Titel Logo
Amtsblatt VG Schweich
Ausgabe 3/2026
Amtliche Bekanntmachungen und Mitteilungen der Verbandsgemeinde
Zurück zur vorigen Seite
Zurück zur ersten Seite der aktuellen Ausgabe

Bekanntmachung Genehmigung der 30. Änderung des Flächennutzungsplanes

Genehmigung der 30. Änderung des Flächennutzungsplanes

Die vom Verbandsgemeinderat in der Sitzung am 27.05.2025 beschlossene 30. Änderung des Flächennutzungsplanes wurde von der Kreisverwaltung Trier-Saarburg mit Datum vom 18.12.2025 gemäß § 6 Abs. 4 Baugesetzbuch in der Fassung der Bekanntmachung vom 03.11.2017 (BGBl. I S. 3634), zuletzt geändert durch Artikel 6 des Gesetzes vom 12.08.2025 (BGBl. I. Nr. 189) genehmigt.

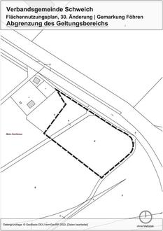
Die Abgrenzung des betroffenen Bereichs ist aus beigefügter Karte ersichtlich.

Im Änderungsbereich auf der Gemarkung Föhren wird nun erstmals eine Sonderbaufläche „Batteriespeicher“ dargestellt.

Die Erteilung der Genehmigung wird hiermit gemäß § 6 Abs. 5 Satz 1 BauGB ortsüblich bekannt gemacht.

Mit dieser Bekanntmachung wird die 30. Änderung des Flächennutzungsplanes gemäß § 6 Abs. 5 Satz 2 BauGB wirksam.

Jedermann kann die 30. Änderung des Flächennutzungsplanes und die Begründung mit Umweltbericht einsehen und über deren Inhalte Auskunft verlangen (§ 6 Abs. 5 Satz 3 BauGB).

Eine Verletzung der in § 214 Abs. 1 Satz 1 Nr. 1 und 2 BauGB bezeichneten Verfahrens- und Formvorschriften ist unbeachtlich, wenn sie nicht innerhalb eines Jahres seit dieser Bekanntmachung schriftlich gegenüber der Verbandsgemeindeverwaltung Schweich geltend gemacht worden ist.

Mängel der Abwägung sind unbeachtlich, wenn sie nicht innerhalb eines Jahres seit dieser Bekanntmachung schriftlich gegenüber der Verbandsgemeindeverwaltung Schweich geltend gemacht worden sind. Dabei ist der Sachverhalt, der die Verletzung oder den Mangel begründen soll, darzulegen (§ 215 Abs. 1 BauGB).

Schweich, den 12. Januar 2026
Verbandsgemeindeverwaltung Schweich an der Römischen Weinstrasse
gez.:.Christiane Horsch, Bürgermeisterin