Titel Logo
Zeller Land Nachrichten
Ausgabe 14/2025
Aus den Gemeinden
Zurück zur vorigen Seite
Zurück zur ersten Seite der aktuellen Ausgabe

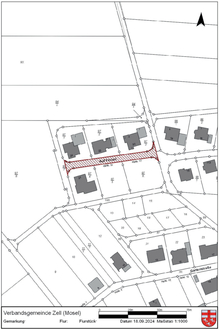
Widmungsverfügung - Auf Ferbel Mittelstrimmig

Der Gemeinderat Mittelstrimmig hat in seiner Sitzung am 26.11.2024 beschlossen, nachstehende Straße in der Gemeinde Mittelstrimmig gemäß § 36 Landesstraßengesetz (LStrG) vom 01.08.1977 (GVBl. S. 273), zuletzt geändert durch Artikel 68 des Gesetzes vom 20.12.2024 (GVBl. S. 473), mit sofortiger Wirkung dem öffentlichen Verkehr zu widmen:

Teilstück der Straße „Auf Ferbel“ von der Einmündung in die Straße „Auf Ferbel“, Grundstück Flur 2, Flurstück 167/1 bis zum Ende der hergestellten Straßenfläche. Länge insgesamt 85 m, Grundstück Flur 2, Flurstück 97/7 (Teilfläche).

Die aufgeführte Straße in der Ortsgemeinde Mittelstrimmig gehört nach § 3 Abs. 1 Nr. 3 a und b Landesstraßengesetz zur Gruppe der Gemeindestraßen und sonstigen Straßen. Sie steht im Eigentum der Ortsgemeinde Mittelstrimmig. Die Ortsgemeinde Mittelstrimmig ist Träger der Straßenbaulast.

Die öffentliche Verkehrsfläche wird wie folgt gewidmet:

Die Fahrbahn dient dem fließenden Verkehr, der Gehweg dient den Fußgängern.

Der Widmungsabschnitt ergibt sich aus den beigefügten Planskizze.

Anordnung der sofortigen Vollziehung

Die sofortige Vollziehung der Widmungsverfügung wird gemäß § 80 Abs. 2 Ziffer 4 der Verwaltungsgerichtsordnung (VwGO) in der Fassung der Bekanntmachung vom 19.03.1991 (BGBl. I S. 686), zuletzt geändert durch Artikel 5 des Gesetzes vom 24.10.2024 (BGBl. 2024 I Nr. 328), aus nachstehenden Gründen angeordnet:

Durch die Widmung wird der Gebrauch der Straße jedermann gestattet und die Straße in eine Straßengruppe eingestuft. Zudem ist die Widmung Voraussetzung für die Anwendung öffentlichen Rechts, insbesondere des Straßenverkehrs- und des Baurechts.

Das öffentliche Interesse an der Gewährleistung von Sicherheit und Leichtigkeit des Verkehrs auf den Straßen überwiegt das private Interesse. Ferner werden durch die vorliegende Widmung auch keine Rechte Dritter verletzt.

Rechtsbehelfsbelehrung

Gegen diese Verfügung kann innerhalb eines Monats nach Bekanntgabe Widerspruch eingelegt werden. Der Widerspruch ist bei der Verbandsgemeindeverwaltung Zell (Mosel), Schloßstr. 69, 56856 Zell (Mosel) einzulegen. Der Widerspruch kann schriftlich, in elektronischer Form nach § 3a Abs. 2 des Verwaltungsverfahrensgesetzes oder zur Niederschrift erhoben werden. Der Widerspruch in elektronischer Form nach § 3 a Abs. 2 des Verwaltungsverfahrensgesetzes kann durch E-Mail mit qualifizierter elektronischer Signatur an: vg-zell@poststelle.rlp.de erhoben werden.

Bei schriftlicher Einlegung des Widerspruchs ist die Widerspruchsfrist nur gewahrt, wenn der Widerspruch noch vor Ablauf dieser Frist bei der Behörde eingegangen ist.

Zell (Mosel), den 25.03.2025
Verbandsgemeindeverwaltung Zell (Mosel)
Jürgen Hoffmann
Bürgermeister