Titel Logo
Morbacher Rundschau
Ausgabe 49/2022
Bekanntgaben + Informationen
Zurück zur vorigen Seite
Zurück zur ersten Seite der aktuellen Ausgabe

Öffentliche Bekanntmachung

Baugrundstücke in Morbach und Bischofsdhron können erworben werden

In der Gemeinde Morbach sind folgende Baugrundstücke frei geworden:

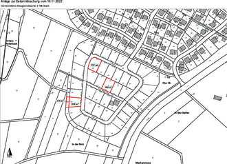
Baugebiet Morbach XVI - Auf der Huhf, 3. Teilgebiet

Flur 16, Nr. 277 und 278, In der Noh 24

insgesamt 828 qm

(649 qm Bauland à 93,00 Euro und 179 qm Grünland à 14,00 Euro)

Flur 16, Nr. 289, In der Noh 17

757 qm (Kaufpreis 93,00 Euro pro qm)

Flur 16, Nr. 297, In der Macherwiese 5

685 qm (Kaufpreis 93,00 Euro pro qm)

Baugebiet Bischofsdhron III - Auf der Rau, 1. Teilgebiet

510 qm (Kaufpreis 55,00 Euro pro qm)

Flur 7, Nr. 11/40, Zur Rau 10

Bis zum 15. Dezember 2022 kann ein Antrag auf Kauf eines gemeindlichen Baugrundstücks gestellt werden.

Der Verkauf erfolgt nur nach vorherigem schriftlichem Antrag. Der Antragsvordruck steht auf der Homepage der Gemeinde Morbach zum Download bereit oder kann bei der Gemeindeverwaltung Morbach, Saskia Marx, Tel. Nr. 71303 angefordert werden.

Eine telefonische Antragstellung, per elektronischer Post (Email) oder über Dritte wird ausdrücklich nicht akzeptiert. Es gilt ausschließlich die persönliche schriftliche Antragstellung.

Bei mehreren Interessenten wird die Reihenfolge des Grundstückszugriffs durch Losentscheid getroffen.

Auf gesonderte Anforderung ist eine Anzahlung in Höhe von 5.000,00 € zu leisten. Die Anzahlung wird auf den endgültigen Kaufpreis angerechnet.

Es besteht eine Bauverpflichtung innerhalb von 5 Jahren.

Nähere Auskünfte zum Verkauf erhalten Sie bei der Gemeindeverwaltung Morbach, Saskia Marx, OG 203, Tel. Nr. 71303.

Gemeindeverwaltung Morbach
Morbach, den 16.11.2021
gez.
(Andreas Hackethal)
Bürgermeister