Titel Logo
Morbacher Rundschau
Ausgabe 10/2025
Amtliche Bekanntmachungen
Zurück zur vorigen Seite
Zurück zur ersten Seite der aktuellen Ausgabe

Öffentliche Bekanntmachung

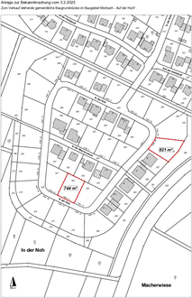
Baugrundstücke in Morbach

Ab sofort können für die vorhandenen gemeindlichen Baugrundstücke im Baugebiet Morbach „Auf der Huhf, Teilgebiet 3“ Kaufanträge gestellt werden.

Der Kaufpreis beträgt 93,00 €/m² einschließlich der Erschließungskosten.

Der Verkauf erfolgt nur nach vorherigem schriftlichem Antrag. Der Antragsvordruck steht auf der Homepage der Gemeinde Morbach zum Download bereit oder kann bei der Gemeindeverwaltung Morbach, Silke Martini, Telefon: 06533/71 - 318, angefordert werden.

Eine telefonische Antragstellung, per elektronischer Post (e-Mail) oder über Dritte wird ausdrücklich nicht akzeptiert. Es gilt ausschließlich die persönliche schriftliche Antragstellung.

Anträge können bis zum 20. März 2025 abgeben werden.

Die Vergabe erfolgt per Losverfahren, sofern die Anzahl der Anträge die verfügbaren Grundstücke übersteigen sollte.

Auf gesonderte Anforderung ist eine Anzahlung in Höhe von 5.000,00 € zu leisten. Die Anzahlung wird auf den endgültigen Kaufpreis angerechnet.

Es besteht eine Bauverpflichtung innerhalb von fünf Jahren.

Nähere Auskünfte zum Verkauf erhalten Sie bei der Gemeindeverwaltung Morbach, Silke Martini, OG 204, Tel. 06533/71 - 318.

Gemeindeverwaltung Morbach
Morbach, den 10.02.2025
(Andreas Hackethal)
Bürgermeister