese Satzung und über das Erlöschen von Entschädigungsansprüchen wird hingewiesen. Der Entschädigungsanspruch erlischt, wenn nicht innerhalb von 3 Jahren nach Ablauf des Kalenderjahres, in dem die Vermögensnachteile eingetreten sind, die Fälligkeit des Anspruches herbeigeführt wird.

Andreas Dewald, Ortsbürgermeister