Titel Logo
Amtsblatt VG Ruwer
Ausgabe 22/2023
Amtliche Bekanntmachungen und Mitteilungen der Ortsgemeinden
Zurück zur vorigen Seite
Zurück zur ersten Seite der aktuellen Ausgabe

Bekanntmachung

der 1. Änderung des Bebauungsplans Teilbereich „Unterm Kirchhof“ und Vorhabenbezogener Bebauungsplan „Wohnkulturhof Pluwig“, Ortsgemeinde Pluwig, gem. § 13b Baugesetzbuch (BauGB)

Der Gemeinderat Pluwig hat in der Sitzung am 09.05.2023 die 1. Änderung des Bebauungsplans, Teilbereich „Unterm Kirchhof“ und Vorhabenbezogener Bebauungsplan „Wohnkulturhof Pluwig“ als Satzung beschlossen.

Der Satzungsbeschluss erfolgte gem. §§ 10 Abs. 1, 9 Abs. 8 i. V. m. §§ 13 und 13b Baugesetzbuch (BauGB) und § 24 Gemeindeordnung (GemO). Dies wird hiermit gem. § 10 Abs. 3 Baugesetzbuch (BauGB) bekannt gemacht. Mit dieser Bekanntmachung tritt der Bebauungsplan in Kraft.

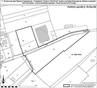
Der Geltungsbereich des Bebauungsplans ist im nachstehend abgedruckten Auszug aus der Flurkarte dargestellt. Der Bebauungsplan mit Begründung und Schallgutachten, wird bei der Verbandsgemeindeverwaltung Ruwer, Untere Kirchstr. 1, 54320 Waldrach, Zimmer 208, während der Dienststunden zu jedermanns Einsicht bereitgehalten und über den Inhalt auf Verlangen Auskunft erteilt. Darüber hinaus sind o. a. Unterlagen auf der Homepage der Verbandsgemeinde Ruwer unter der Internetadresse www.ruwer.de – Bauen & Wirtschaft – Planverfahren – Pluwig, veröffentlicht.

Hinweis:

Gem. § 24 Abs. 6 der Gemeindeordnung für Rheinland-Pfalz (GemO) wird darauf hingewiesen, dass eine Verletzung der Bestimmungen über Ausschließungsgründe (§ 22 Abs. 1 GemO) und die Einberufung der Tagesordnung von Sitzungen des Ortsgemeinderates (§ 34 GemO) unbeachtlich ist, wenn sie nicht innerhalb eines Jahres nach der öffentlichen Bekanntmachung dieser Sitzung schriftlich unter Bezeichnung der Tatsachen, die eine solche Rechtsverletzung begründen können, gegenüber der Ortsgemeinde geltend gemacht worden ist.

Gem. § 215 Abs. 2 des Baugesetzbuches (BauGB) wird darüber hinaus darauf hingewiesen, dass

1.

eine beachtliche Verletzung der in § 214 Abs. 1 Satz 1 Nr. 1 bis 3 BauGB bezeichneten Verfahrens- und Formvorschriften,

2.

eine beachtliche Verletzung unter Berücksichtigung des § 214 Abs. 2 über das Verhältnis des Bebauungsplans

und

3.

nach § 214 Abs. 3 BauGB beachtliche Mängel des Abwägungsvorgangs beim Zustandekommen des Bebauungsplans unbeachtlich sind, wenn sie nicht innerhalb eines Jahres seit Bekanntmachung der Satzung schriftlich gegenüber der Gemeinde geltend gemacht worden sind; der Sachverhalt, der die Verletzung oder den Mangel begründen soll, ist darzulegen.

Auf die Vorschriften des § 44 Abs. 3 Satz 1 und 2 und Abs. 4 Baugesetzbuch über die fristgemäße Geltendmachung etwaiger Entschädigungsansprüche für Eingriffe in eine bisher zulässige Nutzung durch diese Satzung und über das Erlöschen von Entschädigungsansprüchen wird hingewiesen. Der Entschädigungsanspruch erlischt, wenn nicht innerhalb von 3 Jahren nach Ablauf des Kalenderjahres, in dem die Vermögensnachteile eingetreten sind, die Fälligkeit des Anspruches herbeigeführt wird.

Pluwig, den 24.05.2023
Annelie Scherf, Ortsbürgermeisterin