Titel Logo
Amtsblatt VG Schweich
Ausgabe 10/2023
Amtliche Bekanntmachungen und Mitteilungen der Verbandsgemeinde
Zurück zur vorigen Seite
Zurück zur ersten Seite der aktuellen Ausgabe

Bekanntmachung 22. Änderung des Flächennutzungsplans der Verbandsgemeinde Schweich

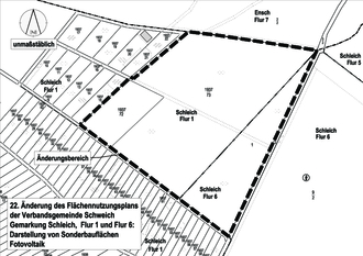
22. Änderung des Flächennutzungsplans der Verbandsgemeinde Schweich

Darstellung einer Sonderbaufläche Solar in Schleich

- Offenlage gemäß § 3 Abs. 2 Baugesetzbuch -

Der Verbandsgemeinderat Schweich hat beschlossen, für den in beigefügter Karte abgegrenzten Bereich auf der Gemarkung Schleich Sonderbauflächen zur Nutzung der Solarenergie darzustellen.

Der Planentwurf mit Begründung liegt gemäß § 3 Abs. 2 Baugesetzbuch (BauGB) vom 27.08.1997 (BGBl. I S. 2141) in der derzeit gültigen Fassung in der Zeit vom 20. März 2023 bis 19. April 2023, bei der Verbandsgemeindeverwaltung Schweich, Brückenstraße 24, 54338 Schweich, Zimmer 36 des Nebengebäudes, 54338 Schweich, während der Dienstzeiten Mo. - Fr. 08:00 - 12:00 Uhr, Mo. - Mi. 14:00 - 16:00 Uhr, Do. 14:00 - 18:00 Uhr zur Einsichtnahme öffentlich aus.

Die Änderung des Flächennutzungsplanes besteht aus:

1. Planzeichnung

2. Begründung

Teil 1 - städtebaulicher Teil und

Teil 2 - Umweltbericht

Im Rahmen des Planverfahrens wird eine Umweltprüfung durchgeführt.

Folgende umweltbezogene Informationen sind verfügbar und können während der öffentlichen Auslegung gem. § 3 Abs. 2 BauGB eingesehen werden:

Umweltbericht als gesonderter Teil der Begründung zur Flächennutzungsplanänderung mit Aussagen zur Bewertung der Umweltsituation und zu den voraussichtlichen Umweltauswirkungen der Planung v.a. auf Mensch, Tiere und Pflanzen, Boden, Fläche, Wasser, Luft und Klima, Landschaft / Erholung, Kultur- und sonstige Sachgüter und Wechselwirkungen zwischen den Belangen.

Folgende Stellungnahme mit umweltbezogenen Informationen von Seiten der Behörden und sonstiger Träger öffentlicher Belange aus der vorangegangenen frühzeitigen Beteiligung liegt vor und wird mit ausgelegt:

Verbandsgemeindewerke Schreiben vom 23.08.2021 zum Thema Niederschlagswasser

Kreisverwaltung Trier-Saarburg, UNB Schreiben vom 08.10.2021 zu den Themen Landschaftsbild/Erholung

Raumordnerische Beurteilung der Kreisverwaltung Trier-Saarburg vom 28.09.2022 u.a. zum regionalen Grünzug und zur landschaftsbezogenen Erholung

Die Planunterlagen können während der Offenlage auch auf der Internetseite der Verbandsgemeinde Schweich unter www.schweich.de, Bereich „Bauen und Wohnen“, Menüpunkt „Planverfahren“ als pdf-Datei angesehen und heruntergeladen werden. Aufgrund der aktuellen Corona-bedingten Sicherheitsvorkehrungen empfehlen wir, hiervon Gebrauch zu machen und auf einen Besuch in der Verbandsgemeindeverwaltung zu verzichten.

Während dieser Auslegungsfrist können Stellungnahmen

schriftlich an die Verbandsgemeindeverwaltung Schweich, Brückenstraße 26, 54338 Schweich,

während der Dienstzeiten zur Niederschrift in der Verbandsgemeindeverwaltung Schweich, Brückenstraße 26, Zimmer 36 des Nebengebäudes, 54338 Schweich, oder

per Mail an bauleitplanung@schweich.de

abgegeben werden. Nicht fristgerecht abgegebene Stellungnahmen können bei der Beschlussfassung über den Bebauungsplan unberücksichtigt bleiben.

Eine Vereinigung im Sinne des § 4 Absatz 3 Satz 1 Nummer 2 des Umwelt-Rechtsbehelfsgesetzes ist in einem Rechtsbehelfsverfahren nach § 7 Absatz 2 Umwelt-Rechtsbehelfsgesetz gemäß § 7 Absatz 3 Satz 1 des Umwelt-Rechtsbehelfsgesetzes mit allen Einwendungen ausgeschlossen, die sie im Rahmen der Auslegungsfrist nicht oder nicht rechtzeitig geltend gemacht hat, aber hätte geltend machen können (vgl. § 3 Abs. 3 BauGB).

Auf die parallel zur Änderung des Flächennutzungsplanes laufende Offenlage des Bebauungsplanes “Solarpark Gemeindeland“ der Ortsgemeinde Schleich und die Bekanntmachung hierauf unter „Ortsgemeinde Schleich“ wird hingewiesen.

Schweich, den 06. März 2023
gez. Christiane Horsch, Bürgermeisterin