Titel Logo
Mein Wittlich.Land
Ausgabe 1/2024
Amtliche Bekanntmachungen und Mitteilungen der Verbandsgemeindeverwaltung
Zurück zur vorigen Seite
Zurück zur ersten Seite der aktuellen Ausgabe

38. Einzelfortschreibung des Flächennutzungsplanes der Verbandsgemeinde Wittlich-Land zur Darstellung von Sonstigen Sonderbauflächen mit der besonderen Zweckbestimmung „Photovoltaik“ in der Gemarkung Hupperath, Flur 8

1. Bekanntmachung des Aufstellungsbeschlusses gemäß § 2 Abs. 1 BauGB

2. Frühzeitige Beteiligung der Öffentlichkeit gemäß § 3 Abs. 1 BauGB

3. Hinweise zum Planvorentwurf und zum Verfahren

1. Bekanntgabe des Aufstellungsbeschlusses gemäß § 2 Abs. 1 BauGB

Der Verbandsgemeinderat Wittlich-Land hat in seiner Sitzung am 6. Dezember 2023, TOP 6 b), beschlossen, den Flächennutzungsplan Wittlich-Land 2006 für Flächen der Gemarkung Hupperath, Flur 8, zur Darstellung von Sonstigen Sonderbauflächen mit der besonderen Zweckbestimmung „Photovoltaik“ fortzuschreiben (Planaufstellungsbeschluss). Der Beschluss des Verbandsgemeinderates wird hiermit förmlich gemäß § 2 Abs. 1 Satz 2 Baugesetzbuch (BauGB) bekannt gemacht (Auszug):

„Der Verbandsgemeinderat beschließt auf Empfehlung des Haupt- und Finanzausschusses, das Verfahren zur Einzelfortschreibung des Flächennutzungsplanes Wittlich-Land 2006 mit dem Ziel der Zulassung der Photovoltaik-Freiflächenanlage (geplante Darstellung von Sonderbauflächen mit der besonderen Zweckbestimmung „Nutzung regenerativer Energien – Freiflächenphotovoltaik“) einzuleiten und den Änderungsbereich entsprechend dem der Niederschrift beigefügten Lageplan abzugrenzen…“

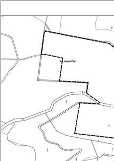
Das Plangebiet (Änderungsbereich) hat eine Gesamtgröße von ca. 18 ha und befindet sich auf der Gemarkung Hupperath, Flur 8, Flurstücke 15/1 (tlw.), 14 (tlw.) und 19 (tlw.).

Die Abgrenzung des Änderungsbereiches ist in dem besonders abgedruckten Lageplan dargestellt.

2. Frühzeitige Beteiligung der Öffentlichkeit gemäß § 3 Abs. 1 BauGB

Die frühzeitige Beteiligung der Öffentlichkeit gemäß § 3 Abs. 1 BauGB an der Planung erfolgt durch die Möglichkeit der Interneteinsicht/Einsichtnahme in die Planunterlagen in der Verwaltung zu den üblichen Dienstzeiten in der Zeit vom 15.01.2024 bis zum 16.02.2024.

Die Planunterlagen zur Beteiligung der Öffentlichkeit werden auf der Internetseite der Verbandsgemeinde Wittlich-Land unter www.vg-wittlich-land.de bereitgehalten und können dort eingesehen werden. Den Link zu den Beteiligungsunterlagen finden Sie unter Aktuelles / Bauleitplanung / OG Hupperath – „Freiflächen-Photovoltaikanlage“.

Während der Beteiligungsfrist können Stellungnahmen zu der Planung bei der Verbandsgemeindeverwaltung Wittlich-Land, Kurfürstenstr. 1, 54516 Wittlich, Zimmer 302 schriftlich eingereicht (z. B. durch Brief, Fax 06571/107155 oder per E-Mail an: guenter.reis@vg-wittlich-land.de) bzw. dort zu Protokoll erklärt werden.

Bei Fragen zu der Planung oder bei gewünschter Einsichtnahme in die Planunterlagen im Verwaltungsgebäude wenden Sie sich bitte an

Herrn Günter Reis, Tel.: 06571/107-359, Zimmer Nr. 302 oder

Frau Melanie Kiemes, Tel.: 06571/107-315, Zimmer Nr. 302

3. Hinweise zum Planvorentwurf und zum Verfahren

In seiner Ratssitzung am 06.12.2023 hat der Verbandsgemeinderat den Vorentwurf der 38. Einzelfortschreibung des Flächennutzungsplanes Wittlich-Land 2006 beschlossen.

Der Vorentwurf beinhaltet die Anpassung/Änderung von bisher im Flächennutzungsplan der Verbandsgemeinde Wittlich-Land 2006 für den zu überplanenden Bereich dargestellten Flächen für die Landwirtschaft in Sonderbauflächen für Photovoltaik gem. § 1 Abs. 1 Nr. 4 BauNVO.

Das vorgenannte Bauleitplanverfahren wird entsprechend § 8 Abs. 3 Satz 1 BauGB gleichzeitig mit dem Bebauungsplanverfahren der Ortsgemeinde Hupperath „Freiflächen-Photovoltaikanlage“ durchgeführt (Parallelverfahren).

Auf die besondere Veröffentlichung zur Bebauungsplanung der Ortsgemeinde Hupperath in dieser Ausgabe der Wochenzeitung „VerbandsgeMEINde Wittlich.Land“ unter Veröffentlichungen der Ortsgemeinden wird hingewiesen.

Wittlich, den 02.01.2024
Verbandsgemeindeverwaltung
Wittlich-Land
gez.:
(S)
Manuel Follmann
Bürgermeister